Věci Obecní

Detail

Dokument

Praha 13

Hlavní město Praha

Sluneční náměstí 2580, 15800 Praha 5
Web obce ↗
Ostatní

15. dubna 2026 — Výzva k odstranění vozidla z poz.komunikace Kettnerova 2053/18,RZ 9S54122,zn.Ford,Hebar s.r.o;Akulov

1Body jednání
1
Výzva k odstranění vozidla Ford (RZ 9S54122) z ulice Kettnerova
Správa služeb hl. m. Prahy vyzývá provozovatele **Hebar s.r.o.** a vlastníka **Yury Akulov** k odstranění vozidla značky **Ford**, RZ **9S54122**, VIN **WF0WXXGCDW7J32196**, které je odstaveno na adrese **Kettnerova 2053/18, Praha 13**. Vozidlo má více než 6 měsíců propadlou technickou kontrolu. Pokud nebude vozidlo odstraněno nebo nebude odstraněn důvod nezpůsobilosti do **2 měsíců** od doručení výzvy, bude vozidlo odtaženo na náklady provozovatele. Náklady na odtah činí **3 800 Kč** a parkovné **500 Kč/den**.
1Dokumenty
Dotace

15. dubna 2026 — Vyhlášení programových dotací na rok 2026 - volný čas

1Body jednání
1
Vyhlášení programových dotací na rok 2026 - volný čas
Městská část **Praha 13** vyhlásila dotační programy pro oblast sportu, kultury a volného času na rok **2026**. Program č. 1 je zaměřen na **podporu pravidelné celoroční činnosti** (max. **30 000 Kč** na žadatele). Program č. 2 se týká **spolupořadatelství jednorázových akcí** (max. **15 000 Kč** na akci). Žádosti o dotace je možné podávat v termínu od **1. 4. 2026** do **15. 4. 2026** do **18:00 hodin**. Místem podání je **podatelna ÚMČ Praha 13**, **Sluneční nám. 13/2580, Praha 13 - Nové Butovice**, nebo lze využít datovou schránku. Dokument obsahuje i vzorové žádosti s lokalitami jako **Centrální park** a hřiště **u Kuželkárny**. Žadatelé musí být zaregistrováni v **Registru organizací volného času MČ Praha 13**.
3Dokumenty
Dražby a exekuce

15. dubna 2026 — Dražební vyhláška 199 EX 00385/24-067 na den 15.04.2026

1Body jednání
1
Elektronická dražba pavilonu (104 m2) v k.ú. Zličín
Soudní exekutor Mgr. Pavel Skácel nařizuje elektronickou dražbu movité věci: **Pavilon o rozměrech 13 m x 8 m (104 m²)**, se sendvičovou panelovou konstrukcí s podlahou, elektrickým rozvodem, příčkami a automatickými dveřmi. Objekt není spojen s podložím a je nutná jeho demontáž. Nachází se na místě se souřadnicemi **50.0605314N, 14.3012000E**, což je naproti adrese **Na Radosti 119/10, Praha - Zličín**. * **Rozhodná cena:** **1 200 000,00 Kč** * **Nejnižší podání:** **400 000,00 Kč** * **Dražební jistota:** **10 000,00 Kč** * **Termín konání dražby:** **15. 4. 2026 od 13:00 hod.** na portálu **www.exdrazby.cz**. * **Povinný:** **charge and ride s.r.o. v likvidaci**, **Kurzova 2222/16, 155 00 Praha - Stodůlky**.
1Dokumenty
Veřejné vyhlášky

14. dubna 2026 — Veřejná vyhláška MCP6 0242476/2026 - doručení písemnosti - Michal Richtařík

1Body jednání
1
Veřejná vyhláška - doručení písemnosti - Michal Richtařík
Oznámení o uložení písemnosti č.j. **MCP6 0926197/2025** ze dne **05. 11. 2025** určené do vlastních rukou adresáta. Adresátem je **Michal Richtařík**, narozený **09. 11. 1975**, s adresou **Slunečné náměstí 2580/13, 158 00 Praha 58**. Písemnost je uložena na **Úřadu městské části Praha 6**, ekonomický odbor, **Čs. armády 601/23**, Praha 6, č. dveří 510.
1Dokumenty
Veřejné vyhlášky

14. dubna 2026 — Veřejná vyhláška MCP6 0242476/2026 - doručení písemnosti - RYCHTAŘÍK Michal

1Body jednání
1
Veřejná vyhláška - doručení písemnosti (Michal Rychtařík)
Oznámení o uložení písemnosti č. j. **MCP6 0926197/2025** ze dne **05. 11. 2025** určené do vlastních rukou pro adresáta **Michal Richtařík** (narozen **09. 11. 1975**), s adresou **Slunečné náměstí 2580/13, 158 00 Praha 58**. Písemnost je uložena k vyzvednutí na **Úřadu městské části Praha 6**, ekonomický odbor, na adrese **Čs. armády 601/23, Praha 6**. Pokud nebude písemnost adresátem vyzvednuta v patnáctidenní lhůtě od vyvěšení, považuje se poslední den této lhůty za den doručení.
1Dokumenty
Veřejné vyhlášky

14. dubna 2026 — Veřejná vyhláška - hromadný předpisný seznam - daň z nemovitých věcí na rok 2026

1Body jednání
1
Hromadný předpisný seznam - daň z nemovitých věcí na rok 2026
Finanční úřad pro hlavní město Prahu oznamuje, že od **14. 4. 2026** do **14. 5. 2026** je na všech jeho územních pracovištích zpřístupněn k nahlédnutí **hromadný předpisný seznam** čj. 3102801/26/2040-11530-105319. Tímto seznamem se stanovuje **daň z nemovitých věcí na rok 2026** pro daňové subjekty přihlášené k platbě prostřednictvím **SIPO** za nemovité věci nacházející se v obvodu územní působnosti úřadu. Nahlížet lze v úřední dny (pondělí a středa od 8:00 do 17:00). Za den doručení se považuje 30. den po zpřístupnění seznamu.
1Dokumenty
Rozpočet

13. dubna 2026 — Rozpočtové změny za měsíc duben 2026

1Body jednání
1
Rozpočtové změny za měsíc duben 2026
Souhrnná tabulka rozpočtových změn za měsíc **duben 2026**. Celkový objem rozpočtových úprav (příjmů i výdajů) činí **209 831 200 Kč**. Rozpočtové změny (označené jako RO 39 až RO 3023) zahrnují přesuny a navýšení finančních prostředků v oblastech **místní správy**, **školství** (mateřské a základní školy), **sociální péče**, **požární ochrany** a významné **investiční výdaje** na stavby a pořízení dlouhodobého majetku.
Rozhodnutí: Rada městské části usnesením č. **UR 0119/2026** ze dne **13.4.2026** schválila rozpočtové změny za měsíc duben 2026.
1Dokumenty
Doprava

13. dubna 2026 — OOP - stanovení přechodné úpravy provozu v ul. Archeologická, Brdičkova, NN3454

1Body jednání
1
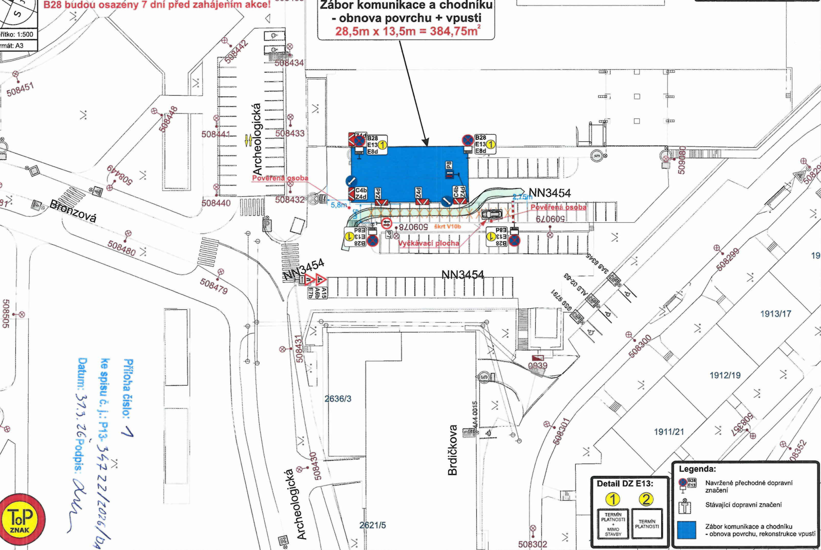
Stanovení přechodné úpravy provozu v ulicích Archeologická, Bronzová a okolí
Opatření obecné povahy stanovuje přechodnou úpravu provozu z důvodu **rekonstrukce křižovatky ulic Archeologická a Bronzová** a **obnovy povrchu a vpustí na přilehlém parkovišti u Polyfunkčního centra Lužiny – objekt Alfa**. Stavební práce budou probíhat v termínu od **13.04.2026 do 02.08.2026** a budou rozděleny do 10 etap. Omezení se týká ulic **Archeologická**, **Bronzová**, **Zázvorkova**, **Mukařovského**, **U Jezera**, **Sezemínská**, **Amforová**, **Podpěrova** a **Brdičkova** v katastrálním území **Stodůlky**.
Rozhodnutí: Úřad městské části Praha 13 **vydává opatření obecné povahy**, kterým se **stanovuje přechodná úprava provozu** na uvedených pozemních komunikacích.
3Dokumenty
9Obrázky
Doprava

13. dubna 2026 — OOP Kaufland, rekonstrukce parkoviště - III. až V. etapa

1Body jednání
1
OOP Kaufland, rekonstrukce parkoviště - III. až V. etapa
Stanovení přechodné úpravy provozu na pozemních komunikacích z důvodu **rekonstrukce venkovních ploch parkoviště Kaufland** (etapy III. až V.). Opatření spočívá v umístění přechodného dopravního značení a zařízení na komunikaci **NN4625** v ulici **Pod Hranicí**. Termín realizace je stanoven od **13.04.2026** do **31.05.2026**. Omezení a zábory se dotknou také ulic **Kodymova**, **Běhounkova** a **Armády**.
Rozhodnutí: Úřad městské části Praha 13 **vydává opatření obecné povahy** – stanovení přechodné úpravy provozu na pozemní komunikaci v ulici **Pod Hranicí**.
2Dokumenty
Volná místa

10. dubna 2026 — Oznámení o volném pracovním místě - odbor sociální péče - terénní soc. pracovník (doba určitá)

1Body jednání
1
SOCIÁLNÍ PRACOVNÍK - OSPOD (terénní sociální pracovník)
Městská část **Praha 13** oznamuje volné pracovní místo na pozici **sociální pracovník** v **odboru sociální péče – OSPOD** (terénní sociální pracovník). Jedná se o práci na **dobu určitou** (zástup za rodičovskou dovolenou) s platovou třídou **11**. Náplní práce je péče o ohrožené děti, šetření v rodinách a zastupování dětí u soudu. Místo výkonu práce je v **Praze**, konkrétně na moderním pracovišti na **Slunečním náměstí** v blízkosti **stanice metra B Hůrka**. Přihlášky se podávají do **10. 4. 2026** na adresu **Úřadu městské části Praha 13**.
1Dokumenty
Volná místa

10. dubna 2026 — Oznámení o výběrovém řízení - odbor stavební - odborný pracovník

1Body jednání
1
Oznámení o výběrovém řízení - odborný pracovník v odboru stavebním
**Městská část Praha 13** vyhlásila výběrové řízení na obsazení pracovního místa **odborný/á pracovník/pracovnice** v **odboru stavebním**. Hlavní náplní práce je výkon činností stavebního úřadu v přenesené působnosti. Místem výkonu práce je **Praha**, konkrétně pracoviště na **Slunečním náměstí** u stanice metra **Hůrka**. Pozice je v **10. platové třídě** na dobu neurčitou. Mezi benefity patří 5 týdnů dovolené, 6 dní sick days, stravenková karta a možnost rekreace v **rekreačním zařízení ve Vrchlabí**. Přihlášky se podávají nejpozději do **10. 4. 2026** na adresu **Sluneční nám. 2580/13, 158 00 Praha 5**.
1Dokumenty
Stavební řízení

10. dubna 2026 — "Stavební úpravy bytových domů č. p. 1941, 1942, 1943, 1944, 1945 a 1946"

1Body jednání
1
Stavební úpravy bytových domů Píškova 1941–1946
Stavební úřad povolil revitalizaci řadového panelového domu v ulici **Píškova 2, 4, 6, 8, 10 a 12** v **k.ú. Stodůlky**. Projekt zahrnuje rekonstrukci a prodloužení lodžií, jejich zasklení, zateplení fasády a strojoven výtahů a opravu ploché střechy. Práce se týkají budov **č.p. 1941, 1942, 1943, 1944, 1945 a 1946** na parcelách **2131/256, 2131/257, 2131/414, 2131/416, 2131/418, 2131/528, 2131/529, 2272/7, 2272/8, 2272/29, 2272/31, 2401/12, 2401/13, 2401/14, 2401/15 a 2401/82**. Součástí rozhodnutí jsou i podmínky pro ochranu rorýse obecného a netopýrů.
Rozhodnutí: Stavební úřad povoluje stavební úpravy bytových domů č. p. 1941, 1942, 1943, 1944, 1945 a 1946 v k.ú. Stodůlky.
1Dokumenty
Ostatní

10. dubna 2026 — Oznámení o zahájení SŘ - Povolení prodeje ve VD - Škoda Octavia, RZ 1U8 6535

1Body jednání
1
Oznámení o zahájení SŘ - Povolení prodeje ve VD - Škoda Octavia, RZ 1U8 6535
Oznámení o zahájení správního řízení ve věci návrhu na povolení prodeje vozidla **Škoda Octavia kombi**, zelená-metal, **RZ 1U8 6535**, ve veřejné dražbě. Vozidlo bylo původně odstaveno v ulici **Pavrovského**, před objektem **č.p. 2502/12** v **Praze 13**. V současnosti je umístěno na odstavném parkovišti **Správy služeb hlavního města Prahy** v ulici **Radlická**, **Praha 5 - Jinonice**.
1Dokumenty
Ostatní

10. dubna 2026 — Oznámení o zahájení SŘ-povolení prodeje ve VD, zn. Toyota Avensis, RZ 9AF 9695

1Body jednání
1
Oznámení o zahájení správního řízení o povolení prodeje vozidla Toyota Avensis
Oznámení o zahájení správního řízení ve věci návrhu na povolení prodeje silničního vozidla **Toyota Avensis Verso** (RZ **9AF 9695**, barva šedá-metal) ve veřejné dražbě. Vozidlo bylo původně odstaveno v ulici **Neustupného** na parkovišti proti objektu **č.p. 1832/22** v **Praze 13**. V současné době je vozidlo umístěno na odstavném parkovišti **Správy služeb hlavního města Prahy** v ulici **Radlická** v **Jinonicích**. Účastníci řízení se mohou seznámit s podklady a vyjádřit se k nim do **15 dnů** od doručení oznámení.
1Dokumenty
Stavební řízení

9. dubna 2026 — ukončení procesu EIA

1Body jednání
1
Ukončení procesu EIA: Stacionární zařízení pro využívání a recyklaci odpadů Praha – Řeporyje
Magistrát hlavního města Prahy ukončil proces posuzování vlivů na životní prostředí (EIA) pro záměr **„STACIONÁRNÍ ZAŘÍZENÍ PRO VYUŽÍVÁNÍ A RECYKLACI ODPADŮ PRAHA – ŘEPORYJE“**. Zjišťovací řízení bylo zahájeno dne **04.03.2026** na základě oznámení záměru. Dne **01.04.2026** obdržel úřad žádost oznamovatele, společnosti **Pavel Švestka, s.r.o.**, o ukončení procesu posuzování vlivů citovaného záměru na životní prostředí.
Rozhodnutí: Odbor ochrany prostředí Magistrátu hlavního města Prahy **ukončuje posuzování** pro záměr **„STACIONÁRNÍ ZAŘÍZENÍ PRO VYUŽÍVÁNÍ A RECYKLACI ODPADŮ PRAHA – ŘEPORYJE“**.
1Dokumenty
Doprava

9. dubna 2026 — ZUK - ZTP (nový) Amforová 1934/25

1Body jednání
1
Zřízení vyhrazeného parkovacího stání v ulici Amforová
Odbor dopravy Úřadu MČ Praha 13 stanovil přechodnou úpravu provozu v ulici **Amforová**. Předmětem opatření je zřízení vyhrazeného parkovacího stání pro osobu se zdravotním postižením (ZTP) s registrační značkou **5AT 8717**. Parkovací stání o rozměrech **5 x 2,5 m** bude umístěno na vozovce kolmo u objektu **Amforová 1934/25**. Realizace zahrnuje osazení svislé dopravní značky **IP 12** a vodorovného značení **V 10f**. Platnost tohoto stanovení je určena od nabytí právní moci rozhodnutí do **31. 05. 2028**.
Rozhodnutí: Úřad městské části Praha 13 **vydává** opatření obecné povahy, kterým **stanovuje** přechodnou úpravu provozu na pozemní komunikaci **Amforová** spočívající v umístění vyhrazeného parkoviště pro vozidlo s registrační značkou **5AT 8717**.
2Dokumenty
Záměry obce

9. dubna 2026 — Uzavření dodatku č. 6 k náj. sml. na pronájem části poz. parc. č. 2342/556, 2342/289 v k.ú. Stodůlky

1Body jednání
1
Uzavření dodatku č. 6 k nájemní smlouvě na pronájem částí pozemků v k.ú. Stodůlky
Městská část **Praha 13** oznamuje záměr uzavřít **dodatek č. 6 k nájemní smlouvě** z důvodu prodloužení doby trvání prací. Předmětem je pronájem části pozemků **parc. č. 2342/556** a **parc. č. 2342/289** v **k.ú. Stodůlky** o celkové výměře cca **12 m2**. Účelem pronájmu je zateplení a stavební úpravy bytového domu na adresách **Kurzova 2201-2202** a **Borovanského 2303-2205**, **Praha 5**.
1Dokumenty
Záměry obce

9. dubna 2026 — Pronájem části pozemku parc. č. 2210/1 v k.ú. Stodůlky

1Body jednání
1
Záměr pronájmu části pozemku parc. č. 2210/1 v k.ú. Stodůlky
Městská část Praha 13 oznamuje záměr **pronájmu části pozemku parc. č. 2210/1** v **k.ú. Stodůlky** o výměře cca **80 m2**. Účelem pronájmu je vybudování vodovodní a kanalizační přípojky k rodinnému domu na pozemcích **parc. č. 833/1**, **parc. č. 832**, **parc. č. 833/2** a **parc. č. 833/4** v **k.ú. Stodůlky**.
1Dokumenty
Ostatní

8. dubna 2026 — Výzva k odstranění vozidla z poz.komunikace Tlumačovská 1097/30, RZ 7AM7113, zn. Opel, Jan Resler

1Body jednání
1
Výzva k odstranění vozidla z pozemní komunikace - Tlumačovská 1097/30
Správa služeb hlavního města Prahy vyzývá provozovatele, kterým je **Jan Resler**, k odstranění vozidla značky **Opel**, RZ: **7AM7113**, z pozemní komunikace na adrese **Tlumačovská 1097/30**, **Praha 13**. Vozidlo má více než 6 měsíců propadlou technickou prohlídku, což je v rozporu se zákonem o pozemních komunikacích. Pokud nebude vozidlo odstraněno do **2 měsíců** od doručení této výzvy, bude odtaženo vlastníkem komunikace na náklady provozovatele. Náklady na odtah jsou stanoveny na **3 800 Kč** a parkovné na **500 Kč** za každý i započatý den.
1Dokumenty
Záměry obce

8. dubna 2026 — Pronájem části poz. parc.č. 1235/199 v k.ú. Stodůlky

1Body jednání
1
Pronájem části pozemku parc. č. 1235/199 v k. ú. Stodůlky
Městská část **Praha 13** zveřejňuje záměr pronajmout část pozemku **parc. č. 1235/199** o celkové výměře cca **35 m2** v **k. ú. Stodůlky**. Účelem pronájmu jsou **výkopové práce pro pokládku elektro kabelů NN** v rámci stavby „**Praha 13- Stodůlky, K Hájům - nový kNN, SR 302, (S-158167)**“.
1Dokumenty