Věci Obecní

Detail

Dokument

Praha

Hlavní město Praha

Mariánské náměstí 2, 11000 Praha
Web obce ↗
Stavební řízení

17. března 2026 — Vyrozumění o zastavení odvolacího řízení: "Bytový dům Nikola Praha 9, Hloubětín, Nademlejnská" na pozemcích v k.ú. Hloubětín

1Body jednání
1
Bytový dům Nikola Praha 9, Hloubětín, Nademlejnská - zastavení odvolacího řízení
Magistrát hlavního města Prahy vyrozumívá o zastavení odvolacího řízení týkajícího se stavebního záměru **„Bytový dům Nikola Praha 9, Hloubětín, Nademlejnská“**. Všichni odvolatelé (**Mgr. Bc. Ladislav Hess**, **Ing. Martin Řeháček**, **Mgr. Tomáš Hříbek**, **Ing. Daniel Beneš**, **Mgr. Roman Zákutný**, **Vlastimil Jílek**, **Monika Jílková**, **Helena Poledňáková** a **Ing. Andrey Sarapulov**) vzali svá odvolání zpět. Stavebníkem je společnost **Rezidence Nademlejnská s.r.o.** Projekt je situován na pozemcích **parc. č. 1725/2, 1727/1, 1727/17, 1727/28, 1727/30, 1727/31, 1727/32, 1728/2, 1729/1, 1752/2, 1752/3, 2527/2, 2527/5 a 2527/6** v **k.ú. Hloubětín**.
Rozhodnutí: Odvolací řízení bylo zastaveno z důvodu zpětvzetí všech odvolání. Původní rozhodnutí o schválení stavebního záměru ze dne 14. 12. 2023 nabylo právní moci dne **17. 3. 2026**.
1Dokumenty
Ostatní

17. března 2026 — Oznámení o možnosti vyzvednutí vozidla Ford, RZ:1AM5165, Reika.cz-stavební, s.r.o. (Credium, a.s.)

1Body jednání
1
Oznámení o možnosti vyzvednutí odstraněného vozidla Ford (1AM5165)
Správa služeb hl. m. Prahy oznamuje provozovateli **Reika.cz-stavební, s.r.o.** možnost vyzvednutí vozidla značky **Ford**, RZ: **1AM5165**, které bylo dne **17. 03. 2026** odstraněno z veřejné komunikace na adrese **Praha 5, Voskovcova 1266/2**. Vozidlo je aktuálně odstaveno na **odtahovém parkovišti SSHMP v ulici Radlická - Jinonice**. Vyzvednutí je možné nonstop po předložení dokladů a zaplacení nákladů za odtah (**3 800 Kč**) a parkovné (**500 Kč/den**). Pokud nebude vozidlo vyzvednuto do 3 měsíců od doručení oznámení, bude navržen jeho prodej ve veřejné dražbě.
1Dokumenty
Ostatní

17. března 2026 — Oznámení o možnosti vyzvednutí vozidla Chrysler, RZ:nemá (z RV:1AU7715), Blanka Kozlová, IČ:47623101

1Body jednání
1
Oznámení o možnosti vyzvednutí odstraněného vozidla Chrysler
Správa služeb hlavního města Prahy oznamuje provozovateli, paní **Blanka Kozlová**, že dne **17. 03. 2026** bylo z veřejně přístupné komunikace na adrese **Praha 9, Obvodová 963/27** odstraněno vozidlo značky **Chrysler** (RZ: **1AU7715**, VIN: **2A4RS4D58AR125604**). Vozidlo je nyní odstaveno na **odtahovém parkovišti SSHMP v ulici Radlická - Jinonice**. Provozovatel je vyzýván k vyzvednutí vozidla a zaplacení nákladů za odtah ve výši **3 800 Kč** a parkovného ve výši **500 Kč za každý započatý den**. Pokud nebude vozidlo vyzvednuto do 3 měsíců od doručení oznámení, bude navržen jeho prodej ve veřejné dražbě.
1Dokumenty
Stavební řízení

17. března 2026 — Vyrozumění o zastavení odvolacího řízení - oprava zřejmé nesprávnosti: "Bytový dům Nikola", ul. Nademlejnská, na pozemcích v k.ú. Hloubětín

1Body jednání
1
Vyrozumění o zastavení odvolacího řízení a oprava data právní moci - Bytový dům Nikola
Magistrát hlavního města Prahy vyrozumívá o zastavení odvolacího řízení ve věci stavebního záměru **„Bytový dům Nikola Praha 9, Hloubětín, Nademlejnská“**. Vzhledem ke zpětvzetí všech podaných odvolání bylo řízení zastaveno a původní rozhodnutí nabylo právní moci. Dokument zároveň opravuje zřejmou nesprávnost v datu nabytí právní moci z původně chybně uvedeného roku 2023 na správný rok **2026**. Záměr se týká pozemků **parc. č. 1725/2, 1727/1, 1727/17, 1727/28, 1727/30, 1727/31, 1727/32, 1728/2, 1729/1, 1752/2, 1752/3, 2527/2, 2527/5 a 2527/6** v **k.ú. Hloubětín**. Stavebníkem je společnost **Rezidence Nademlejnská s.r.o.**
Rozhodnutí: Odvolací řízení bylo zastaveno dnem **16.3.2026**. Rozhodnutí stavebního úřadu ze dne **14.12.2023** nabylo právní moci dne **17.3.2026**.
1Dokumenty
Ostatní

17. března 2026 — Oznámení o možnosti vyzvednutí vozidla Mazda, RZ:1AR4063, JAROSLAV KRATOCHVÍL, Praha - Kunratice

1Body jednání
1
Oznámení o možnosti vyzvednutí odstraněného vozidla Mazda (1AR4063)
Oznámení o možnosti vyzvednout silniční vozidlo značky **Mazda**, RZ: **1AR4063**, které bylo dne **17. 03. 2026** odstraněno z veřejně přístupné komunikace na adrese **Praha 5, Za zámečkem 745/15**. Vozidlo provozovatele **Jaroslava Kratochvíla** je nyní uloženo na **odtahovém parkovišti Správy služeb hlavního města Prahy** v ulici **Radlická - Jinonice**. Vyzvednutí je možné nonstop po předložení dokladů totožnosti a osvědčení o registraci vozidla. Za odtah je účtována částka **3800 Kč** a parkovné ve výši **500 Kč** za každý i započatý den. Pokud nebude vozidlo vyzvednuto do 3 měsíců od doručení oznámení, bude navržen jeho prodej ve veřejné dražbě.
1Dokumenty
Ostatní

17. března 2026 — Oznámení o možnosti vyzvednutí vozidla Opel, RZ: 8AA0875, MAREK PTÁČEK, 101 00 Praha 10

1Body jednání
1
Oznámení o možnosti vyzvednutí odstraněného vozidla Opel, RZ: 8AA0875
Správa služeb hlavního města Prahy oznamuje provozovateli, kterým je **Marek Ptáček**, možnost vyzvednutí vozidla **Opel**, RZ: **8AA0875**, VIN: **W0L000071V3015203**. Vozidlo bylo dne **17. 03. 2026** odstraněno z veřejně přístupné komunikace na adrese **Praha 5, Kotlářka 1259/3** a je odstaveno na **odtahovém parkovišti SSHMP v ulici Radlická - Jinonice**. Cena za odtah činí **3800,- Kč**, parkovné je **500,- Kč/den** (do 180. dne). Pokud nebude vozidlo vyzvednuto do 3 měsíců od doručení oznámení, může být navržen jeho prodej ve veřejné dražbě.
1Dokumenty
Ostatní

17. března 2026 — Oznámení o možnosti vyzvednutí vozidla Škoda, RZ:6AI2118, JAROSLAV ŠMEHLÍK, 549 36 Stárkov

1Body jednání
1
Oznámení o možnosti vyzvednutí odstraněného vozidla Škoda (6AI2118)
Správa služeb hlavního města Prahy oznamuje provozovateli, kterým je **Jaroslav Šmehlík**, možnost vyzvednutí vozidla značky **Škoda**, RZ: **6AI2118**, VIN: **TMBZZZ1U8V2008779**. Vozidlo bylo dne **17. 03. 2026** odstraněno z veřejně přístupné komunikace na adrese **Na Žvahově 425/28, Praha 5**. V současné době je odstaveno na **odtahovém parkovišti SSHMP ulice Radlická - Jinonice**. Vyzvednutí je možné nonstop po zaplacení nákladů na odtah (**3800,- Kč**) a parkovného (**500,- Kč** za každý i započatý den). Pokud nebude vozidlo vyzvednuto do 3 měsíců, bude navržen jeho prodej ve veřejné dražbě.
1Dokumenty
Doprava

17. března 2026 — Vítezná DN - natáčení

1Body jednání
1
Stanovení přechodné úpravy provozu v ulicích Vítězná a Dvořákovo nábřeží
Magistrát hl. m. Prahy stanovil přechodnou úpravu provozu z důvodu zajištění parkování pro filmovou techniku při natáčení historického seriálu **Victura**. Omezení spočívající v umístění dopravního značení se týká následujících lokalit: * **ul. Vítězná** v úseku mezi ulicemi **Malostranské nábřeží** a **Všehrdova** v termínu od **17. 3. 2026** do **22. 3. 2026** (využití fialové zóny). * **Dvořákovo nábřeží** u **Právnické fakulty** v úseku mezi **Čechovým mostem** a ulicí **Břehová** dne **21. 3. 2026**. Žadatelem je společnost **FILM HUNTERS s.r.o.**, IČ: **28487397**. Součástí dokumentace jsou i situace dopravního značení u dotčených pozemků.
Rozhodnutí: Magistrát hl. m. Prahy **vydává** opatření obecné povahy – stanovení přechodné úpravy provozu na pozemních komunikacích **Vítězná** a **Dvořákovo nábřeží**.
2Dokumenty
Záměry obce

17. března 2026 — Hlavní město Praha, zastoupené Technologií HMP, a.s. - OZNAMUJE - Záměr pronajmout zařízení veřejného osvětlení budoucím nájemcům dle specifikace v příloze tohoto záměru a to za účelem umístění nereklamních doplňků

1Body jednání
1
Záměr pronájmu zařízení veřejného osvětlení pro nereklamní doplňky
**Hlavní město Praha**, zastoupené společností **Technologie hlavního města Prahy, a.s.**, oznamuje záměr pronajmout části zařízení veřejného osvětlení za účelem umístění nereklamních doplňků v období od **23. 03. 2026** do **30. 04. 2026**. Záměr se týká stožárů č. **914856**, **914855**, **914854**, **914853** v ulici **Ke Znaku** a stožárů č. **590954**, **914237**, **590955** v ulici **Slavětínská**. Zájemci mohou podávat své nabídky k rukám kontaktní osoby **Martina Sekerky** nejpozději do **17. 03. 2026**.
1Dokumenty
Ostatní

17. března 2026 — Výzva k odstranění vozidla z komunikace Harrachovská, Škoda, RZ:2AF3178, MARIE JÍROVÁ, Praha 9

1Body jednání
1
Výzva k odstranění vozidla z pozemní komunikace - Harrachovská, Praha 9
Správa služeb hl. m. Prahy vyzývá provozovatelku, kterou je **MARIE JÍROVÁ**, k odstranění vozidla značky **Škoda**, RZ: **2AF3178**, VIN: **TMBBH25J9A3026420**. Vozidlo je odstaveno na veřejně přístupné pozemní komunikaci v ulici **Harrachovská, Praha 9**. Důvodem výzvy je skutečnost, že vozidlo má více než 6 měsíců neplatnou technickou prohlídku. Provozovatel je povinen vozidlo odstranit do **2 měsíců** od doručení této výzvy. V případě nesplnění povinnosti bude vozidlo odtaženo na náklady provozovatele na odtahové parkoviště SSHMP. Náklady na odtah činí **3800 Kč**, parkovné je stanoveno na **500 Kč/den** za prvních 180 dní a následně **50 Kč/den**.
1Dokumenty
Doprava

17. března 2026 — OOP - STANOVENÍ PÚP - JEŘÁB, LITOCH. NÁM, P11

1Body jednání
1
Stanovení přechodné úpravy provozu - Litochlebské náměstí, Hviezdoslavova, Ke Stáčírně
Magistrát hl. m. Prahy vydal opatření obecné povahy o stanovení přechodné úpravy provozu v lokalitě **Litochlebské náměstí**, **Hviezdoslavova** a **Ke Stáčírně** v **Praze 11**. Důvodem je **instalace jeřábu** pro stavební akci **Rezidence Litochlebský park**. Dne **17. 3. 2026** dojde k záboru jednoho jízdního pruhu ulice **Litochlebské náměstí** v úseku mezi ulicemi **Ke Stáčírně** a **Türkova**. Průjezd bude zachován v jednom jízdním pruhu za použití přenosného dopravního značení.
Rozhodnutí: Schváleno stanovení přechodné úpravy provozu spočívající v umístění dopravního značení a dopravního zařízení.
2Dokumenty
Záměry obce

17. března 2026 — pronájem části komunikace parc. č. 1992/1 k.ú. Košíře dle přílohy

1Body jednání
1
Záměr pronájmu části komunikace Plzeňská v k.ú. Košíře
Hlavní město Praha oznamuje záměr pronajmout část komunikace **Plzeňská** na pozemku **parc. č. 1992/1** v **k.ú. Košíře** (**Praha 5**). Účelem pronájmu je **komerční zábor pro výstavku zboží** o výměře **1 m²**. Předpokládané období nájmu je **od 08.04.2026 do 05.11.2026**. Budoucím nájemcem je **Andrea Kuldová** (IČO: **71545514**).
1Dokumenty
Záměry obce

17. března 2026 — pronájem části komunikace parc. č. 4233 k.ú. Vinohrady dle přílohy

1Body jednání
1
Záměr pronájmu části komunikace Varšavská v k.ú. Vinohrady
Hlavní město Praha zveřejňuje záměr pronajmout část komunikace **Varšavská** na pozemku **parc. č. 4233** v **k.ú. Vinohrady** (**Praha 2**). Předmětem nájmu je plocha o výměře **24 m²** za účelem provozování **restaurační předzahrádky s pódiem**. Budoucím nájemcem je společnost **N & G gastro group s.r.o.** (IČO: 22437053). Pronájem je plánován na období od **01.05.2026 do 30.09.2026**.
1Dokumenty
Záměry obce

17. března 2026 — pronájem části komunikace parc. č. 4098/2 k.ú. Vinohrady dle přílohy

1Body jednání
1
Záměr pronájmu části komunikace Vinohradská
Hlavní město Praha zveřejňuje záměr pronajmout část komunikace **Vinohradská** na pozemku **parc. č. 4098/2** v **k.ú. Vinohrady**. Předmětem nájmu je plocha o výměře **2 m²** za účelem provozování **restaurační předzahrádky bez pódia**. Budoucím nájemcem je společnost **DAVIDOTECA s.r.o.** (IČO: 14182416). Záměr se týká lokality **Praha 3** a je plánován na období od **20.04.2026** do **23.10.2026**. Písemné připomínky lze podat na adresu TSK hl. m. Prahy do **01.04.2026**.
1Dokumenty
Záměry obce

17. března 2026 — pronájem části komunikace parc. č. 152 k.ú. Vršovice dle přílohy

1Body jednání
1
Záměr pronájmu části komunikace Černomořská, k.ú. Vršovice
Hlavní město Praha oznamuje záměr pronajmout část komunikace v ulici **Černomořská** na pozemku **parc. č. 152** v **k.ú. Vršovice** (Praha 10). Účelem pronájmu je umístění **restaurační předzahrádky bez podia** o výměře **1,2 m²**. Budoucím nájemcem je společnost **Antonínovo pekařství s.r.o.** (IČO: 23899514). Pronájem je plánován na období od **08.04.2026** do **31.12.2026**.
1Dokumenty
Stavební řízení

17. března 2026 — Jednotné environmentální stanovisko - Rezidenční komplex Čakovice (změna územního rozhodnutí)

1Body jednání
1
Jednotné environmentální stanovisko - Rezidenční komplex Čakovice
Odbor ochrany prostředí MHMP vydal souhlasné **jednotné environmentální stanovisko (JES)** k záměru **„Rezidenční komplex Čakovice“** v rámci řízení o změně územního rozhodnutí. Změna se týká úpravy umístění inženýrských sítí (**vodovod, dešťová a splašková kanalizace, horkovod, elektro rozvody, veřejné osvětlení**) a nového konceptu hospodaření s dešťovými vodami. Dešťové vody budou odváděny do **Mratínského potoka** přes revitalizované území zahrnující **poldr s tůněmi**. Součástí záměru je i nová trafostanice **TS2** na pozemku **parc. č. 1292/53**. Předmětem řízení jsou pozemky v **k.ú. Čakovice**: **1292/1, 1292/16, 1292/17, 1292/19, 1292/27, 1292/40, 1292/33, 1292/37, 1457/1, 1280/1, 1280/20, 1280/24, 1292/23, 1292/26, 1455, 1629, 1286/4, 1292/51, 1292/52, 1292/53, 1292/54, 1292/55, 1292/56, 1292/57, 1292/58, 1292/59, 1292/60, 1294, 1295, 1282/3, 1285/2, 1284/13, 1570/1, 1288/1**.
Rozhodnutí: Magistrát hlavního města Prahy vydal **souhlasné** jednotné environmentální stanovisko za podmínky, že použité stavební mechanizmy budou zajištěny proti znečištění území ropnými látkami a nebude ohrožena jakost vod závadnými látkami.
1Dokumenty
Doprava

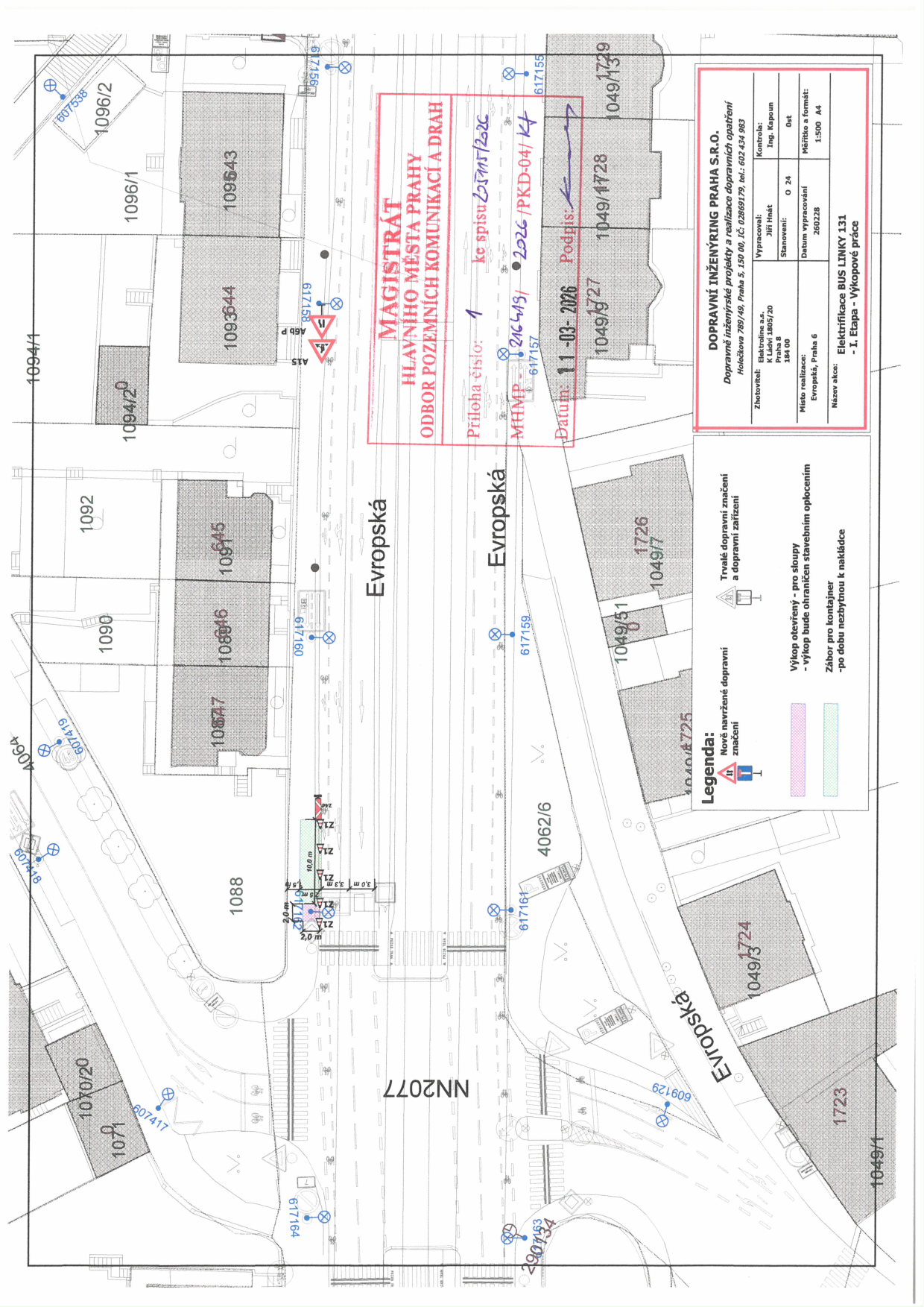
17. března 2026 — Elektrifikace BUS 131 Evropská - dop. omezení

1Body jednání
1
Elektrifikace BUS 131 Evropská - dop. omezení
Magistrát hl. m. Prahy stanovil přechodnou úpravu provozu v rámci akce **„Elektrifikace autobusové linky 131 Bubeneč – Bořislavka“**. Omezení se týká **ulice Evropská** před křižovatkou s **ul. Na Pískách** ve směru z centra. **Termín a podmínky:** - Platnost: **17. 3. – 19. 3. 2026**. - Omezení ve vozovce probíhá pouze v čase **9:00 – 15:00 h**. - Dojde k záboru části cyklopruhu a části přilehlého chodníku. - Průjezdní profil ve vozovce zůstane **3,3 m** a volný průchod na chodníku min. **1,5 m**.
Rozhodnutí: Magistrát hl. m. Prahy **vydává opatření obecné povahy**, kterým stanovuje přechodnou úpravu provozu na pozemní komunikaci.
2Dokumenty
1Obrázky
Záměry obce

17. března 2026 — krátkodobá výpůjčka části pozemku parc.č. 2794/1 v k.ú. Strašnice

1Body jednání
1
Záměr krátkodobé výpůjčky části pozemku v k.ú. Strašnice
Magistrát hlavního města Prahy oznamuje záměr **krátkodobě vypůjčit část pozemku parc. č. 2794/1** v katastrálním území **Strašnice** o výměře **2500 m²** městské části **Praha 10**. Účelem výpůjčky je zřízení mobilního zážitkového dětského hřiště v rámci projektu **„Adventure Playground“**. Zájemci se mohou k záměru vyjádřit nejpozději do **2. 4. 2026**.
2Dokumenty
Záměry obce

17. března 2026 — Informace k NP č. 601 Mansfeldova 793/1, Praha 14, na pozemku parc.č. 232/358, k.ú. Černý Most

1Body jednání
1
Záměr pronájmu nebytového prostoru č. 601, Mansfeldova 793/1, Praha 14
Magistrát hlavního města Prahy zveřejňuje záměr pronajmout nebytový prostor č. **601** (výměra **66,5 m²**) v přízemí budovy **č.p. 793** na adrese **Mansfeldova 1, Praha 14**. Budova stojí na pozemku **parc. č. 232/357** v katastrálním území **Černý Most**. Novým nájemcem má být společnost **LeafLab s.r.o.** (IČO: 23537132), jejímž jednatelem je pan **Samuel Mrkva**. Záměr navazuje na ukončení činnosti předchozího nájemce „Obchodní sdružení FF“. Zájemci mohou podávat své nabídky či vyjádření do **2. 4. 2026**.
1Dokumenty
Záměry obce

17. března 2026 — Pronájem NP č. 103 skladu objekt č.p. 768 ul. Kučerova 14, Praha 14 k.ú. Černý Most

1Body jednání
1
Záměr pronájmu skladu v objektu č.p. 768, ul. Kučerova 14, Černý Most
Magistrát hlavního města Prahy oznamuje záměr pronajmout **sklad č. 103** o výměře **2,21 m2** v suterénu budovy **č.p. 768** v ulici **Kučerova 14**, **Praha 14**, katastrální území **Černý Most**. Budova je součástí pozemku **parc. č. 232/449**. Nájemcem má být paní **Katherine Mikel Bavinová** za nájemné **558 Kč/m2/rok** na dobu neurčitou za účelem ukládání osobních věcí a archivu účetnictví.
1Dokumenty