Věci Obecní

Detail

Dokument

Praha

Hlavní město Praha

Mariánské náměstí 2, 11000 Praha
Web obce ↗
Záměry obce

15. května 2026 — pronájem části komunikace parc. č. 643/5 k.ú. Prosek dle přílohy

1Body jednání
1
Pronájem části komunikace Čakovická, k.ú. Prosek
Záměr pronajmout část komunikace **Čakovická** na pozemku **parc. č. 643/5** v **k.ú. Prosek** (**Praha 9**). Předmětem je **stavební zábor** o výměře **34 m²** pro **staveništní vjezd**. Budoucím nájemcem je společnost **FINEP Prosek bytová 12 k.s.**, nájem je plánován od **15.05.2026** na dobu maximálně jednoho roku.
1Dokumenty
Doprava

15. května 2026 — nám. J. Palacha - navalis

1Body jednání
1
Dočasný zákaz zastavení na náměstí Jana Palacha (NAVALIS 2026)
Oznámení o návrhu opatření obecné povahy pro dočasný **zákaz zastavení** silničních vozidel na **náměstí Jana Palacha** v Praze 1. Opatření je navrženo z důvodu zajištění parkování autobusů spoluúčinkujících folklorních sdružení v rámci akce **Svatojanské slavnosti – NAVALIS 2026**. Zákaz se týká parkovacího pruhu v modré zóně placeného stání v úseku **Mánesův most – Křižovnická**. Dočasné omezení je plánováno v termínu od **15. 5. 2026** (09:00) do **16. 5. 2026** (04:00).
2Dokumenty
Ostatní

15. května 2026 — Vyhlášení výběrového řízení na uzavření smluvního vztahu se zdravotními pojišťovnami v oboru cévní chirurgie pro území hl.m. Prahy

1Body jednání
1
Výběrové řízení na poskytování zdravotních služeb v oboru cévní chirurgie
Magistrát hlavního města Prahy vyhlašuje výběrové řízení na uzavření smlouvy se zdravotními pojišťovnami o poskytování a úhradě hrazených služeb v oboru **cévní chirurgie** pro území **hlavního města Prahy**. Zájemci o uzavření smluvního vztahu musí podat písemnou přihlášku nejpozději **do 15.05.2026** na adresu **Jungmannova 35/29, Praha 1**. Uchazeč by měl být schopen splnit předpoklady pro poskytování těchto zdravotních služeb do **15.08.2026**.
1Dokumenty
Dražby a exekuce

15. května 2026 — Dražba povinný Yovanny Investment, s.r.o. movitý majetek

1Body jednání
1
Dražba movitého majetku úpadce Yovanny Investment, s.r.o.
Soudní exekutor oznamuje konání dražebního roku pro prodej movitých věcí z majetku úpadce **Yovanny Investment, s.r.o.** (IČO **24262161**) se sídlem **Bulharská 996/20**, **Praha 10**. Dražba se koná dne **15. 5. 2026** od **08:00** v areálu exekučních skladů na adrese **Zámecká ulice 230**, **Přerov-Čekyně**. Předmětem dražby jsou: vozidlo **Peugeot Partner 7** (VIN **VF37A9HN0BJ832900**), nákladní automobily **Mercedes-Benz** (VIN **WDB96340610126002**, **WDB96340610126003**, **WDB96340610135775**, **WDB96340610145105**, **WDB96340610145641**), přípojná vozidla **SCHMITZ CARGOBULL** (VIN **WSM00000003264592**, **WSM00000003272375**, **WSM00000003272378**, **WSM00000003272789**) a internetová doména **autodoprava-yovanny.cz**. Nejnižší podání ve 3. kole dražby je stanoveno na 1/3 odhadní ceny.
1Dokumenty
1Obrázky
Doprava

14. května 2026 — návrh opatření KUK P7

1Body jednání
1
Návrh opatření obecné povahy - Komplexní úklid komunikací Praha 7 (2026)
Magistrát hl. m. Prahy oznamuje návrh opatření obecné povahy týkající se **dočasného zákazu zastavení** silničních vozidel z důvodu provádění jarního a podzimního **Komplexního úklidu komunikací (KUK)** v **Praze 7** pro rok **2026**. **Dotčené lokality a termíny (vždy 08:00–15:00):** 1. **Milady Horákové** (záliv proti Letenské pláni), **Korunovační** (záliv u **č.p. 13-17**) a spojka **NN 2736**: **14.5.2026** a **9.9.2026**. 2. **Letenské náměstí** (parkovací záliv) a **Veletržní** (úsek **Letenské náměstí** – **Kamenická**): **18.5.2026** a **11.9.2026**. 3. **Bubenská** (sjízdná rampa): **20.5.2026** a **15.9.2026**. 4. **Bubenská** (úsek **Veletržní** – **NN1341**): **21.5.2026** a **16.9.2026**. 5. **Železničářů** (úsek **Plynární** – **Za Papírnou**) a **Veletržní** (úsek **Bubenská** – **Schnirchova**, parkovací záliv): **22.5.2026** a **17.9.2026**. 6. **Za Viaduktem** (záliv): **25.5.2026** a **18.9.2026**. 7. **Jankovcová** (úsek **Dělnická** – **U Uranie**): **26.5.2026** a **21.9.2026**. 8. **Vrbenského** (úsek **Argentinská** – **Ortenovo náměstí**) a **Ortenovo náměstí** (úsek **Vrbenského** – **U Uranie**): **28.5.2026** a **23.9.2026**. 9. **U Uranie** (celá ulice): **25.5.2026** a **24.9.2026**. Dotčené osoby mohou k návrhu uplatnit písemné námitky u Magistrátu hl. m. Prahy do 10 dnů od zveřejnění.
2Dokumenty
Doprava

14. května 2026 — KUK P7 2026

1Body jednání
1
Opatření obecné povahy - Komplexní úklid komunikací Praha 7 v roce 2026
Stanovení přechodné úpravy provozu z důvodu provádění **jarního a podzimního komplexního úklidu komunikací (KÚK)** v městské části **Praha 7** v roce 2026. Opatření zavádí **dočasný zákaz zastavení** silničních vozidel v konkrétních blocích a termínech od **14. 5. 2026** do **24. 9. 2026**. Zákaz platí vždy v čase **08:00 až 15:00 hod.** a týká se ulic **Milady Horákové**, **Korunovační**, **Veletržní**, **Bubenská**, **Železničářů**, **Jankovcova**, **Vrbenského**, **Ortenovo náměstí** a dalších lokalit dle situací v příloze.
Rozhodnutí: Magistrát hl. m. Prahy stanovuje přechodnou úpravu provozu spočívající v dočasném zákazu zastavení pro účely jarního a podzimního úklidu komunikací v Praze 7.
2Dokumenty
Doprava

13. května 2026 — Rumunská

1Body jednání
1
Stanovení přechodné úpravy provozu v ulici Rumunská
Magistrát hl. m. Prahy stanovil přechodnou úpravu provozu na místní komunikaci **Rumunská** v **Praze 2 - Vinohradech**. Důvodem je zajištění prostoru pro zařízení staveniště a mobilní jeřáb v rámci akce **„Výměna oken“** u objektu **Rumunská 22/28**. **Termíny a rozsah omezení:** - **13. 5. 2026 – 15. 5. 2026**: Zábor v parkovacím pruhu ulice **Rumunská** (cca 25 m2). - **16. 5. 2026**: Krátkodobý zábor v pravém jízdním pruhu pro autojeřáb (6 x 15 m). Opatření spočívá v instalaci přechodného dopravního značení (např. zákazy zastavení **B28** s dodatkovými tabulkami). Žadatelem je **Martin Brodský**.
Rozhodnutí: Magistrát hl. m. Prahy **vydává opatření obecné povahy**, kterým **stanovuje** přechodnou úpravu provozu na pozemní komunikaci **Rumunská** v rozsahu dle přiložené dokumentace.
2Dokumenty
Doprava

13. května 2026 — Rumunská

1Body jednání
1
Dočasný zákaz zastavení v ulici Rumunská (zábor pro autojeřáb)
Oznámení o návrhu opatření obecné povahy pro **dočasný zákaz zastavení** silničních vozidel v ulici **Rumunská** v úseku mezi ulicemi **Londýnská** a **Belgická** v **Praze 2 - Vinohradech**. Důvodem omezení je zajištění prostoru pro **skládání stavebního materiálu** a **umístění mobilního jeřábu** za účelem **výměny oken** u objektu **Rumunská 22/28**. Zábor o rozsahu **25 m2** (2,5m x 10m) a krátkodobý zábor pro autojeřáb (6m x 15m) je plánován v termínu od **13. 5. 2026** do **15. 5. 2026**. Instalace dopravního značení musí být provedena nejméně 7 dní předem.
2Dokumenty
Dražby a exekuce

13. května 2026 — Dražba povinný CADUCO s.r.o. movitý majetek

1Body jednání
1
Dražba movitého majetku - BMW 218I Gran Tourer
Soudní exekutor **Mgr. Petr Jaroš** (Exekutorský úřad Chrudim) vyhlašuje elektronickou dražbu movité věci: **BMW, 218I GRAN TOURER**, VIN: **WBA2D310805C48657**, RZ: **9AI 3474**, rok výroby **2016**. Rozhodná cena byla stanovena na **150.000 Kč**, nejnižší podání činí **50.000 Kč**. Dražba se koná na portálu **www.okdrazby.cz**. Prohlídka dražené věci se uskuteční dne **11.05.2026** od **09:30** do **10:00** na adrese **Tovární 315, 537 01 Chrudim**, areál **ANG Autocentrum**. Povinným v exekuci je společnost **CADUCO s.r.o.** se sídlem **Varšavská 715/36, Praha**.
1Dokumenty
Doprava

13. května 2026 — Rumunská

1Body jednání
1
Dočasný zákaz zastavení v ulici Rumunská
Opatření obecné povahy stanovuje přechodnou úpravu provozu v ulici **Rumunská** v úseku mezi ulicemi **Londýnská** a **Belgická** v městské části **Praha 2 - Vinohrady**. Důvodem je zajištění prostoru pro zařízení staveniště a umístění mobilního jeřábu pro výměnu oken u objektu **Rumunská 22/28**. Omezení bude platné v termínu od **13. 5. 2026** do **15. 5. 2026**.
Rozhodnutí: Magistrát hl. m. Prahy vydává opatření obecné povahy, kterým se stanovuje dočasný zákaz zastavení v ulici **Rumunská**.
2Dokumenty
Dotace

13. května 2026 — Výzva ITI Infografika - Výzva pro sběr projektů proStrategii ITI 2028+

1Body jednání
1
Výzva pro sběr projektů pro Strategii ITI 2028+
Výzva pro sběr velkých investičních projektů v **Pražské metropolitní oblasti** s plánovaným dokončením do konce roku **2034**. Žadatelé z řad veřejných subjektů, obcí, městských částí či výzkumných organizací mohou podávat projektové karty pro strategické investice s minimální hodnotou **30 mil. Kč**. Vybrané projekty budou zařazeny do **Strategie ITI 2028+** pro budoucí dotační podporu v oblastech dopravy, životního prostředí, digitalizace a inovací.
1Dokumenty
1Obrázky
Doprava

13. května 2026 — 17. listopadu Pražské jaro

1Body jednání
1
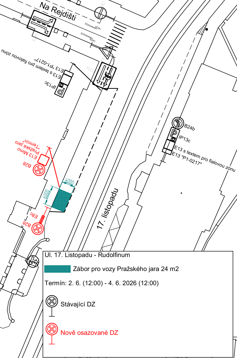
Dočasný zákaz zastavení v ulici 17. listopadu (Pražské jaro)
Oznámení o návrhu opatření obecné povahy pro dočasný **zákaz zastavení** silničních vozidel v ulici **17. listopadu** v **Praze 1**. Omezení se týká úseku **Na Rejdišti – Široká** podél budovy **Rudolfina** (fialová zóna placeného stání). Důvodem je zajištění parkování pro přenosové vozy a zásobování při realizaci přenosu koncertů hudebního festivalu **Pražské jaro**. Termíny omezení jsou stanoveny na **13. 5. 2026 – 14. 5. 2026** a **2. 6. 2026 – 4. 6. 2026**.
3Dokumenty
2Obrázky
Dražby a exekuce

13. května 2026 — Dražba povinný Mapri s.r.o. v likvidaci movitý majetek

1Body jednání
1
Elektronická dražba movitých věcí - osobní automobil HYUNDAI I 10
Soudní exekutor **Mgr. Petr Jaroš** (Exekutorský úřad Chrudim) vyhlašuje elektronickou dražbu movitého majetku povinného **Mapri s.r.o. v likvidaci**. Předmětem dražby je osobní automobil **HYUNDAI I 10**, RZ: **5Z33794**, VIN: **NLHA851AAFZ042639**. Rozhodná cena věci je **90.000 Kč**, nejnižší podání činí **30.000 Kč**. Prohlídka dražené věci se koná dne **12.05.2026** od **09:30** do **10:00** na adrese **Náves Louky 45, Zlín- Louky**. Na této adrese si vydražitel věc také převezme.
1Dokumenty
Doprava

13. května 2026 — návrh OOP 17. listopadu natáčení

1Body jednání
1
Návrh opatření obecné povahy – dočasný zákaz zastavení v ul. 17. listopadu
Oznámení o návrhu opatření obecné povahy pro dočasný **zákaz zastavení** silničních vozidel na místní komunikaci **17. listopadu** v Praze 1. Opatření je navrženo z důvodu parkování přenosové techniky **České televize** v rámci akce **Svatojanské slavnosti – NAVALIS 2026**. Zákaz se týká úseku **Na Rejdišti** – **Mánesův most** (konkrétně parkovací pruh ve fialové zóně) v termínu od **13. 5. 2026** (08:00) do **16. 5. 2026** (18:00). Žadatelem je společnost **Pražské Benátky s.r.o.**
2Dokumenty
Záměry obce

13. května 2026 — pronájem části komunikace parc. č. 2243 k.ú. Holešovice dle přílohy

1Body jednání
1
Pronájem části komunikace Dukelských hrdinů v k.ú. Holešovice
Záměr hlavního města Prahy pronajmout část komunikace **Dukelských hrdinů** na pozemku **parc. č. 2243** v **k.ú. Holešovice** (**Praha 7**). Účelem nájmu je umístění **restaurační předzahrádky bez pódia** o výměře **13,2 m²** pro budoucího nájemce **Pizza Modena s.r.o.** v období od **13.05.2026** do **31.10.2026**.
1Dokumenty
Doprava

13. května 2026 — OOP - SULICKÁ, PŘECHOD

1Body jednání
1
Přechodná úprava provozu v ulici Zálesí (křižovatka Sulická)
Stanovení přechodné úpravy provozu na místní komunikaci **Zálesí** v **Praze 4** z důvodu montážních prací na aktualizaci řadiče **SSZ 4.439 Zálesí – přechod Sulická**. V termínu od **13. 5. 2026** do **14. 5. 2026** dojde k záboru části levého jízdního pruhu před křižovatkou **Zálesí x Sulická** ve směru na **Nemocnici Krč**. Průjezd bude zachován v pravém jízdním pruhu.
Rozhodnutí: Magistrát hl. m. Prahy stanovuje přechodnou úpravu provozu spočívající v umístění přenosného dopravního značení v ulici Zálesí v termínu od 13. 5. 2026 do 14. 5. 2026.
2Dokumenty
1Obrázky
Záměry obce

12. května 2026 — pronájem části komunikace parc. č. 4155/1, 4159 k.ú. Vinohrady dle přílohy

1Body jednání
1
Záměr pronájmu části komunikace Korunní a Budečská
Hlavní město Praha oznamuje záměr pronajmout části pozemních komunikací **Korunní** a **Budečská** na pozemcích **parc. č. 4155/1** a **4159** v **k.ú. Vinohrady**. Pronájem je určen pro společnost **ASA Atelier A s. r. o. (IČO: 13995391)** za účelem **stavebního záboru (nepodchodné lešení, ohrada staveniště)**. Realizace 2. etapy je plánována od **12.05.2026** na dobu maximálně jednoho roku s celkovou výměrou **116 m²**.
1Dokumenty
Záměry obce

12. května 2026 — pronájem části komunikace parc. č. 3965/2, 3965/10, 3965/11 k.ú. Libeň dle přílohy

1Body jednání
1
Pronájem části komunikace Zenklova v k.ú. Libeň
Záměr pronajmout část komunikace **Zenklova** na pozemcích **parc. č. 3965/2, 3965/10, 3965/11** v **k.ú. Libeň** společnosti **MS Zenklova s.r.o.** Účelem nájmu je **zařízení staveniště a staveništní vjezd** (skládka materiálu) o celkové výměře **91 m2**. Nájem je plánován od **12.05.2026** na dobu maximálně jednoho roku.
1Dokumenty
Záměry obce

11. května 2026 — pronájem části komunikace parc. č. 1054 k.ú. Staré Město dle přílohy

1Body jednání
1
Záměr pronájmu části komunikace v ulici Vězeňská
Hlavní město Praha oznamuje záměr pronajmout část komunikace v ulici **Vězeňská** na pozemku **parc. č. 1054** v **k.ú. Staré Město**. Účelem pronájmu je stavební zábor pro umístění **kontejneru** o výměře **12 m²**. Budoucím nájemcem je **Petr Derka**. Předpokládané období nájmu je od **11.05.2026** do konce stavby, maximálně však na jeden rok.
1Dokumenty
Volná místa

11. května 2026 — právník/právnička v odboru ochrany prostředí

1Body jednání
1
Výběrové řízení: právník/právnička v odboru ochrany prostředí
Magistrát hlavního města Prahy vyhlásil výběrové řízení na obsazení pracovního místa **právník/právnička** v **odboru ochrany prostředí**. Místem výkonu práce je **Praha**, pracovní poměr je na **dobu neurčitou** s platovým zařazením v **11. třídě**. Náplň práce zahrnuje právní dohled nad majetkovými právy, metodickou činnost v oblasti nakládání s majetkem obce a zastupování před soudy. Termín pro podání přihlášek je do **11. 5. 2026**.
1Dokumenty