Věci Obecní

Detail

Dokument

Praha 20

Hlavní město Praha

Jívanská 647, 19300 Praha 9
Web obce ↗
Stavební řízení

9. března 2026 — vyrozumění o zahájení řízení - stanoviska: Novostavba RD v Horních Počernicích

1Body jednání
1
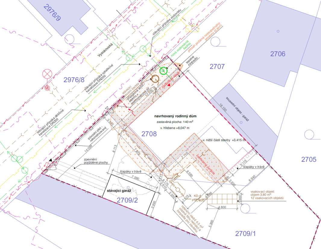
Novostavba RD v Horních Počernicích
Odbor výstavby a územního rozvoje vyrozumívá o zahájení řízení o povolení záměru **Novostavba RD v Horních Počernicích** na pozemcích **parc. č. 2708, 2709/1, 2709/2, 2706, 2707** v **k.ú. Horní Počernice**. Projekt zahrnuje částečně podsklepený přízemní rodinný dům s obytným podkrovím při ulici **Vysokovská**. Součástí je retenční nádrž s přepadem na pozemku **parc. č. 2709/1** a parkování v původní garáži na pozemku **parc. č. 2709/2**. Předmětem řízení je také povolení **výjimky z požadavků na výstavbu**, kdy odstup stavby od společné hranice pozemku **parc. č. 2708** s pozemky **parc. č. 2706, 2707** bude snížen na **0 m**.
1Dokumenty
1Obrázky
Rozpočet

9. března 2026 — ZŠ Stoliňská rozpočet 2026 a střednědobý výhled 2027-2028

1Body jednání
1
ZŠ Stoliňská rozpočet 2026 a střednědobý výhled 2027-2028
Zveřejnění rozpočtu příspěvkové organizace **ZŠ Stoliňská** na rok **2026** a střednědobého výhledu rozpočtu na roky **2027-2028**. Hlavní část příjmů tvoří dotace **MŠMT** (ve výši **35 767 000 Kč** pro rok 2026) a příspěvek zřizovatele včetně odpisů (**13 716 000 Kč**). Rozpočet zahrnuje hlavní i doplňkovou činnost školy a školní jídelny.
Rozhodnutí: Schválený rozpočet pro rok **2026** počítá s celkovými náklady a výnosy ve výši **54 794 000 Kč**. Střednědobý výhled pro rok **2027** je stanoven na **56 001 000 Kč** a pro rok **2028** na **57 681 000 Kč**.
2Dokumenty
Rozpočet

9. března 2026 — ZŠ Ratibořická rozpočet 2026 a střednědobý výhled 2027-2028

1Body jednání
1
Rozpočet ZŠ Ratibořická na rok 2026 a střednědobý výhled 2027-2028
Zveřejnění rozpočtu příspěvkové organizace **ZŠ Ratibořická** v městské části **Praha 20**. Plánovaný rozpočet pro rok **2026** počítá s celkovými výnosy a náklady ve výši **64 924 600 Kč**, z čehož **15 924 000 Kč** tvoří příspěvek zřizovatele a **42 071 000 Kč** dotace MŠMT. Střednědobý výhled pro rok **2027** předpokládá objem financí **74 304 600 Kč** a pro rok **2028** částku **76 804 600 Kč**.
2Dokumenty
Rozpočet

9. března 2026 — MŠ a MŠ Spojenců rozpočet 2026 a střednědobý výhled 2027-2028

1Body jednání
1
MŠ a ZŠ Spojenců rozpočet 2026 a střednědobý výhled 2027-2028
Dokumenty obsahují schválený rozpočet a střednědobý výhled hospodaření příspěvkové organizace **ZŠ a MŠ Spojenců**. **Rozpočet pro rok 2026:** - Celkové tržby a náklady jsou plánovány ve výši **30 682 000 Kč**. - Hlavní zdroje financování tvoří dotace **MŠMT** (**16 665 000 Kč**) a příspěvek zřizovatele (**10 470 000 Kč**). - Odpisy jsou vyčísleny na **203 603 Kč**. **Střednědobý výhled (2027-2028):** - Pro rok **2027** se počítá s náklady a tržbami **31 281 000 Kč**. - Pro rok **2028** se počítá s náklady a tržbami **32 221 000 Kč**.
2Dokumenty
Rozpočet

9. března 2026 — Místní veřejná knihovna rozpočet 2026 a střednědobý výhled 2027-2028

1Body jednání
1
Místní veřejná knihovna rozpočet 2026 a střednědobý výhled 2027-2028
Návrh rozpočtu příspěvkové organizace **Místní veřejná knihovna** na rok **2026** a výhled na roky **2027-2028**. Pro rok **2026** se počítá s celkovými tržbami a náklady ve výši **7 235 000 Kč**, přičemž **příspěvek zřizovatele** činí **6 855 000 Kč**. Ve střednědobém výhledu se pro rok **2027** předpokládá příspěvek ve výši **7 100 000 Kč** a pro rok **2028** ve výši **7 370 000 Kč**. Mzdové náklady v roce **2026** tvoří **5 512 000 Kč**.
2Dokumenty
Rozpočet

9. března 2026 — MŠ U Rybníčku rozpočet 2026 a střednědobý výhled 2027-2028

1Body jednání
1
Rozpočet MŠ U Rybníčku na rok 2026 a střednědobý výhled 2027-2028
Zveřejnění rozpočtu příspěvkové organizace **MŠ U Rybníčku** pro rok **2026** a střednědobého výhledu na období **2027–2028**. **Rozpočet 2026:** - Celkové výnosy i náklady jsou rozpočtovány ve výši **16 832 000 Kč**. - Hlavní položky tvoří dotace **MŠMT** (**9 642 000 Kč**) a příspěvek zřizovatele (**5 401 000 Kč** včetně odpisů). - Odpisy jsou stanoveny na **108 000 Kč**. **Střednědobý výhled:** - **Rok 2027**: Předpokládané výnosy a náklady ve výši **17 139 000 Kč**. - **Rok 2028**: Předpokládané výnosy a náklady ve výši **17 653 000 Kč**.
2Dokumenty
Rozpočet

9. března 2026 — MŠ Chodovická rozpočet 2026 a střednědobý výhled 2027-2028

1Body jednání
1
MŠ Chodovická rozpočet 2026 a střednědobý výhled 2027-2028
Rozpočet příspěvkové organizace **MŠ Chodovická** na rok **2026** a výhled hospodaření pro roky **2027** a **2028**. **Rozpočet 2026:** - Celkové tržby/náklady: **41 475 000 Kč** - Dotace MŠMT: **22 650 000 Kč** - Příspěvek zřizovatele (včetně odpisů): **14 388 000 Kč** - Ostatní tržby: **3 951 000 Kč** **Střednědobý výhled:** - Rok **2027**: celkové náklady/výnosy **42 159 000 Kč** - Rok **2028**: celkové náklady/výnosy **43 424 000 Kč**
2Dokumenty
Rozpočet

9. března 2026 — Kulturní centrum Horní Počernice rozpočet 2026 a střednědobý výhled 2027-2028

1Body jednání
1
Kulturní centrum Horní Počernice rozpočet 2026 a střednědobý výhled 2027-2028
Zveřejnění návrhu rozpočtu příspěvkové organizace **Kulturní centrum Horní Počernice** pro rok **2026** a střednědobého výhledu pro roky **2027** a **2028**. **Rozpočet 2026:** * Celkové tržby: **13 808 000 Kč** * Příspěvek zřizovatele: **7 825 000 Kč** * Celkové náklady: **13 808 000 Kč** (z toho mzdové náklady **7 290 000 Kč**) **Střednědobý výhled:** * Rok **2027**: Celkové tržby a náklady ve výši **14 223 000 Kč** * Rok **2028**: Celkové tržby a náklady ve výši **14 650 000 Kč**
2Dokumenty
Rozpočet

9. března 2026 — Chvalský zámek - rozpočet 2026 a střednědobý výhled 2027-2028

1Body jednání
1
Chvalský zámek - rozpočet 2026 a střednědobý výhled 2027-2028
Schválený rozpočet příspěvkové organizace **Chvalský zámek** pro rok **2026** a výhled na roky **2027-2028**. Pro rok **2026** jsou plánovány celkové tržby i náklady ve výši **13 940 000,00 Kč**, z čehož příspěvek zřizovatele činí **11 105 000,00 Kč**. Ve střednědobém výhledu se počítá s celkovými náklady **13 123 000,00 Kč** pro rok **2027** a **13 523 000,00 Kč** pro rok **2028**. Rozpočet zahrnuje provoz zámku a související aktivity.
2Dokumenty
Rozpočet

9. března 2026 — FZŠ Chodovická - rozpočet 2026 a střednědobý výhled 2027-2028

1Body jednání
1
FZŠ Chodovická - rozpočet 2026 a střednědobý výhled 2027-2028
Zveřejnění rozpočtu a střednědobého výhledu hospodaření příspěvkové organizace **FZŠ Chodovická**. Rozpočet pro rok **2026** počítá s celkovými výnosy a náklady ve výši **69 994 000 Kč**. Hlavní složky tvoří dotace **MŠMT** ve výši **40 858 000 Kč** a příspěvek zřizovatele ve výši **17 567 000 Kč**. Střednědobý výhled pro rok **2027** předpokládá rozpočet ve výši **71 581 000 Kč** a pro rok **2028** ve výši **73 727 000 Kč**.
2Dokumenty
Rozpočet

9. března 2026 — Dům dětí a mládeže - rozpočet 2026 a střednědobý výhled 2027-2028

1Body jednání
1
Dům dětí a mládeže - rozpočet 2026 a střednědobý výhled 2027-2028
Zveřejnění rozpočtu příspěvkové organizace **Dům dětí a mládeže (DDM)** pro rok **2026** a střednědobého výhledu na roky **2027–2028**. ### Rozpočet na rok 2026: - **Celkové výnosy a náklady**: **13 776 000 Kč** - **Dotace MŠMT**: **7 036 000 Kč** - **Příspěvek zřizovatele**: **1 732 000 Kč** - **Ostatní tržby**: **4 560 000 Kč** ### Střednědobý výhled: - **Rok 2027**: Celkové tržby **13 744 144 Kč**, celkové náklady **13 320 000 Kč**. - **Rok 2028**: Celkové tržby i náklady **13 320 000 Kč**. Součástí rozpočtu jsou i účelové dotace a odvody z fondu investic.
2Dokumenty
Volná místa

9. března 2026 — VŘ - OKÚ - právník/právnička

1Body jednání
1
VŘ - OKÚ - právník/právnička
Městská část **Praha 20** vyhlásila výběrové řízení na obsazení pracovní pozice **právník/právnička** pro **Odbor kanceláře úřadu** (OKÚ). Oznámení bylo zveřejněno pod číslem jednacím **MCP20 011280/2026/OKÚ/Kei**.
1Dokumenty
Volná místa

9. března 2026 — VŘ - OHSaI - investiční referent

1Body jednání
1
VŘ - OHSaI - investiční referent
Městská část **Praha 20** vyhlásila výběrové řízení na obsazení pracovní pozice **investiční referent** v rámci Odboru hospodářské správy a investic (OHSaI). Oznámení bylo zveřejněno pod číslem jednacím **MCP20 011278/2026/OKÚ/Kei**.
1Dokumenty
Záměry obce

6. března 2026 — Záměr uzavření Dodatku č. 2 k nájemní smlouvě č. S/120/16/0009 - změna rozsahu pronájmu

1Body jednání
1
Záměr uzavření Dodatku č. 2 k nájemní smlouvě - přemístění kontejneru na textil
Městská část Praha 20 zveřejňuje záměr na uzavření Dodatku č. 2 k nájemní smlouvě se společností **Koutecký s.r.o.** Předmětem je změna rozsahu pronájmu ploch pro kontejnery na textil v katastrálním území **Horní Počernice**: * **Vyjmutí** části pozemku **parc. č. 2196/1** o výměře cca **1,5 m²** z nájmu. * **Zvětšení** pronajímané části pozemku **parc. č. 786/40** o cca **1,5 m²** (celkem na **3 m²**) z důvodu přemístění kontejneru. Změna má nabýt účinnosti od **15. 4. 2026**. Zájemci se mohou k záměru vyjádřit do **23. 03. 2026**.
2Dokumenty
1Obrázky
Záměry obce

6. března 2026 — Záměr prodloužení nájemní smlouvy č. S/120/2021/0118 za účelem pronájmu pozemku parc. č. 4275/9

1Body jednání
1
Záměr prodloužení nájemní smlouvy na pozemek parc. č. 4275/9
Městská část Praha 20 zveřejňuje záměr prodloužit nájemní smlouvu č. **S/120/2021/0118** za účelem pronájmu pozemku **parc. č. 4275/9** (zahrada) o výměře **483 m2** v **k. ú. Horní Počernice**. Nájem je plánován pro předem určeného zájemce na dobu určitou od **2. 6. 2026** do **31. 5. 2031** za nájemné **1 208 Kč/rok** (2,50 Kč/m2/rok).
2Dokumenty
1Obrázky
Dražby a exekuce

5. března 2026 — Vyvěšení na ÚD - Oznámení MHMP

1Body jednání
1
Oznámení o zahájení řízení o prodeji vozidla FORD Focus v dražbě
Magistrát hlavního města Prahy zahajuje správní řízení o povolení prodeje vozidla tovární značky **FORD Focus**, barva šedá, **RZ 1AI7166**, **VIN: WFONXXWPDN1M53169** ve veřejné dražbě. Vozidlo bylo původně odstaveno na silnici II. třídy v ulici **Náchodská** před **č.p. 710/100** v rámci **MČ Praha 20**. Vlastníkem a provozovatelem vozidla je **THI NHUNG HOANG**, bytem **Pod plynojemem 1274/5, Praha 8**, který/á nereagoval/a na výzvu k odstranění vozidla a automobil byl následně dne **24.7.2024** odtažen. Účastník řízení má právo se vyjádřit k podkladům nebo nahlédnout do spisu na adrese **Jungmannova 39/25, Praha 1** (kancelář č. 170) ve lhůtě **15 dnů** od doručení tohoto oznámení.
1Dokumenty
Doprava

27. února 2026 — Návrh 19a-stanovení přechodné úpravy provozu: ZUK-ul. Ratibořická-obnova KNN, RIS 82/1166

1Body jednání
1
Návrh dočasného zákazu zastavení v ul. Ratibořická
Oznámení o návrhu opatření obecné povahy pro **dočasný zákaz zastavení** silničních vozidel v **ulici Ratibořická** a na **parkovišti č. 15 a č. 16** (pozemek **parc. č. 2640/21** v **k.ú. Horní Počernice**) v **Praze 20 – Horní Počernice**. Opatření je navrženo z důvodu stavebních prací v rámci akce **obnova kNN - RIS 82/1166**. Žadatelem je společnost **PREdistribuce a.s.**, zastoupená společnostmi **Energo Praha spol. s.r.o.** a **ADOZ Praha - dopravní značení s.r.o.** Přenosné dopravní značení **B28 + E13** (s vyznačením data výkopu) bude instalováno nejméně **7 dní** předem. Mezi dotčené subjekty patří také **Družstvo Běluňská** na adrese **Běluňská 1840/6** a **Městská část Praha 20** (OMH) na adrese **Lipí 2642/4**.
2Dokumenty
Doprava

25. února 2026 — usnesení - ustanovení opatrovníka: vrak-Mezilesí-dodávka

1Body jednání
1
Ustanovení opatrovníka pro vlastníka vraku vozidla v ulici Mezilesí
Úřad městské části Praha 20 rozhodl o **ustanovení opatrovníka** pro neznámého vlastníka a provozovatele vozidla tovární značky **OPEL Movano** (bílé barvy, bez registrační značky). Vozidlo bylo vyhodnoceno jako **vrak** a je odstaveno na pozemní komunikaci **NN 4160 (parkoviště)** v ulici **Mezilesí**, v blízkosti domu **č.p. 2215/9** v **Praze 9 – Horních Počernicích**. Opatrovníkem byla ustanovena **Městská část Praha 20** (Kancelář úřadu) se sídlem **Jívanská 647/10**. Důvodem je ochrana procesních práv neznámého účastníka v řízení o vraku.
Rozhodnutí: Úřad **ustanovuje** opatrovníkem neznámého účastníka řízení (vlastníka a provozovatele vozidla) **Městskou část Praha 20**, IČ: **002 40 192**, se sídlem **Jívanská 647/10, Praha 9 – Horní Počernice**.
1Dokumenty
Veřejné vyhlášky

24. února 2026 — Závěr zjišťovacího řízení - RS 1 VRT Praha-Běchovice – Poříčany – Světlá nad Sázavou - vyvěšení

1Body jednání
1
Závěr zjišťovacího řízení záměru VRT Praha-Běchovice – Poříčany – Světlá nad Sázavou
Ministerstvo životního prostředí vydalo **Závěr zjišťovacího řízení** pro záměr novostavby vysokorychlostních tratí **RS 1** (úsek **Praha-Běchovice – Poříčany – Světlá nad Sázavou**, délka **85,5 km**) a **RS 5** (úsek **Praha-Běchovice – odbočka Vycherov**, délka **26,5 km**). Celková délka projektu je cca **112 km**. Součástí záměru jsou stavby železničního tělesa, mostů, tunelů (např. **tunel Rozkoš**), terminálu **Praha východ** s parkovacím domem pro **3000 stání** v **Nehvizdech**, stanice **Bečváry - Kořenice VRT**, modernizace **ŽST Světlá nad Sázavou**, rekonstrukce **ŽST Sadská**, údržbové základny **Bečváry** a **Šembera**. Projekt prochází přes **79 katastrálních území** v krajích **Praha**, **Středočeský** a **Vysočina**. Mezi dotčené obce a lokality patří: **Běchovice**, **Horní Počernice**, **Šestajovice**, **Jirny**, **Nehvizdy**, **Vyšehořovice**, **Mochov**, **Vykáň**, **Kounice**, **Chrást**, **Poříčany**, **Třebestovice**, **Milčice**, **Hořany**, **Tatce**, **Sadská**, **Kostelní Lhota**, **Zvěřínek**, **Hořátev**, **Nymburk**, **Klučov**, **Chrášťany**, **Vrbčany**, **Třebovle**, **Klášterní Skalice**, **Zalešany**, **Kouřim**, **Svojšice**, **Dolní Chvatliny**, **Kořenice**, **Bečváry**, **Suchdol**, **Onomyšl**, **Vidice**, **Košice**, **Malešov**, **Nepoměřice**, **Chlístovice**, **Černíny**, **Opatovice I**, **Úmonín**, **Červené Janovice**, **Paběnice**, **Petrovice I**, **Zbýšov**, **Dobrovítov**, **Čejkovice**, **Leština u Světlé**, **Sázavka**, **Světlá nad Sázavou**, **Druhanov**, **Kunemil**, **Služátky**, **Příseka** a **Pohleď**. Dokumentace EIA musí řešit vliv na **vodárenskou nádrž Vrchlice**, tok **Sázavka**, zdroje pitné vody (např. **parc. č. 284/2** v **k.ú. Příseka**) a památnou **Hrušeň** v **k.ú. Kounice**.
Rozhodnutí: Ministerstvo životního prostředí **rozhodlo**, že záměr **podléhá posouzení vlivů na životní prostředí (proces EIA)**. Dokumentace EIA musí být zpracována s důrazem na 18 specifických oblastí (hluk, emise, vibrace, veřejné zdraví, hydrogeologie, ochrana přírody, krajinný ráz a další) a musí vypořádat připomínky desítek dotčených obcí a spolků.
1Dokumenty
Stavební řízení

23. února 2026 — vyrozumění o zahájení řízení - stanoviska: "S-142527, Praha 20, Propojení kVN, Horní Počernice - Klá

1Body jednání
1
Zahájení řízení o povolení záměru: Propojení kVN, Horní Počernice – Klánovice, III. Etapa
Oznámení o zahájení společného řízení o povolení záměru s názvem **„S-142527, Praha 20, Propojení kVN, Horní Počernice – Klánovice, nový kabel VN, III. Etapa“**. Stavebníkem je **PREdistribuce, a.s.** Záměr spočívá v rozšíření distribuční soustavy VN vybudováním nového kabelového vedení o délce cca **770 m** pro napojení trafostanice **TS 1924** (odpočívka Beranka D11). Trasa je navržena při ulicích **Bořetická**, **K Berance** a **K Odpočinku**. Stavba bude realizována na pozemcích **parc. č. 4536/3, 4096, 4098, 4099/1, 4100/1, 4101/1, 4101/8, 4101/103, 4101/104, 4105/1, 4121/1, 4536/1, 4536/18** v **k.ú. Horní Počernice**. Sousední pozemky přímo dotčené záměrem jsou **parc. č. 4087/9, 4087/15, 4091/38, 4091/50, 4095/2, 4097, 4099/3, 4100/4, 4105/30, 4129/159, 4129/269, 4536/36** v **k.ú. Horní Počernice**. Účastníci mohou uplatnit námitky do **15 dnů** od doručení vyrozumění.
1Dokumenty