Věci Obecní

Detail

Dokument

Praha 14

Hlavní město Praha

Bratří Venclíků 1073, 19800 Praha 9
Web obce ↗
Stavební řízení

16. března 2026 — 147, Vyrozumění o prodloužení platnosti povolení - Stavba č. 7981 TV Za Horou, etapa 0009

1Body jednání
1
Stavba č. 7981 TV Za Horou, etapa 0009 - prodloužení platnosti povolení
Stavební úřad Prahy 14 vyrozumívá o zahájení řízení o prodloužení platnosti povolení pro záměr **"Stavba č.7981 TV Za Horou, etapa 0009 Třešňová - sever - SO 300 Vodovod"**. Projekt zahrnuje: - Vodovodní řady **V1, V2, V3** - Výměnu a přepojení **33 vodovodních přípojek** o celkové délce cca **151 m**. Stavba je umístěna v ulici **Třešňová**, v úseku mezi ulicemi **Švestková** a **Jednostranná**. Předmětné pozemky se nacházejí v katastrálních územích **Kyje** (parc. č. **890/1, 890/2, 2703/2, 678/1**) a **Hloubětín** (parc. č. **1911/8, 1911/9, 1909/22, 2106/1, 2030/3, 2030/5, 2030/2, 2042/3, 2031/2, 2516**). Stavebníkem je **Hlavní město Praha**. Účastníci řízení mohou uplatnit své námitky do **15 dnů** od doručení oznámení.
1Dokumenty
Záměry obce

16. března 2026 — 148, Záměr na pronájem pozemku parc. č. 2727/1, k. ú. Kyje

1Body jednání
1
Záměr na pronájem části pozemku parc. č. 2727/1, k. ú. Kyje
Městská část **Praha 14** zveřejňuje záměr na **pronájem části pozemku parc. č. 2727/1** v katastrálním území **Kyje**. Jedná se o plochu o výměře **26 m2**, která má být využívána jako **zahrada** k přilehlému rodinnému domu. Nájemcem má být **RNDr. P. CH., CSc.** za cenu **35 Kč/m2/rok**. Pronájem je plánován na **dobu neurčitou od 1. 5. 2026**.
1Dokumenty
1Obrázky
Záměry obce

16. března 2026 — 149, Záměr na prodej části pozemků parc. č. 1072/84 a 1072/172, k.ú. Hloubětín

1Body jednání
1
Záměr na prodej částí pozemků parc. č. 1072/84 a 1072/172 v k.ú. Hloubětín
Městská část Praha 14 zveřejňuje záměr na **prodej části pozemku parc. č. 1072/84 (výměra 19 m2)** a **části pozemku parc. č. 1072/172 (výměra 11 m2)**, oba v **k.ú. Hloubětín**. Celková plocha **30 m2** je určena pro stavební úpravy bytového domu pro kupujícího **Společenství vlastníků Zelenečská 130/36, Praha 9**. Cena bude stanovena dle cenové mapy. Připomínky lze podat do **31. 3. 2026** na adresu **Úřadu MČ Praha 14, Bratří Venclíků 1073/8**.
1Dokumenty
1Obrázky
Doprava

16. března 2026 — 155, Opatření obecné povahy - stanovení přechodné úpravy provozu v ul. Světská

1Body jednání
1
Stanovení přechodné úpravy provozu v ul. Světská
Městská část Praha 14 stanovuje **přechodnou úpravu provozu** na místní komunikaci v ulici **Světská** v katastrálním území **Kyje**. Důvodem je **demolice přístavby haly Panas**, kterou provádí žadatel **Domecos s.r.o.** Opatření zahrnuje umístění dopravního značení dle přiložené situace. Realizace je naplánována v termínu od **16. 3. 2026** do **29. 3. 2026**. Součástí prací je také stavba **přípojky dešťové kanalizace** na pozemku **parc. č. 2787**.
Rozhodnutí: Úřad městské části Praha 14, Odbor dopravy, vydává opatření obecné povahy, kterým stanovuje přechodnou úpravu provozu na pozemní komunikaci v ul. Světská.
1Dokumenty
1Obrázky
Doprava

16. března 2026 — 158, Opatření obecné povahy - stanovení přechodné úpravy provozu v ul. Skorkovská

1Body jednání
1
Opatření obecné povahy - stanovení přechodné úpravy provozu v ul. Skorkovská
Odbor dopravy **Praha 14** stanovuje přechodnou úpravu provozu v ulici **Skorkovská** v katastrálním území **Kyje**. Důvodem je **budování přípojek inženýrských sítí**. Realizace bude probíhat v termínu od **16. 3. 2026 do 3. 4. 2026**. Úprava spočívá v umístění dopravního značení a vytvoření **koridoru pro pěší** o délce **45 m**. Přechod přes výkopy bude umožněn pomocí lávek. Žadatelem je společnost **Vegacom a.s.**
Rozhodnutí: Bylo vydáno opatření obecné povahy o **stanovení přechodné úpravy provozu** (umístění dopravního značení a zařízení) na místní komunikaci v ulici **Skorkovská**.
1Dokumenty
1Obrázky
Doprava

16. března 2026 — 159, Opatření obecné povahy - stanovení přechodné úpravy provozu v ul. Makovská

1Body jednání
1
Opatření obecné povahy - přechodná úprava provozu v ul. Makovská a Dolnobranská
Městská část Praha 14 stanovuje **přechodnou úpravu provozu** na místních komunikacích v lokalitě **Dolní Počernice**. Úprava se týká ulic **Makovská** a **Dolnobranská** a spočívá v umístění dopravního značení z důvodu **výkopových prací pro pokládku kabelů NN a VN**. Realizace proběhne v termínu od **16. 3. 2026** do **15. 5. 2026**. Žadatelem o stanovení je společnost **PREdistribuce, a.s.**
Rozhodnutí: Úřad městské části Praha 14 **vydává opatření obecné povahy**, kterým **stanovuje přechodnou úpravu provozu** na pozemní komunikaci podle přiložené situace.
1Dokumenty
1Obrázky
Doprava

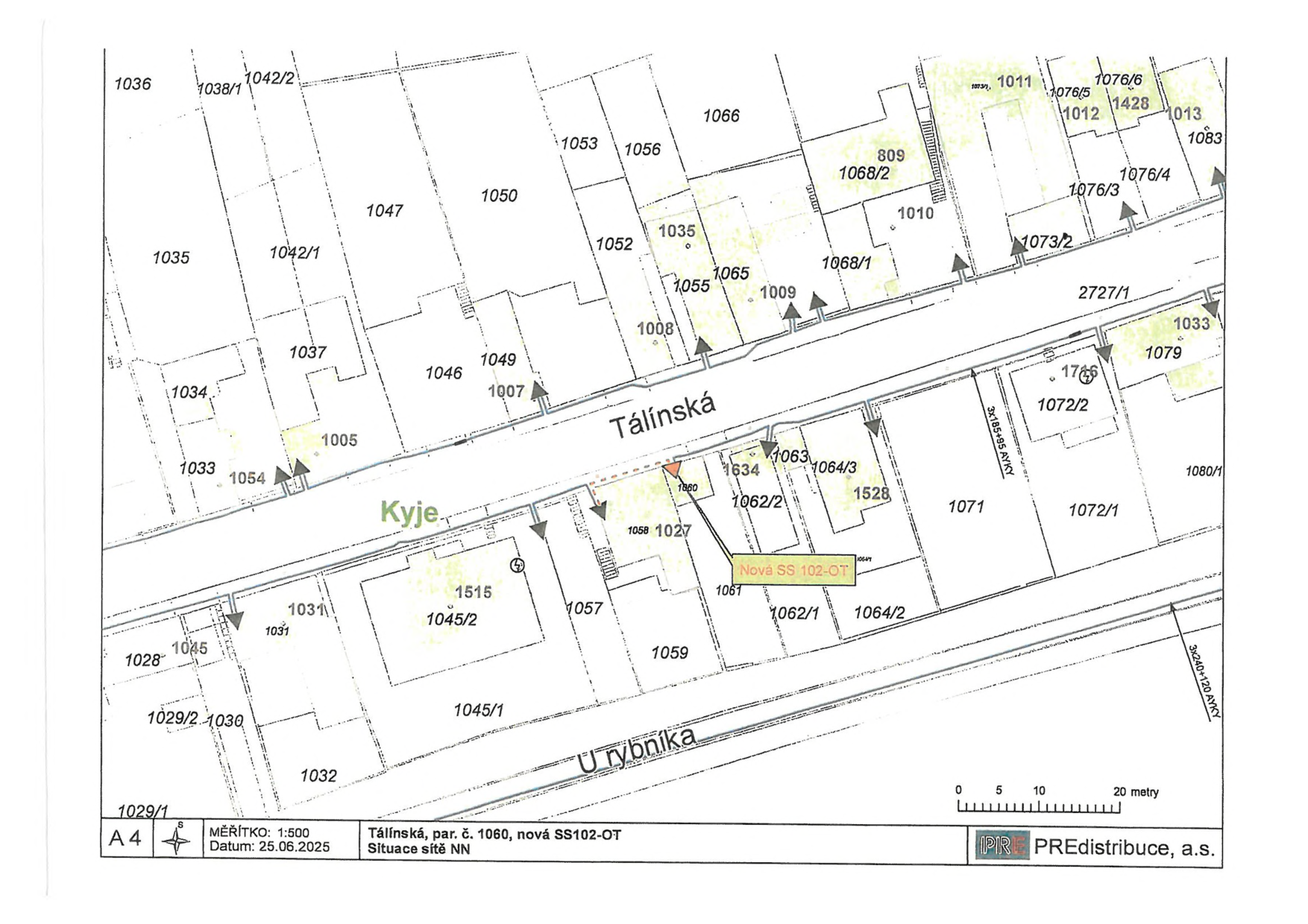
16. března 2026 — 156, Opatření obecné povahy - stanovení přechodné úpravy provozu v ul. Tálínská

1Body jednání
1
Opatření obecné povahy - stanovení přechodné úpravy provozu v ul. Tálínská
Opatření se týká stanovení přechodné úpravy provozu v ulici **Tálínská** v lokalitě **Praha 14 - Kyje**. Úprava spočívá v umístění dopravního značení a zařízení z důvodu **pokládky kabelu a rozšíření distribuční soustavy NN**. Práce a dopravní omezení jsou plánovány v termínu od **16. 3. 2026** do **25. 3. 2026**. Žadatelem je společnost **PREdistribuce, a.s.**
Rozhodnutí: Úřad městské části Praha 14 **stanovuje přechodnou úpravu provozu** na místní komunikaci v ulici **Tálínská** za podmínek instalace dopravního značení podle schválené situace.
1Dokumenty
2Obrázky
Ostatní

13. března 2026 — 178, Oznámení o možnosti vyzvednout odstraněné vozidlo - Opel, RZ: 4AC7489, odstraněno z ul. Světská

1Body jednání
1
Oznámení o možnosti vyzvednout odstraněné vozidlo Opel (4AC7489)
Dne **13. 03. 2026** bylo z veřejně přístupné komunikace v **Praze 14**, ulice **Světská 978**, odstraněno vozidlo značky **Opel**, RZ: **4AC7489**, VIN: **W0L0TGF4836095050**. Vozidlo je nyní odstaveno na odstavném parkovišti v ulici **Ke Křížkám 785/8**, **Praha Dubeč**. Provozovatel vozidla, pan **Raymundo Basulto**, je vyzýván k jeho vyzvednutí. Cena za odtah činí **3 800 Kč** a parkovné **500 Kč** za každý i započatý den. Pokud nebude vozidlo vyzvednuto do 3 měsíců, může být prodáno ve veřejné dražbě.
1Dokumenty
Ostatní

13. března 2026 — 144, Výzva k odstranění vozidla ALFA ROMEO, RZ: 6H52682, odstaveného v ul. Chlumecká

1Body jednání
1
Výzva k odstranění vozidla Alfa Romeo (RZ: 6H52682) z ulice Chlumecká
Správa služeb hlavního města Prahy vyzývá provozovatele vozidla značky **Alfa Romeo**, RZ: **6H52682**, VIN: **ZAR93200001370058**, k jeho odstranění z veřejně přístupné pozemní komunikace na adrese **Chlumecká 1636**, **Praha 14**. Důvodem výzvy je skutečnost, že vozidlo má více než **6 měsíců** propadlou technickou prohlídku nebo je technicky nezpůsobilé. Pokud nebude vozidlo odstraněno do **2 měsíců** od doručení této výzvy, bude odstraněno vlastníkem komunikace na náklady provozovatele a následně může být navržen jeho prodej ve veřejné dražbě.
1Dokumenty
Ostatní

13. března 2026 — 145, Výzva k odstranění vozidla AUDI, RZ: 8AV3428, odstaveného v ul. Františkova

1Body jednání
1
Výzva k odstranění vozidla AUDI, RZ: 8AV3428, z ulice Františkova
Správa služeb hlavního města Prahy vyzývá provozovatele vozidla značky **Audi**, RZ: **8AV3428**, VIN: **WAUZZZ8R9AA040963**, které je odstaveno na adrese **Františkova 911/17**, **Praha 14**, k jeho odstranění z pozemní komunikace. Důvodem je marné uplynutí lhůty pro provedení pravidelné technické prohlídky (více než 6 měsíců). Provozovatel má na odstranění vozidla nebo sjednání nápravy lhůtu **2 měsíce** od doručení této výzvy. Pokud tak neučiní, bude vozidlo odtaženo na náklady provozovatele. Náklady na odtah činí **3 800 Kč** a parkovné je stanoveno na **500 Kč** za den (prvních 180 dní).
1Dokumenty
Stavební řízení

13. března 2026 — 153, Rozhodnutí o umístění stavby: Dolní Počernice - Projekt 1, Bytové domy - Dolní Počernice

1Body jednání
1
Změna územního rozhodnutí: Dolní Počernice - Projekt 1
Rozhodnutí o změně umístění stavby s názvem **Dolní Počernice - Projekt 1** (původně Bytové domy Dolní Počernice, stavba č. 8613). Záměr zahrnuje výstavbu rozsáhlého obytného souboru tvořeného **bytovými domy** (SO.05 až SO.35), **polyfunkčními bariérovými domy** (SO.02, SO.03, SO.04, SO.36) a **komerčním objektem** (SO.37). Součástí projektu je vybudování nové dopravní infrastruktury, zejména ulice **Nová Úpická**, úprava ulice **U Konečné** a napojení na ulici **Českobrodská**. Projekt dále řeší nové inženýrské sítě, retenční nádrže, veřejné osvětlení a sadové úpravy. Dokument rovněž obsahuje **povolení ke kácení 3 dřevin** (ořešák, akát, lípa) s nařízenou náhradní výsadbou v areálu **MŠ Duha** na ulici **Svatoňovická**.
Rozhodnutí: Stavební úřad **vydává změnu územního rozhodnutí** o umístění stavby a **povoluje kácení dřevin** za stanovených podmínek.
1Dokumenty
Stavební řízení

12. března 2026 — 139, JES - DOČASNÁ ZÁKLADNÍ ŠKOLA JAHODNICE TRAVNÁ, PRAHA 14

1Body jednání
1
139, JES - DOČASNÁ ZÁKLADNÍ ŠKOLA JAHODNICE TRAVNÁ, PRAHA 14
Jedná se o záměr výstavby **dočasné základní školy Jahodnice Travná** s kapacitou šesti tříd. Stavba je navržena jako třípodlažní modulární objekt bez podsklepení. Hlavní stavba bude umístěna na pozemku **parc. č. 2665/187** v **k. ú. Kyje**. Záměrem jsou dále dotčeny pozemky **parc. č. 2665/188, 2665/189, 2665/111, 2665/381, 2665/380** v **k. ú. Kyje** a **parc. č. 978/5** v **k. ú. Hostavice**. Součástí projektu jsou i stavby technické infrastruktury, zejména nová vodovodní přípojka z veřejného řadu v **ulici Travná**. Srážkové vody budou sváděny do retenční nádrže o objemu **7,0 m3** a následně odváděny do dešťové kanalizace. Žadatelem je **Městská část Praha 14**.
Rozhodnutí: Vydáno **souhlasné jednotné environmentální stanovisko (JES)**. Záměr je z hlediska vlivů na všechny dotčené složky životního prostředí přípustný bez podmínek. Toto stanovisko nahrazuje souhlasné závazné stanovisko dle vodního zákona.
1Dokumenty
Veřejné vyhlášky

12. března 2026 — 142, Veřejná vyhláška - zpřístupnění hromadného předpisného seznamu č.j.: MJED 114/2026

1Body jednání
1
Veřejná vyhláška - zpřístupnění hromadného předpisného seznamu
Oznámení o zpřístupnění **hromadného předpisného seznamu** pod č.j. **MJED 114/2026**. Dokument informuje o možnosti nahlédnout do seznamu, který obsahuje údaje o stanovené výši poplatků nebo daní pro poplatníky na území městské části **Praha 14**. Písemnost je zveřejněna v souladu se zákonem za účelem informování daňových subjektů o stanovené dani.
1Dokumenty
Doprava

12. března 2026 — 143, Oznámení o zahájení správního řízení o povolení prodeje vozidla Ford Mondeo ve veřejné dražbě

1Body jednání
1
Zahájení řízení o povolení prodeje vozidla Ford Mondeo ve veřejné dražbě
Úřad městské části Praha 14, Odbor dopravy, oznamuje zahájení správního řízení o povolení prodeje silničního vozidla ve veřejné dražbě. Jedná se o vozidlo značky **Ford Mondeo**, registrační značky **4A75622**, VIN **WF0WXXGBBW5M58152**, se statutem **provozované** a platností technické prohlídky do **29.07.2023**. Vozidlo bylo původně odstaveno na místní komunikaci na adrese **Šestajovická 488/20**, **Praha 14**. Nyní je umístěno na odstavném parkovišti Správy služeb hl. m. Prahy na adrese **Ke Křížkám 785/8**, **Praha Dubeč**. Účastníci řízení mají možnost se k podkladům vyjádřit do **10 dnů** od doručení tohoto oznámení.
1Dokumenty
Stavební řízení

11. března 2026 — 136, JES - Praha - Bytový dům - Hloubětín

1Body jednání
1
Jednotné environmentální stanovisko: Praha - Bytový dům Hloubětín
Předmětem záměru je **přístavba** ke stávajícímu bytovému domu (bungalovu) z jižní strany, **stavební úpravy** objektu a související **úpravy zpevněných ploch**. Nový objekt bude zděný s plochou střechou a bude tvořit samostatnou bytovou jednotku. Součástí je vybudování **akumulační nádrže** o objemu > 9,1 m3 a **vsakovacího objektu** na pozemku investora. Projekt se týká pozemků **parc. č. 494, 495** v **k. ú. Hloubětín**. Zásobování vodou a odvod splašků bude napojen na stávající řady v ulici **Klánovická**.
Rozhodnutí: Záměr je z hlediska vlivů na všechny dotčené složky životního prostředí **přípustný bez podmínek**. Souhlasné jednotné environmentální stanovisko se vydává namísto vyjádření dle zákona o odpadech a závazného stanoviska dle vodního zákona.
1Dokumenty
Doprava

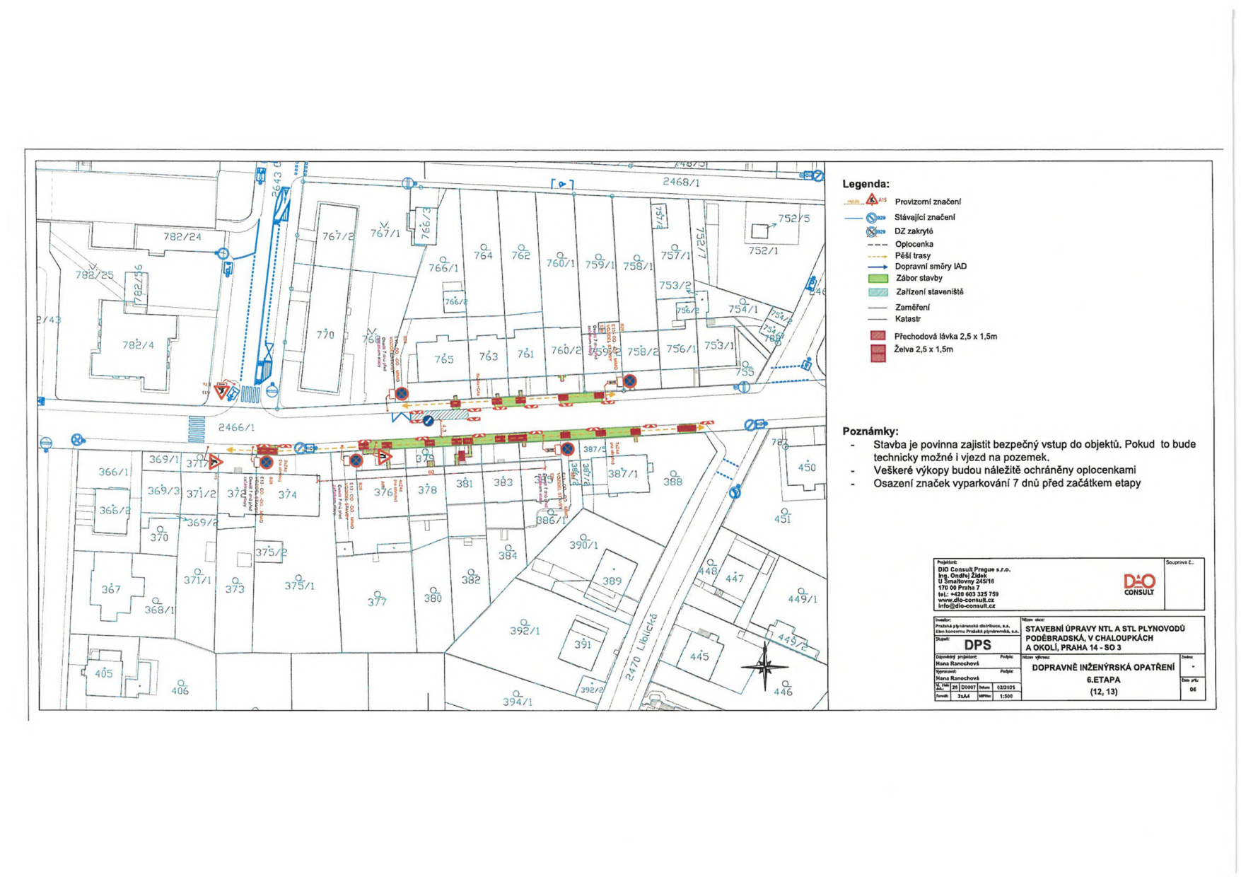
11. března 2026 — 137, Veřejná vyhláška - stanovení místní úpravy provozu v ul. Slévačská

1Body jednání
1
Návrh stanovení místní úpravy provozu v ul. Slévačská (most P508 Lehovec)
Úřad městské části Praha 14 oznamuje návrh opatření obecné povahy týkající se stanovení místní úpravy provozu v **Praze 14 – Hloubětín**. Úprava spočívá v umístění nového dopravního značení na místní komunikaci v ulici **Slévačská** u mostu **P508 Lehovec**. Důvodem je zhoršený technický stav mostu, který vyžaduje snížení provozního zatížení pro zajištění bezpečnosti. Navrženo je umístění značek **B13**, dodatkových tabulek **E13** s textem „JEDINÉ VOZIDLO 24 t“ a **E4** s textem „20 m“. Dotčené osoby mohou k návrhu podávat připomínky nebo námitky u Odboru dopravy Úřadu městské části Praha 14 ve lhůtě do 45 dnů ode dne zveřejnění tohoto návrhu.
2Dokumenty
1Obrázky
Ostatní

10. března 2026 — 135, Oznámení o přerušení dodávky elektřiny v ul. Kbelská č.p. 218, 217, 216 a Mochovská č.p. 216

1Body jednání
1
Oznámení o přerušení dodávky elektřiny - Kbelská a Mochovská
Oznámení o plánovaném přerušení dodávky elektrické energie v katastrálním území **Hloubětín**. Omezení se týká konkrétních objektů v ulici **Kbelská** s čísly popisnými **216**, **217** a **218** a objektu v ulici **Mochovská** s číslem popisným **216**.
1Dokumenty
Doprava

10. března 2026 — 132, Opatření obecné povahy - stanovení přechodné úpravy provozu v ul. Slévačská - most P508 Lehovec

1Body jednání
1
Stanovení přechodné úpravy provozu - ul. Slévačská, most P508
Městská část **Praha 14** stanovuje přechodnou úpravu provozu v ulici **Slévačská** v katastrálním území **Hloubětín**. Důvodem je špatný technický stav **mostu P508 Lehovec**, u kterého došlo ke zhoršení stavu nosné konstrukce. Na základě diagnostického průzkumu **Technické správy komunikací hl. m. Prahy** bylo rozhodnuto o snížení zatížitelnosti mostu na hodnoty **14t** (běžná) a **24t** (výhradní). Opatření spočívá v instalaci příslušného dopravního značení a nabývá účinnosti pátým dnem po vyvěšení.
Rozhodnutí: Úřad městské části Praha 14 **vydává opatření obecné povahy**, kterým **stanovuje přechodnou úpravu provozu** na pozemní komunikaci v ulici **Slévačská – most P508 Lehovec**.
2Dokumenty
1Obrázky
Doprava

10. března 2026 — 133, Opatření obecné povahy - stanovení místní úpravy provozu v ul. Chvalská

1Body jednání
1
Opatření obecné povahy - stanovení místní úpravy provozu v ul. Chvalská
Odbor dopravy MČ Praha 14 vydal opatření obecné povahy týkající se stanovení místní úpravy provozu na místní komunikaci v ulici **Chvalská** v katastrálním území **Hloubětín**. Úprava spočívá v umístění vodorovného dopravního značení (značky **2 x V12a**, **1 x V12b**, **1 x V10b** a **1 x V12c**) v celkové délce **25 metrů**. Cílem této změny je zajištění bezproblémového zásobování pro areál **ZŠ a MŠ Chvaletická**.
Rozhodnutí: Úřad městské části Praha 14 vydává opatření obecné povahy o stanovení místní úpravy provozu na pozemní komunikaci v ulici **Chvalská**.
2Dokumenty
2Obrázky
Doprava

9. března 2026 — 126, Opatření obecné povahy - stanovení přechodné úpravy provozu v ul. Vaňkova,Liblická,Čertouzská..

1Body jednání
1
Přechodná úprava provozu v ul. Vaňkova, Liblická, Čertouská a okolí
Městská část Praha 14 stanovila přechodnou úpravu provozu v katastrálním území **Hloubětín** v ulicích **Vaňkova**, **Liblická**, **Čertouská**, **Soustružnická**, **Klánovická**, **Chvalská**, **Horoušanská**, **Poděbradská** a **Konzumní**. Tato úprava spočívá v umístění dopravního značení a zařízení z důvodu **stavební úpravy plynovodů**. Práce budou probíhat v termínu od **9.3.2026** do **24.8.2026**. Akce se dotýká řady pozemků v k.ú. **Hloubětín**, mimo jiné parcel **1072/145**, **1072/132**, **1072/131**, **1072/130**, **1072/129**, **1072/128**, **782/45**, **782/66**, **782/12**, **782/8**, **782/22**, **782/20**, **782/72**, **766/1**, **764**, **760/1**, **759/1**, **758/1**, **480**, **482** a **486**.
Rozhodnutí: Úřad městské části Praha 14, Odbor dopravy, **vydává** opatření obecné povahy - stanovení přechodné úpravy provozu na pozemních komunikacích v ulicích **Vaňkova**, **Liblická**, **Čertouská**, **Soustružnická**, **Klánovická**, **Chvalská**, **Horoušanská**, **Poděbradská** a **Konzumní**.
2Dokumenty
10Obrázky