Věci Obecní

Detail

Dokument

Praha

Hlavní město Praha

Mariánské náměstí 2, 11000 Praha
Web obce ↗
Záměry obce

23. března 2026 — pronájem části komunikace parc. č. 659/3, 659/39, 659/56, 659/69, 659/75, 659/77, 659/78, 910/1, 910/48, 921/15, 931/3, 931/6 k.ú. Písnice; 1131 k.ú. Libuš dle přílohy

1Body jednání
1
Záměr pronájmu částí pozemních komunikací v k.ú. Písnice a k.ú. Libuš
Hlavní město Praha, zastoupené Technickou správou komunikací hl. m. Prahy a.s., zveřejňuje záměr pronajmout části komunikací **Libušská**, **Kunratická spojka** a **Výletní**. Pronájem se týká pozemků parc. č. **659/3**, **659/39**, **659/56**, **659/69**, **659/75**, **659/77**, **659/78**, **910/1**, **910/48**, **921/15**, **931/3**, **931/6** v **k.ú. Písnice** a parc. č. **1131** v **k.ú. Libuš**. Účelem nájmu je provedení výkopových prací pro **pokládku kabelů**. Budoucím nájemcem je společnost **KORMAK Praha a.s.** (IČO: 48592307). Realizace je plánována ve čtyřech etapách s termíny zahájení od **18.04.2026**, **16.05.2026**, **11.06.2026** a **20.07.2026**.
1Dokumenty
Doprava

22. března 2026 — Divadelní - natáčení

1Body jednání
1
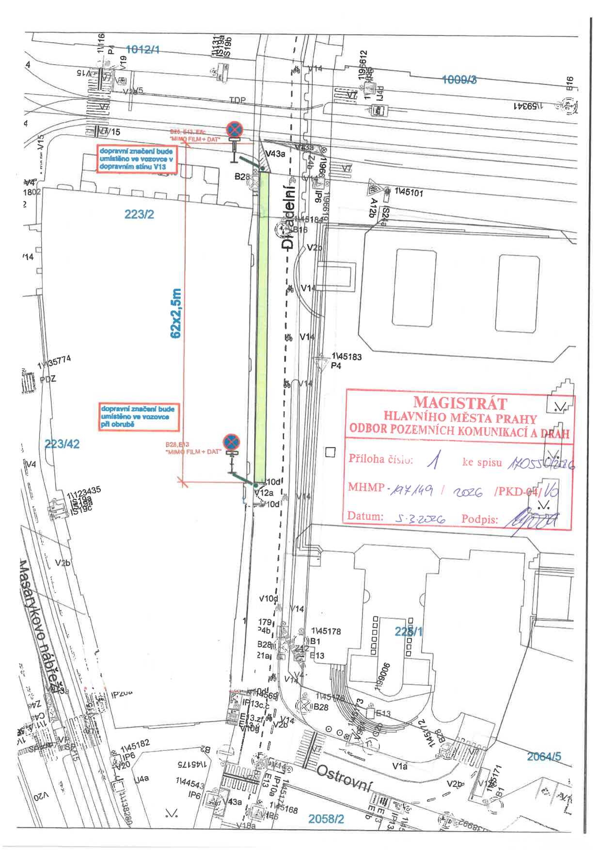
Přechodná úprava provozu v ulici Divadelní - natáčení
Stanovení přechodné úpravy provozu v ulici **Divadelní** v úseku **Ostrovní** – **Národní**. Důvodem je zajištění dopravních opatření pro parkování vozidel nezbytné filmové techniky při realizaci mexického filmového projektu s názvem **Trampantojo**. Pro parkování bude využit parkovací pruh ve fialové zóně placeného stání. Předpokládaný termín realizace je od **22. 3. 2026** do **26. 3. 2026**.
Rozhodnutí: Magistrát hl. m. Prahy vydává opatření obecné povahy, kterým stanovuje přechodnou úpravu provozu spočívající v umístění dopravního značení a zařízení v ulici **Divadelní**.
2Dokumenty
1Obrázky
Záměry obce

21. března 2026 — krátkodobý pronájem části pozemku parc.č. 2760/1 v k.ú. Chodov

1Body jednání
1
Záměr krátkodobého pronájmu části pozemku v k.ú. Chodov
Magistrát hlavního města Prahy oznamuje záměr **krátkodobě pronajmout** část pozemku **parc. č. 2760/1** v **katastrálním území Chodov** o výměře **330 m2**. Pronájem je určen pro společnost **EL - TI & CO, s.r.o.** (IČO: 26473569) za účelem užívání pozemku v rámci akce **Praha 11, Chodov, Zdiměřická 1657/3**, „Bytový dům Zdiměřická a 7 parkovacích míst“. Zájemci mohou předkládat své nabídky do **21.03.2026**.
2Dokumenty
Doprava

21. března 2026 — Jelení, Mariánské hradby, Chotkova - RTT B28

1Body jednání
1
Stanovení přechodné úpravy provozu v ulicích Jelení, Mariánské hradby, Chotkova
Magistrát hl. m. Prahy stanovuje přechodnou úpravu provozu spočívající v umístění svislého dopravního značení **B28** (zákaz zastavení) na místních komunikacích v ulicích **Jelení**, **U Prašného mostu** a **Keplerova**. Důvodem je zajištění dopravní obsluhy areálu **Pražského hradu**, umístění zařízení staveniště a zřízení místa K+R pro autobusy v rámci rekonstrukce tramvajové trati v ulicích **Chotkova**, **Mariánské hradby** a **Jelení**. Předpokládaný termín realizace stavebních prací je od **21. 3. 2026** do **17. 7. 2026**. Dokumentace rovněž zahrnuje situaci technické infrastruktury v okolí ulice **Pohořelec**.
Rozhodnutí: Magistrát hl. m. Prahy **vydává** opatření obecné povahy o stanovení přechodné úpravy provozu na pozemních komunikacích.
2Dokumenty
1Obrázky
Doprava

21. března 2026 — Mariánské hradby - rekonstrukce tramvajové trati

1Body jednání
1
Mariánské hradby - rekonstrukce tramvajové trati
Stanovení přechodné úpravy provozu na pozemních komunikacích z důvodu zajištění dopravních opatření při **rekonstrukci tramvajové trati** v ulicích **Chotkova**, **Mariánské hradby** a **Jelení**. Stavební práce jsou naplánovány v termínu **21.3.2026 – 17.7.2026** a jsou rozděleny do několika etap: * **1. etapa (21.3.2026 – 16.5.2026):** Úplná uzavírka komunikací **Chotkova**, **Mariánské hradby**, **Jelení** v úseku **Badeniho** – **U Brusnice**. Součástí je přeložka kanalizace a posun tramvajové trati. * **2. etapa (16.5.2026 – 6.6.2026):** Uzavírka křižovatky **U Brusnice** x **Jelení** a zábory v ulici **Jelení** a **Mariánské hradby**. * **3. etapa:** Pokračování prací v ulicích **Jelení** a **Mariánské hradby**, komunikace budou pro individuální automobilovou dopravu průjezdné. Po celou dobu prací bude uzavřena propojka v ulici **Na Špejcharu** a zakázán průjezd autobusů úsekem **Hládkov** – **Badeniho**. Jako náhrada pro nástup a výstup turistů (K+R) je zřízeno místo v ulici **Keplerova** před objektem **č.p. 218/6**.
Rozhodnutí: Magistrát hl. m. Prahy **vydává opatření obecné povahy** o stanovení přechodné úpravy provozu spočívající v umístění dopravního značení a zařízení na vymezených místních komunikacích.
10Dokumenty
Záměry obce

21. března 2026 — pronájem části komunikace parc. č. 3103/1 k.ú. Nusle dle přílohy

1Body jednání
1
Pronájem části komunikace Na Pankráci, k.ú. Nusle
Záměr hlavního města Prahy pronajmout **část komunikace Na Pankráci** na pozemku **parc. č. 3103/1 v k.ú. Nusle** za účelem **stavebního záboru**. Nemovitost se nachází v lokalitě **Praha 4**. Předpokládaná doba nájmu je **od 17.04.2026 do konce stavby (maximálně jeden rok)**. Celková výměra pronajaté plochy činí **32,3 m²**. Budoucím nájemcem je **Richard Cudlín**.
1Dokumenty
Záměry obce

21. března 2026 — pronájem části komunikace parc. č. 804/1 k.ú. Karlín dle přílohy

1Body jednání
1
Záměr pronájmu části komunikace Karlínské náměstí v k.ú. Karlín
Hlavní město Praha zveřejňuje záměr pronajmout část komunikace **Karlínské náměstí** na pozemku **parc. č. 804/1** v **k.ú. Karlín**. Účelem nájmu je umístění **restaurační předzahrádky bez pódia** pro budoucího nájemce **Café V Ráji s.r.o.** (IČO: 14420678) se sídlem **Karlínské náměstí 3/170, Karlín**. Záměr se týká plochy o výměře **14,74 m²** v období od **01.05.2026 do 30.09.2026**.
1Dokumenty
Záměry obce

21. března 2026 — pronájem části komunikace parc. č. 4339 k.ú. Žižkov dle přílohy

1Body jednání
1
Záměr pronajmout část komunikace Kubelíkova, k.ú. Žižkov
Hlavní město Praha zastoupené Technickou správou komunikací hl. m. Prahy a.s. zveřejňuje záměr pronajmout část komunikace **Kubelíkova** na pozemku **parc. č. 4339** v **k.ú. Žižkov**. Účelem nájmu je **komerční zábor pro restaurační předzahrádku bez podia** o výměře **25,7 m²**. Budoucím nájemcem je společnost **Smokehouse s.r.o.** (IČO: **02963086**). Nájemní vztah je plánován na období od **01.05.2026** do **30.09.2026**.
1Dokumenty
Záměry obce

21. března 2026 — pronájem části komunikace parc. č. 4281 k.ú. Vinohrady dle přílohy

1Body jednání
1
Záměr pronájmu části komunikace Lucemburská, k.ú. Vinohrady
Hlavní město Praha zveřejňuje záměr pronajmout **část komunikace Lucemburská** na pozemku **parc. č. 4281** v **k.ú. Vinohrady** (Praha 3). Předmětem nájmu je plocha o výměře **15,2 m²** za účelem provozování **restaurační předzahrádky bez podia**. Budoucím nájemcem je **Jaroslav Šabat (IČO: 69002398)**. Pronájem je plánován na období **od 20.04.2026 do 31.10.2026**.
1Dokumenty
Záměry obce

21. března 2026 — pronájem části komunikace parc. č. 2223 k.ú. Holešovice dle přílohy

1Body jednání
1
Pronájem části komunikace Milady Horákové v k.ú. Holešovice
Zveřejnění záměru pronajmout **část komunikace Milady Horákové**, která se nachází na pozemku **parc. č. 2223** v **k.ú. Holešovice** (**Praha 7**). Předmětem nájmu je plocha o výměře **1 m²** určená pro **komerční zábor – restaurační předzahrádku bez podia a lavičku**. Budoucím nájemcem je firma **Dos Mundos s.r.o.** (IČO: 02159287). Záměr se týká období od **01.05.2026** do **31.10.2026**.
1Dokumenty
Záměry obce

21. března 2026 — pronájem části komunikace parc. č. 4314/2 k.ú. Vinohrady dle přílohy

1Body jednání
1
Pronájem části komunikace Korunní, k.ú. Vinohrady
Záměr pronajmout **část komunikace Korunní** na pozemku **parc. č. 4314/2** v **k.ú. Vinohrady** (**Praha 3**). Účelem je **komerční zábor pro restaurační předzahrádku bez podia** o výměře **5,94 m²**. Budoucím nájemcem je společnost **Wen's restaurant s.r.o.** (IČO: 23303760). Pronájem je plánován na období od **20.04.2026 do 30.09.2026**.
1Dokumenty
Záměry obce

21. března 2026 — pronájem části komunikace parc. č. 2406 k.ú. Nové Město dle přílohy

1Body jednání
1
Záměr pronájmu části komunikace v k.ú. Nové Město (Odborů; Myslíkova)
Hlavní město Praha zveřejňuje záměr pronajmout **část komunikace** v ulicích **Odborů** a **Myslíkova** na pozemku **parc. č. 2406** v **k.ú. Nové Město** (lokalita **Praha 2**). Pronájem je určen pro společnost **EURODAY s.r.o.** (IČO: 28983556) za účelem umístění **restaurační předzahrádky bez podia**. Předpokládaná výměra je **12 m²** a doba nájmu je stanovena **od 01.05.2026 do 12.09.2026**. Připomínky lze podat do **05.04.2026**.
1Dokumenty
Záměry obce

21. března 2026 — pronájem části komunikace parc. č. 4990/1 k.ú. Smíchov dle přílohy

1Body jednání
1
Pronájem části komunikace Nádražní v k.ú. Smíchov
Hlavní město Praha zveřejňuje záměr pronajmout **část komunikace Nádražní** na pozemku **parc. č. 4990/1** v **k.ú. Smíchov** (**Praha 5**). Účelem je **komerční zábor pro restaurační předzahrádku bez pódia** o výměře **18 m²**. Doba nájmu je stanovena na období **od 08.05.2026 do 08.11.2026**. Budoucím nájemcem je **SMARAGDOVÁ ZAHRADA s.r.o.** (IČO: **25739654**).
1Dokumenty
Záměry obce

21. března 2026 — pronájem části komunikace parc. č. 4474/2 k.ú. Strašnice dle přílohy

1Body jednání
1
Záměr pronájmu části komunikace Starostrašnická v k.ú. Strašnice
Hlavní město Praha zastoupené TSK hl. m. Prahy a.s. oznamuje záměr pronajmout část komunikace **Starostrašnická** na pozemku **parc. č. 4474/2** v **k.ú. Strašnice** (lokalita **Praha 10**). Předmětem nájmu je plocha o výměře **13 m²** za účelem zřízení **restaurační předzahrádky s podiem**. Nájemní vztah je plánován na období **od 15.04.2026 do 31.12.2026**. Budoucím nájemcem je společnost **Kávový Magnát s.r.o.** (IČO: **07529121**).
1Dokumenty
Záměry obce

21. března 2026 — pronájem části komunikace parc. č. 4159 k.ú. Vinohrady dle přílohy

1Body jednání
1
Pronájem části komunikace Budečská, k.ú. Vinohrady
Záměr Hlavního města Prahy pronajmout **část komunikace Budečská** na pozemku **parc. č. 4159** v **k.ú. Vinohrady** (**Praha 2**). Účelem pronájmu je **komerční zábor pro restaurační předzahrádku bez podia** o výměře **5,4 m²**. Předpokládané období nájmu je **od 17.04.2026 do 30.09.2026**. Budoucím nájemcem je společnost **S&S Group s.r.o.** (IČO: **21829845**).
1Dokumenty
Záměry obce

21. března 2026 — pronájem části komunikace parc. č. 4091 k.ú. Vinohrady dle přílohy

1Body jednání
1
Záměr pronájmu části komunikace Balbínova v k.ú. Vinohrady
Hlavní město Praha oznamuje záměr pronajmout **část komunikace Balbínova** na pozemku **parc. č. 4091** v **k.ú. Vinohrady**. Pronájem je plánován za účelem zřízení **restaurační předzahrádky bez pódia** o výměře **8 m²**. Budoucím nájemcem je společnost **SILVISTON Trade s.r.o.** (IČO: 02770474). Záměr se týká lokality v městské části **Praha 2** a nájemní vztah je navržen na období od **24.04.2026 do 31.12.2026**.
1Dokumenty
Záměry obce

21. března 2026 — pronájem části komunikace parc. č. 1053 k.ú. Malá Strana dle přílohy

1Body jednání
1
Záměr pronájmu části komunikace Újezd v k.ú. Malá Strana
Hlavní město Praha oznamuje záměr pronajmout **část komunikace Újezd** na pozemku **parc. č. 1053 v k.ú. Malá Strana** společnosti **IMEXIT s.r.o. (IČO: 28535995)** za účelem provozování **restaurační předzahrádky bez pódia**. **Termíny a výměry:** - **01.04.2026 – 30.04.2026**: plocha **8 m²** - **01.05.2026 – 30.09.2026**: plocha **15 m²** - **01.10.2026 – 31.10.2026**: plocha **8 m²** Připomínky lze podat do **05.04.2026**.
1Dokumenty
Záměry obce

21. března 2026 — pronájem části komunikace parc. č. 505/18, 3662/8 k.ú. Břevnov dle přílohy

1Body jednání
1
Záměr pronájmu části komunikace v ul. Na Petynce a Na Viničce
Hlavní město Praha, zastoupené TSK hl. m. Prahy, oznamuje záměr pronajmout část komunikace **Na Petynce** a **Na Viničce** na pozemcích **parc. č. 505/18** a **parc. č. 3662/8** v **k.ú. Břevnov** (**Praha 6**). Účelem pronájmu je stavební zábor pro umístění **lešení**. Pronájem je plánován ve dvou etapách: **1. etapa (28 m²)** od **01.05.2026** a **2. etapa (10 m²)** od **01.06.2026**, obě na dobu maximálně jednoho roku. Budoucím nájemcem má být **Mgr. Jan Kratochvíl**.
1Dokumenty
Stavební řízení

20. března 2026 — Schválení stavebního záměru: Nástavba a stavební úpravy domu č.p. 1639, ul. Mánesova 84, na pozemku parc. č. 1963 v k.ú. Vinohrady

1Body jednání
1
Nástavba a stavební úpravy domu č.p. 1639, ul. Mánesova 84, k.ú. Vinohrady
Rozhodnutí o odvolání ve věci schválení stavebního záměru na objektu **č.p. 1639** v ulici **Mánesova 84**. Záměr zahrnuje **nástavbu** domu (vestavbu 2 bytů do podkroví na úrovni 6. NP) při zachování stávající výšky hřebene střechy a **přístavbu výtahové šachty** v místě stávajících lodžií na dvorní fasádě. Stavba se nachází na pozemku **parc. č. 1963** v **k.ú. Vinohrady**. Odvolání podané **Městskou částí Praha 2** se týkalo zejména námitek k nedostatku parkovacích míst, způsobu nakládání s odpady a hospodaření se srážkovými vodami. Odvolací orgán shledal námitky k parkování a vodám jako nedůvodné s ohledem na technické parametry stávající budovy a stabilizované území.
Rozhodnutí: Magistrát hl. m. Prahy **mění** původní rozhodnutí stavebního úřadu tak, že doplňuje **podmínku č. 14**, která ukládá povinnost zajistit nejpozději ke dni zahájení užívání stavby místo pro nádoby na komunální odpad ve vnitřním dvoře objektu na pozemku **parc. č. 1963** v **k. ú. Vinohrady**. Ve zbytku se rozhodnutí **potvrzuje**.
1Dokumenty
Záměry obce

20. března 2026 — Záměr prodeje části pozemků parc. č.373/1 v k. ú. Motol

1Body jednání
1
Záměr prodeje částí pozemku parc. č. 373/1 v k. ú. Motol
Hlavní město Praha oznamuje záměr prodat dvě části pozemku **parc. č. 373/1** v **katastrálním území Motol**, které jsou na základě geometrického plánu nově odděleny a označeny jako pozemky **parc. č. 373/92** o výměře **80 m2** a **parc. č. 373/93** o výměře **79 m2**. Kupujícím je **Fakultní nemocnice Motol a Homolka** (IČO: 00064203) za kupní cenu **593 070 Kč bez DPH**. Prodej se realizuje za účelem vybudování nových vjezdů pro projekt **„Motolské onkologické centrum“**.
2Dokumenty