Věci Obecní

Detail

Dokument

Praha

Hlavní město Praha

Mariánské náměstí 2, 11000 Praha
Web obce ↗
Záměry obce

16. března 2026 — pronájem části komunikace parc. č. 2322, 2323/1 k.ú. Nové Město dle přílohy

1Body jednání
1
Záměr pronájmu části komunikace v ul. Hybernská, Praha 1
Hlavní město Praha oznamuje záměr pronajmout část komunikace **Hybernská** na pozemcích **parc. č. 2322** a **parc. č. 2323/1** v **k.ú. Nové Město**. Účelem pronájmu je provedení výkopu pro **rekonstrukci chodníku a vozovky** v ulici **Hybernská**, **Praha 1**. Budoucím nájemcem je společnost **Hybernská Invest s.r.o.** (IČO: **17417180**) se sídlem **Na Florenci 2139/2, Nové Město, 110 00 Praha 1**. Akce proběhne ve dvou etapách: **1. Etapa** od **16.03.2026** (výměra **323 m²**) a **2. Etapa** od **06.04.2026** (výměra **448 m²**). Připomínky lze podat do **07.03.2026**.
1Dokumenty
Záměry obce

16. března 2026 — pronájem části komunikace parc. č. 2890, 3881/1 k.ú. Libeň dle přílohy

1Body jednání
1
Záměr pronájmu části komunikace Na Hrázi, k.ú. Libeň
Záměr **Hlavního města Prahy** pronajmout část komunikace **Na Hrázi** na pozemcích **parc. č. 2890** a **3881/1** v **k.ú. Libeň** za účelem stavebního záboru (**lešení a zařízení staveniště**). Budoucím nájemcem je společnost **IM-stav Praha s.r.o.** (IČO: **26465728**) se sídlem **Zenklova 22/56, Libeň, 180 00 Praha 8**. Jedná se o výměru **36 m²** v lokalitě **Praha 8** na období od **16.03.2026** do konce stavby (max. 1 rok).
1Dokumenty
Záměry obce

16. března 2026 — pronájem části komunikace parc. č. 5019/13 k.ú. Smíchov dle přílohy

1Body jednání
1
Záměr pronájmu části komunikace Radlická v k.ú. Smíchov
Hlavní město Praha zastoupené **Technickou správou komunikací hl. m. Prahy a.s.** oznamuje záměr pronajmout část komunikace **Radlická** na pozemku **parc. č. 5019/13** v **k.ú. Smíchov**. Pronájem o výměře **663 m²** v lokalitě **Praha 5** je určen pro budoucího nájemce **HROTANO CZECH, s.r.o.** (IČO: **04748832**) za účelem realizace akce **přeložka vodovodu, v ul. Radlická**. Období nájmu je stanoveno od **16.03.2026** do konce stavby (maximálně však na jeden rok).
1Dokumenty
Doprava

16. března 2026 — Radlická

1Body jednání
1
Stanovení přechodné úpravy provozu v ulici Radlická
Magistrát hl. m. Prahy stanovuje **přechodnou úpravu provozu** na místní komunikaci **Radlická** v Praze 5 (k.ú. **Smíchov**). Důvodem je **realizace přeložky vodovodního řadu** v rámci developerského projektu **Smíchov City South**. Úprava spočívá v umístění přechodného dopravního značení a zařízení, včetně záboru v termínu od **16. 3. 2026** do **30. 4. 2026**. Opatření se dotýká i okolí křižovatky s ulicí **Dobříšská**. Žadatelem o stanovení je společnost **PROZNAK Praha, s.r.o.**
Rozhodnutí: Magistrát hl. m. Prahy vydává opatření obecné povahy, kterým stanovuje přechodnou úpravu provozu na pozemní komunikaci **Radlická** v termínu od **16. 3. 2026** do **30. 4. 2026** v rozsahu dle přiložené dokumentace.
2Dokumenty
1Obrázky
Doprava

16. března 2026 — Korunní 12

1Body jednání
1
Stanovení přechodné úpravy provozu – ulice Korunní 719/12
Magistrát hl. m. Prahy stanovil přechodnou úpravu provozu v ulici **Korunní** před domem č. p. **719/12**. Důvodem je zajištění prostoru pro **zařízení staveniště**, umístění ohrady, kontejneru na stavební odpad a podchozího lešení pro akci **Korunní 719/12 – zřízení nového výtahu a přestavba půdních prostor**. Opatření zahrnuje zábor parkovacího pruhu (modrá zóna) a části chodníku. Omezení se dotýká také křižovatky s ulicí **Sázavská**. Termín realizace je stanoven od **16. 3. 2026 do 28. 2. 2027**.
Rozhodnutí: Magistrát hl. m. Prahy **vydává opatření obecné povahy**, kterým **stanovuje přechodnou úpravu provozu** na pozemní komunikaci **Korunní** spočívající v umístění dopravního značení dle přiložené dokumentace.
2Dokumenty
1Obrázky
Ostatní

16. března 2026 — Výzva k odstranění vozidla z komunikace Věštínská, Ford, RZ 7A34712, START SEASONS s.r.o.

1Body jednání
1
Výzva k odstranění vozidla Ford (RZ 7A34712) z ulice Věštínská
Správa služeb hl. m. Prahy vyzývá provozovatele vozidla značky **Ford**, RZ: **7A34712**, VIN: **WF05XXGCD57K71814**, k jeho odstranění z pozemní komunikace na adrese **Věštínská 565/2, Praha 16**. Vozidlo má více než 6 měsíců propadlou technickou prohlídku. Pokud provozovatel (**START SEASONS s.r.o.**) vozidlo neodstraní do 2 měsíců od doručení výzvy, bude odtaženo vlastníkem komunikace na náklady provozovatele. Náklady na odtah jsou stanoveny na **3 800 Kč** a parkovné činí **500 Kč** za den.
1Dokumenty
Ostatní

16. března 2026 — Výzva k odstranění vozidla z komunikace Přeštická, Ford, RZ 6A52558, HM Floor s.r.o.

1Body jednání
1
Výzva k odstranění vozidla z komunikace Přeštická
Správa služeb hl. m. Prahy vyzývá společnost **HM Floor s.r.o.** jako provozovatele vozidla značky **Ford** (RZ **6A52558**, VIN **WF0ZXXBDFZ6U36817**) k jeho odstranění z veřejně přístupné pozemní komunikace na adrese **Přeštická 1095/6, Praha 15**. Vozidlo je technicky nezpůsobilé k provozu z důvodu marného uplynutí lhůty pro provedení pravidelné technické prohlídky po dobu delší než 6 měsíců. Pokud nebude vozidlo odstraněno do 2 měsíců od doručení této výzvy, bude odtaženo vlastníkem komunikace na náklady provozovatele. Přemístění vozidla na jinou veřejnou komunikaci ve vlastnictví hl. m. Prahy se nepovažuje za jeho odstranění.
1Dokumenty
Ostatní

16. března 2026 — Výzva k odstranění vozidla z komunikace Košíkářská, Yamaha, RZ 7U4438, HASTA SIEMPRE s.r.o.

1Body jednání
1
Výzva k odstranění vozidla Yamaha (RZ 7U4438) z ulice Košíkářská
Správa služeb hl. m. Prahy vyzývá společnost **HASTA SIEMPRE s.r.o.** k odstranění vozidla tovární značky **Yamaha**, RZ **7U4438**, VIN **MH3SEC71000029832**, které je odstaveno na pozemní komunikaci v ulici **Košíkářská**, **Praha-Zbraslav**, u sloupu veřejného osvětlení č. 514897, naproti domu **č.p. 1185**. Důvodem výzvy je technická nezpůsobilost vozidla (propadlá technická prohlídka déle než 6 měsíců). Provozovatel je povinen vozidlo odstranit do **2 měsíců** od doručení výzvy. Pokud tak neučiní, bude vozidlo odtaženo na náklady provozovatele. Náklady na **odtah činí 3 800 Kč** a **parkovné 500 Kč/den**.
1Dokumenty
Ostatní

16. března 2026 — Výzva k odstranění vozidla z komunikace Ovčí hájek, Seat, RZ LNI3701, IRENA MAŠKOVÁ, P-13

1Body jednání
1
Výzva k odstranění vozidla Seat (RZ LNI3701) z ulice Ovčí hájek
Správa služeb hl. m. Prahy vyzývá provozovatelku **Irenu Maškovou** k odstranění vozidla značky **Seat**, RZ **LNI3701**, které je odstaveno na adrese **Ovčí hájek 2160/18**, **Praha 13**. Důvodem výzvy je skutečnost, že vozidlo má více než 6 měsíců neplatnou technickou prohlídku. Provozovatel má lhůtu **2 měsíce** od doručení výzvy k odstranění vozidla nebo sjednání nápravy. V případě nesplnění bude vozidlo odtaženo na náklady provozovatele (**3 800 Kč** za odtah a **500 Kč** denně za parkovné) a následně může být prodáno ve veřejné dražbě.
1Dokumenty
Doprava

16. března 2026 — Radlická

1Body jednání
1
Stanovení přechodné úpravy provozu v ulici Radlická
Opatření obecné povahy stanovuje přechodnou úpravu provozu na místní komunikaci **Radlická** z důvodu ražby nové dešťové kanalizace a realizace nových revizních šachet. Úprava se týká úseku mezi **bočním výjezdem z tunelu Mrázovka** a ulicí **Bieblova**. **Omezení proběhne v následujících termínech:** - **16. 3. 2026 – 31. 5. 2026**: Částečná uzavírka jízdního pruhu ve směru do centra v délce cca 25 metrů. Doprava bude zachována po tramvajovém tělese. - **13. 4. 2026 – 17. 5. 2026**: Uzavírka levého řadicího pruhu ve směru z centra, doprava bude vedena pravým pruhem. Instalace a existence dopravního značení je stanovena pro období od **16. 3. 2026** do **17. 5. 2026**.
Rozhodnutí: Magistrát hl. m. Prahy **vydává opatření obecné povahy**, kterým **stanovuje přechodnou úpravu provozu** v ulici **Radlická** spočívající v umístění dopravního značení v termínu od **16. 3. 2026** do **17. 5. 2026**.
2Dokumenty
2Obrázky
Doprava

16. března 2026 — K Barrandovu x Slavínského

1Body jednání
1
Přechodná úprava provozu v ulicích K Barrandovu, Slavínského a Geologická
Magistrát hl. m. Prahy stanovil přechodnou úpravu provozu v lokalitě **Praha-Barrandov** z důvodu realizace přeložky vodovodního řadu a kanalizace. Stavební práce jsou rozděleny do pěti etap a budou probíhat v termínu od **16. 3. 2026** do **30. 6. 2026**. Omezení se týká především křižovatky ulic **K Barrandovu** a **Slavínského**. V první fázi bude v ulici **K Barrandovu** uzavřen pravý jízdní pruh ve směru do centra (od křižovatky s ulicemi **Lamačova** a **Slavínského**). Následně bude v ulici **Slavínského** v úseku od **vjezdu do areálu Lidl** k ulici **K Barrandovu** zaveden jednosměrný provoz. Objízdná trasa za uzavřený výjezd do křižovatky je vedena ulicí **Geologická**.
Rozhodnutí: Magistrát hl. m. Prahy vydává opatření obecné povahy - stanovení přechodné úpravy provozu na pozemních komunikacích **K Barrandovu**, **Slavínského** a **Geologická**.
2Dokumenty
6Obrázky
Záměry obce

16. března 2026 — Uzavření dodatku č. 2 ke smlouvě - Národní 43, Praha 1

1Body jednání
1
Uzavření dodatku č. 2 ke smlouvě - Národní 43, Praha 1
Hlavní město Praha zveřejňuje záměr uzavřít dodatek č. 2 ke smlouvě o nájmu nebytových prostor (prostor **č. 99** – trafostanice) o výměře **60,50 m2** v suterénu objektu **č. p. 365**, **Národní 43**, **Praha 1**, který je součástí pozemku **parc. č. 348** v **k. ú. Staré Město**. Nájemcem je společnost **PREdistribuce, a.s.** (IČO **273 76 516**). Navrhované nájemné činí **28 235 Kč měsíčně** a doba nájmu má být prodloužena k datu **30. 6. 2031**. Zájemci se k tomuto záměru mohou vyjádřit nebo předložit nabídky do **1. 4. 2026** prostřednictvím společnosti **TRADE CENTRE PRAHA a.s.**
1Dokumenty
Doprava

16. března 2026 — TSK - PRAHA 4 - ÚDRŽBA ZELENĚ

1Body jednání
1
Přechodná úprava provozu na komunikacích Jižní Spojka, 5. května a Spořilovská
Stanovení přechodné úpravy provozu na území **Prahy 4** z důvodu provádění údržby zeleně a čištění komunikací, které zajišťuje **Technická správa komunikací hl. m. Prahy, a.s.** **Podrobnosti omezení:** - **Termín:** od **16.3.2026** do **31.12.2026** - **Čas:** denně od **07:00** do **14:00** hod - **Rozsah:** Postupný zábor pravého nebo levého jízdního pruhu v délce max. **100 m**. **Dotčené úseky:** - **Jižní Spojka**: úsek **hranice Prahy 10** – **Barrandovský most** a zpět - **5. května**: úsek **Nuselský most** – **Brněnská** a zpět - **Spořilovská**: v celém úseku obousměrně
Rozhodnutí: Magistrát hl. m. Prahy **vydává opatření obecné povahy**, kterým stanovuje přechodnou úpravu provozu na uvedených pozemních komunikacích za stanovených podmínek.
6Dokumenty
9Obrázky
Záměry obce

16. března 2026 — pronájem části komunikace parc. č. 2046 k.ú. Bubeneč dle přílohy

1Body jednání
1
Záměr pronajmout část komunikace v ul. Bubenečská
Hlavní město Praha oznamuje záměr pronajmout část komunikace **Bubenečská** na pozemku **parc. č. 2046** v **k.ú. Bubeneč** (**Praha 6**). Účelem nájmu je **vybudování vjezdu do objektu** a **zábor pro zařízení staveniště** (1. etapa). Budoucím nájemcem je společnost **CONSTRUCT CENTRUM s.r.o.** (IČO: 11784971). Výměra dotčené plochy pro 1. etapu činí **188 m²**. Období nájmu je stanoveno od **16.03.2026** do konce stavby (maximálně na jeden rok).
1Dokumenty
Doprava

16. března 2026 — Karlovo náměstí

1Body jednání
1
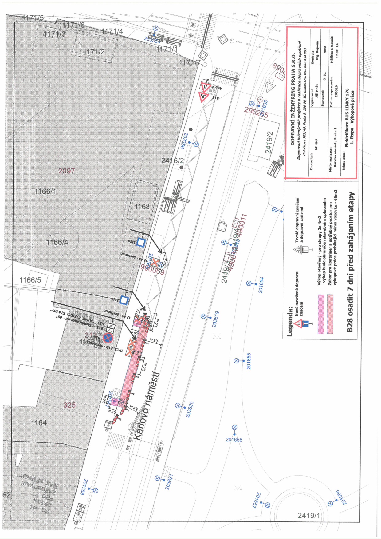
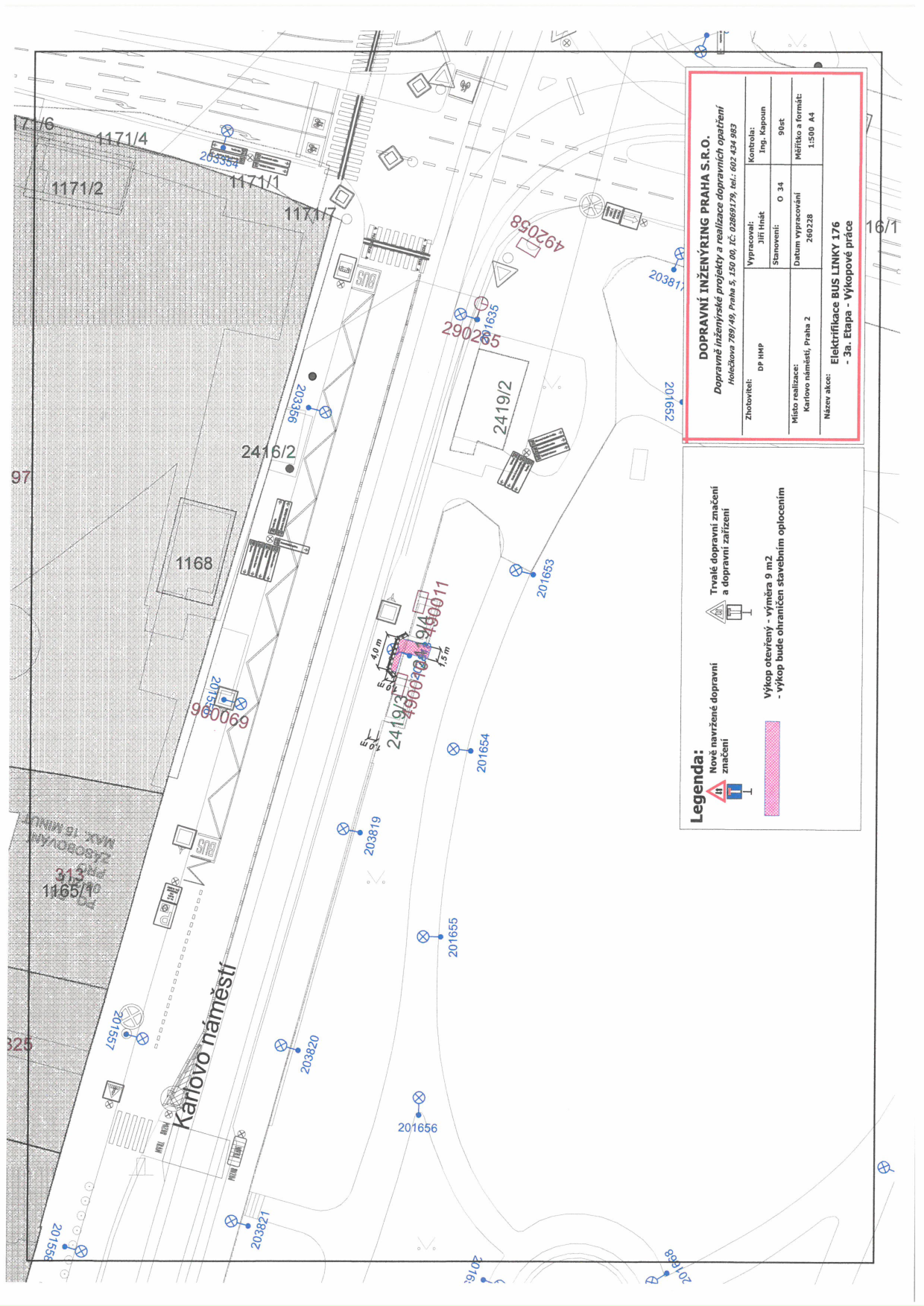
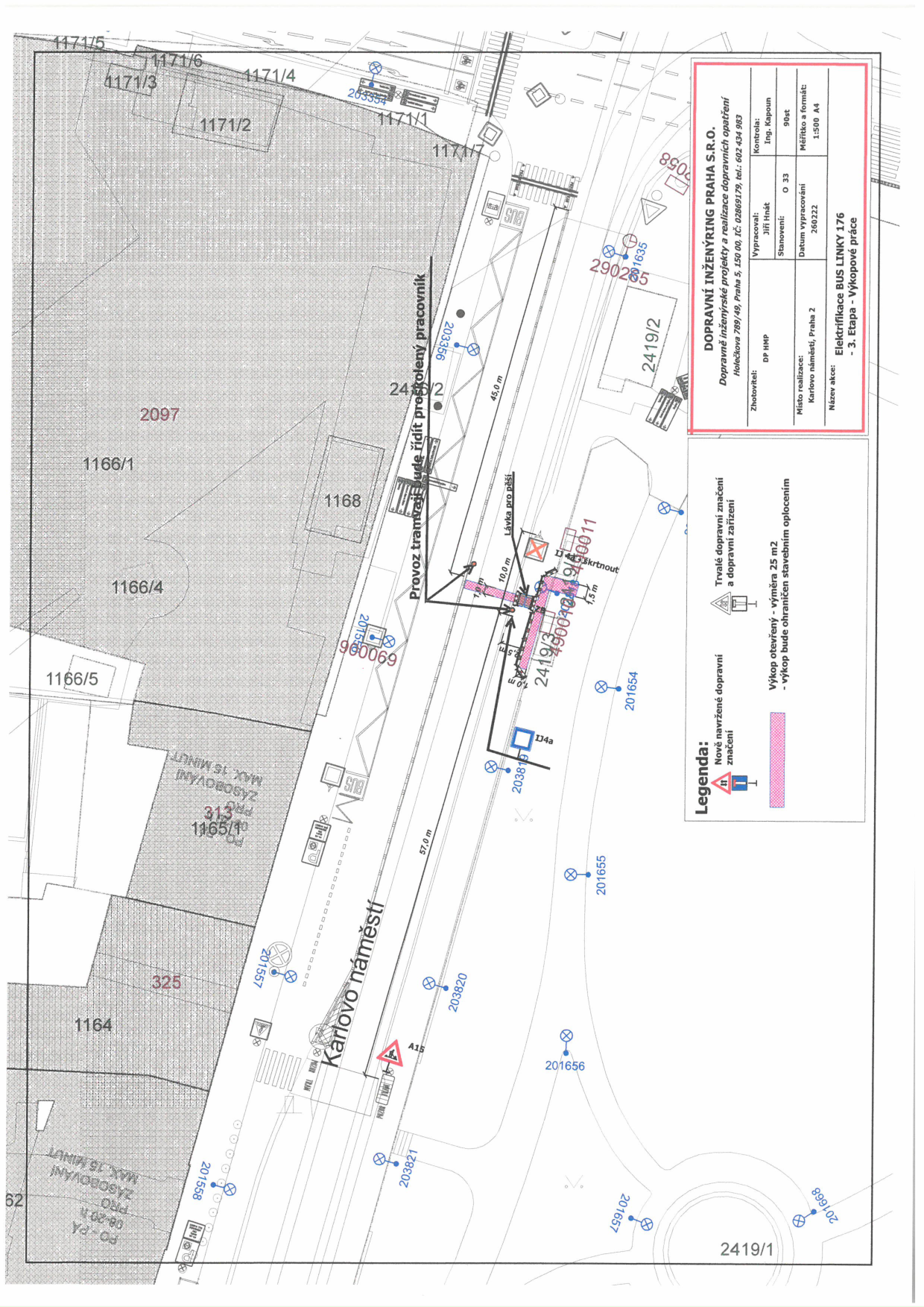
Přechodná úprava provozu na Karlově náměstí – elektrifikace linky 176
Magistrát hl. m. Prahy stanovil přechodnou úpravu provozu na místní komunikaci **Karlovo náměstí** v **Praze**. Důvodem opatření je realizace stavby **elektrifikace autobusové linky 176**. Úprava spočívá v umístění přechodného dopravního značení a realizaci výkopových prací a záborů v termínu od **16. 3. 2026** do **27. 4. 2026**. Práce provádí společnost **Dopravní inženýring Praha s.r.o.** na základě povolení silničního správního úřadu a souhlasu Policie ČR.
Rozhodnutí: Vydáno opatření obecné povahy – stanovení přechodné úpravy provozu na pozemní komunikaci.
2Dokumenty
4Obrázky
Stavební řízení

16. března 2026 — Jednotné environmentální stanovisko - „Stavba č. 42125 Hornopočernická spojka“, parc.č. 4067/1, 4072/16, 4087/17, 4087/7, 4089/5, 4091/11, 4091/13, 4091/16, 4091/25, 4091/33, 4091/34, 4091/35 a další, k.ú. Horní Počernice

1Body jednání
1
Jednotné environmentální stanovisko - Stavba č. 42125 Hornopočernická spojka
Vydání souhlasného jednotného environmentálního stanoviska (JES) pro záměr **„Stavba č. 42125 Hornopočernická spojka“**. Jedná se o novostavbu dvoupruhové obousměrné komunikace o délce cca **1 000 m**, která propojí silnici **II/611** (ulice **Náchodská**) s dálnicí **D11** v prostoru budoucí **MÚK Beranka**. Součástí stavby je stezka pro pěší a cyklisty, vsakovací příkopy a plochy. Záměr se nachází v katastrálním území **Horní Počernice** na pozemcích parc. č. **4067/1**, **4072/16**, **4087/17**, **4087/7**, **4089/5**, **4091/11**, **4091/13**, **4091/16**, **4091/25**, **4091/33**, **4091/34**, **4091/35**, **4091/36**, **4091/37**, **4091/44**, **4091/45**, **4091/51**, **4091/52**, **4091/53**, **4091/8**, **4091/9** a **4496/4**.
Rozhodnutí: Souhlasné jednotné environmentální stanovisko: Záměr je z hlediska vlivů na všechny dotčené složky životního prostředí přípustný.
1Dokumenty
Stavební řízení

16. března 2026 — Jednotné environmentální stanovisko "Koncese PRIOR Praha 12 - bourací práce, parc. č. 4400/106-112, 4400/93, 4400/460,461, 4400/711, 4400/472-474, 4400/454, 4400/456,457, k.ú. Modřany"

1Body jednání
1
Jednotné environmentální stanovisko pro demolici obchodního domu PRIOR Praha 12
Magistrát hlavního města Prahy vydal souhlasné jednotné environmentální stanovisko (JES) pro záměr **'Koncese PRIOR Praha 12' - bourací práce**. Předmětem je demolice stávajícího **obchodního domu PRIOR** a doprovodných staveb ve čtyřech fázích, včetně odstranění areálových komunikací, zpevněných ploch a přístavby trafostanice. Záměr se nachází na pozemcích parc. č. **4400/106**, **4400/107**, **4400/108**, **4400/109**, **4400/110**, **4400/111**, **4400/112**, **4400/93**, **4400/460**, **4400/461**, **4400/711**, **4400/472**, **4400/473**, **4400/474**, **4400/454**, **4400/456** a **4400/457** v k. ú. **Modřany**. Součástí stanoviska je povolení ke kácení 6 dřevin (borovice černá, dub červený, douglaska tisolistá, javor mléč) na pozemku parc. č. **4400/473** k.ú. **Modřany**, které musí být provedeno v období vegetačního klidu. Záměr částečně zasahuje do ochranného pásma **přírodní památky Modřanská rokle**. Podmínkou kácení je nabytí právní moci stavebního povolení.
Rozhodnutí: Vydáno souhlasné jednotné environmentální stanovisko a povoleno kácení specifikovaných dřevin mimo les.
1Dokumenty
Záměry obce

16. března 2026 — záměr pronájmu garážových stání - Karla Hlaváčka, Praha 8

1Body jednání
1
Záměr pronájmu garážových stání - Karla Hlaváčka, Praha 8
Hlavní město Praha oznamuje záměr pronajmout volná **garážová stání** v ulici **Karla Hlaváčka**, **Praha 8**, katastrální území **Libeň**. Jedná se o stání v objektech: - **č.p. 2277** na pozemku **parc. č. 2442/18** - **č.p. 2278** na pozemku **parc. č. 2442/19** - **č.p. 2285** na pozemku **parc. č. 2442/20** - **č.p. 2286** na pozemku **parc. č. 2442/21** - **č.p. 2287** na pozemku **parc. č. 2442/22** - **č.p. 2341, 2342, 2343** na pozemcích **parc. č. 2442/28, 2442/27, 2442/26** Zájemci se mohou k záměru vyjádřit a předložit nabídky do **31.03.2026**.
1Dokumenty
Záměry obce

16. března 2026 — pronájem části komunikace parc. č. 2951/1 k.ú. Braník dle přílohy

1Body jednání
1
Záměr pronájmu části pozemku v k.ú. Braník pro vybudování vjezdu
Hlavní město Praha zastoupené TSK hl. m. Prahy a.s. zveřejňuje záměr pronajmout část komunikace **Branická** na pozemku **parc. č. 2951/1** v **k.ú. Braník**. Pronájem se týká výměry **41 m²** za účelem provedení výkopu pro **vybudování trvalého vjezdu a opravu plotu** v ulici **Branická**. Budoucím nájemcem je **Radek Husák**. Předpokládaný termín nájmu je od **07.04.2026** na dobu maximálně jednoho roku.
1Dokumenty
Záměry obce

16. března 2026 — Hlavní město Praha, zastoupené Technologií HMP, a.s. - OZNAMUJE - Záměr - pronajmoutt zařízení veřejného osvětlení budoucím nájemcům dle specifikace v příloze tohoto záměru a to za účelem umístění nereklamních doplňků

1Body jednání
1
Záměr pronajmout zařízení veřejného osvětlení pro nereklamní doplňky
Hlavní město Praha, zastoupené společností **Technologie hlavního města Prahy, a.s.**, oznamuje záměr pronajmout zařízení veřejného osvětlení (stožáry VO) pro účely umístění nereklamních doplňků. Pronájem je plánován od **01.04.2026** na dobu neurčitou. Konkrétně se jedná o stožár č. **603920** v ulici **Vodňanského**. Zájemci se mohou k záměru vyjádřit do **31.03.2026**.
1Dokumenty