Věci Obecní

Detail

Dokument

Praha 3

Hlavní město Praha

Havlíčkovo náměstí 700, 13000 Praha 3
Web obce ↗
Rozpočet

25. března 2026 — RO za březen 2026 (poř.č.03, usnesení ZMČ č. 301, usnesení RMČ č. 181,205,219)

1Body jednání
1
Rozpočtová opatření za březen 2026
Přehled rozpočtových opatření **Městské části Praha 3** za měsíc **březen 2026**. Úpravy rozpočtu byly provedeny na základě usnesení **ZMČ č. 301** ze dne **10. 3. 2026** a usnesení **RMČ č. 181** (**11. 3. 2026**), **č. 205** (**18. 3. 2026**) a **č. 219** (**25. 3. 2026**). Rozpočtové změny se týkají zejména kapitol **Mateřské školy**, **Základní školy**, **Sportovní zařízení ve vlastnictví obce**, **Nebytové hospodářství**, **Bytové hospodářství**, **Domovy pro osoby se zdravotním postižením** a **Péče o vzhled obcí a veřejnou zeleň**. Mezi významné operace patří převod z vlastních fondů podnikatelské činnosti ve výši **25 000 000 Kč**, úpravy rezerv investičních výdajů a neinvestiční příspěvky zřízeným příspěvkovým organizacím.
Rozhodnutí: Rozpočtová opatření byla **schválena** usnesením **ZMČ č. 301/2026** a usneseními **RMČ č. 181/2026, 205/2026 a 219/2026**.
1Dokumenty
Záměry obce

25. března 2026 — Usnesení RMČ/2026/0217 ze dne 25.3.2026 - záměr převodu spoluvlastnického podílu Hartigova 70

1Body jednání
1
Záměr převodu spoluvlastnického podílu - Hartigova 70
Rada městské části Praha 3 schválila záměr převodu části spoluvlastnického podílu o velikosti **193431/1367224** na pozemku **parc. č. 1969** a na budově **č. p. 1113** v **k. ú. Žižkov**. Nemovitost se nachází na adrese **Hartigova 70, Praha 3**. Převod je realizován ve prospěch společnosti **Ing. PETR MOUCHA - stavební, spol. s r.o.** (IČ **257 74 638**) v souvislosti s výstavbou nových bytových jednotek formou půdní vestavby a celkovou rekonstrukcí domu. Převod podílu na pozemku bude proveden za úplatu.
Rozhodnutí: Rada městské části **schvaluje** záměr převodu části spoluvlastnického podílu na pozemku **parc. č. 1969** a budově **č. p. 1113** v **k. ú. Žižkov**.
1Dokumenty
Dražby a exekuce

25. března 2026 — 091 EX 00401/00-002, Dražební vyhláška k provedení dobrovolné dražby MV

1Body jednání
1
Dobrovolná dražba osobního automobilu Škoda Superb
Soudní exekutorka **JUDr. Ingrid Švecová** (Exekutorský úřad **Praha 3**) nařizuje dobrovolnou dražbu movité věci na návrh navrhovatele **Vladimíra Boboka** (**Ke Kaménce čp. 280/9, 163 00, Praha – Řepy**, IČ: **62928597**). Předmětem dražby je osobní automobil **Škoda Superb 2.0TSi 140kW Style Plus, DSG, Virtual**, VIN: **TMBJM9NP9N7020698**. Odhadní cena movité věci byla stanovena na **480 000 Kč**, přičemž nejnižší podání (vyvolávací cena) činí **160 000 Kč**. Prohlídka vozidla se uskuteční dne **23. 03. 2026** od 10:00 do 12:00 hodin na adrese **Baumanova 6, Horoušany**. Samotná elektronická dražba proběhne dne **25. 03. 2026** od 10:00 na portálu **www.okdrazby.cz**.
1Dokumenty
Dražby a exekuce

25. března 2026 — 091 EX 00402/00-002, Dražební vyhláška k provedení dobrovolné dražby MV

1Body jednání
1
Dražební vyhláška - dobrovolná dražba automobilu Škoda Octavia
Soudní exekutorka **JUDr. Ingrid Švecová** (Exekutorský úřad Praha 3) na základě návrhu navrhovatele z adresy **Ke Kaménce čp. 280/9, 163 00 Praha** nařizuje elektronickou dobrovolnou dražbu movité věci: **Škoda Octavia 1.5TSi A/T Style G-Tec**, VIN: **TMBJH8NX4NY081319**. Odhadní cena souboru je **390 000,00 Kč**, vyvolávací cena (nejnižší podání) činí **130 000,00 Kč**. Dražba proběhne dne **25.03.2026** od **10:00** na portálu **www.okdrazby.cz**. Prohlídka předmětu dražby se uskuteční dne **23.03.2026** v čase **10:00–12:00** na adrese **Baumanova 6, Horoušany**, kde bude rovněž probíhat předání věci vydražiteli.
1Dokumenty
Dražby a exekuce

25. března 2026 — 091 EX 00400/00-002, Dražební vyhláška k provedení dobrovolné dražby MV

1Body jednání
1
Dražba movité věci - Škoda Fabia 1.0 Tsi 70kW Tour combi
Soudní exekutorka **JUDr. Ingrid Švecová** nařizuje elektronickou dobrovolnou dražbu movité věci: **Škoda Fabia 1.0 Tsi 70kW Tour combi**, VIN: **TMBJP6NJ4NZ007802**. Odhadní cena byla stanovena na **180 000 Kč**, nejnižší podání (vyvolávací cena) činí **60 000 Kč**. Prohlídka předmětu dražby se uskuteční dne **23. 03. 2026** od **10:00** do **12:00** na adrese **Baumanova 6, Horoušany**. Samotná dražba proběhne elektronicky na portálu **www.okdrazby.cz**.
1Dokumenty
Doprava

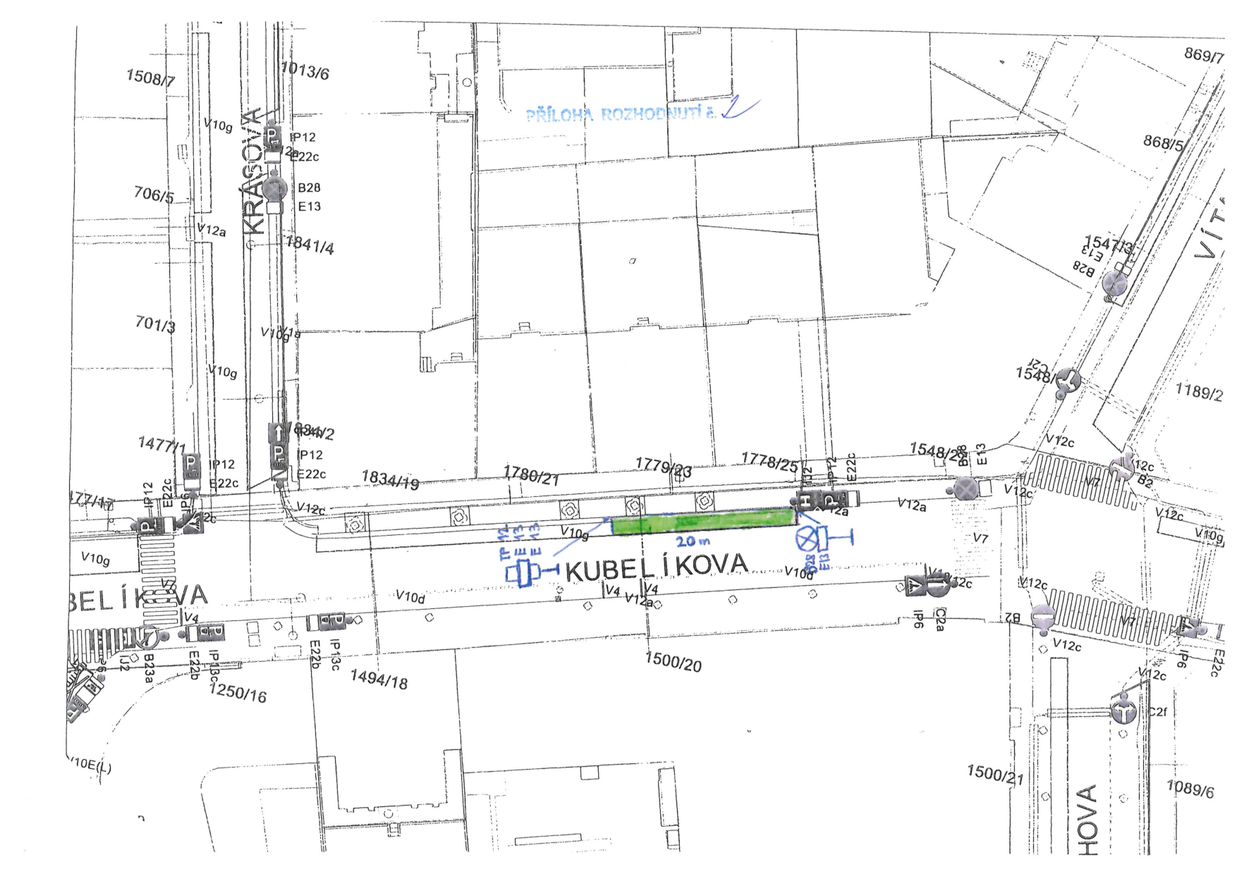
25. března 2026 — Rozh+Stan-Kubelíkova 23+25

1Body jednání
1
Stanovení přechodné úpravy provozu v ulici Kubelíkova
Opatření obecné povahy o stanovení **přechodné úpravy provozu** na pozemní komunikaci v ulici **Kubelíkova** v úseku před domy č.p. **1779/23** a **1778/25**. Opatření spočívá v umístění přechodného dopravního značení (**B 28**, **E 13**, **IP 12**) z důvodu **audiovizuální tvorby – stání vozidel koncertní techniky**. Úprava je stanovena na termín **25.03.2026** od **08:00 hod.** do **24:00 hod.** Žadatelem je společnost **PRAGOKONCERT BOHEMIA, a.s.**
Rozhodnutí: Úřad městské části Praha 3 **vydává opatření obecné povahy** – stanovení přechodné úpravy provozu na pozemní komunikaci **Kubelíkova**.
2Dokumenty
1Obrázky
Záměry obce

24. března 2026 — Záměr pronájmu NP 103, Vinohradská 114/1756, Kravaťák s.r.o.

1Body jednání
1
Záměr pronájmu NP 103, Vinohradská 114/1756, Kravaťák s.r.o.
Městská část Praha 3 oznamuje **záměr změnit nájemní smlouvu** pro nebytový prostor – **jednotku č. 1756/103** v budově **č.p. 1756** na pozemku **parc.č. 2669/1** v **k.ú. Vinohrady**. Změna spočívá v převodu nájemní smlouvy z fyzické osoby na právnickou osobu **Kravaťák, s.r.o.** (IČO 24040100). Nájem je sjednán na dobu neurčitou. Občané se mohou k záměru vyjádřit do **08.04.2026**.
1Dokumenty
Volná místa

24. března 2026 — VŘ 15 OV - ref. OSKP

1Body jednání
1
Výběrové řízení na pozici referent/referentka oddělení stavební kontroly
Městská část **Praha 3** vyhlašuje výběrové řízení na obsazení pracovního místa **referent/referentka** pro **oddělení stavební kontroly a právní odboru výstavby** (technik). Místem výkonu práce je **Praha 3**. Pozice je zařazena do **11. platové třídy** (tarifní plat **29 990 Kč až 42 050 Kč** dle praxe, zaručený plat **35 840 Kč**) s možností osobního příplatku od **4 000 Kč do 17 000 Kč**. Náplň práce zahrnuje **výkon stavebního dozoru**, vedení řízení o **odstranění stavby** a **dodatečném povolení stavby**, a řešení **přestupků dle stavebního zákona**. Požadováno je vzdělání v oboru **stavebnictví, architektury, práva** nebo příbuzných oborů a znalost **stavebního zákona**. Přihlášky se podávají nejpozději do **24. 3. 2026** poštou nebo osobně na adresu **Havlíčkovo náměstí 700/9, Praha 3**, případně elektronicky.
1Dokumenty
Záměry obce

24. března 2026 — Podmínky 13. VŘ k pronájmu bytů ke komerčnímu pronájmu formou el. aukce

1Body jednání
1
13. výběrové řízení na pronájem 10 bytů formou elektronické aukce
Městská část **Praha 3** vyhlašuje 13. výběrové řízení na pronájem **10 bytových jednotek** ze svého majetku formou elektronické aukce. Minimální nájemné je stanoveno na **150 Kč/m2/měsíc**. Zájemci musí složit jistotu ve výši **30 000 Kč** a podat přihlášku nejpozději do **24. 3. 2026 do 18:00**. Prohlídky bytů jsou možné po registraci na aukčním portálu. Seznam nabízených bytů: **Basilejské nám. 1807/3** (byt č. **1807/10**, 2+1, **94,83 m2**), **Hartigova 1245/81** (byt č. **1245/6**, 1+1, **43,7 m2**), **Hartigova 2395/194** (byt č. **2395/7**, 1+1, **53,5 m2**), **Hollarovo nám. 2260/5** (byt č. **2260/13**, 1+1, **44,83 m2**), **Hradecká 2339/22** (byt č. **2339/3**, 1+1, **55,2 m2**), **Jana Želivského 1801/22** (byt č. **1801/23**, 1+0, **26,46 m2**), **Kouřimská 2368/4** (byt č. **2368/14**, 2+1, **61,5 m2**), **Malešická 2405/29** (byt č. **2405/12**, 1+kk, **47,5 m2**), **Soběslavská 2251/27** (byt č. **2251/5**, 1+0, **27,2 m2**) a **Vinohradská 2370/172** (byt č. **2370/19**, 3+1, **110,3 m2**).
1Dokumenty
Volná místa

24. března 2026 — VŘ 14 OV - ref. odd. záměrů

1Body jednání
1
Výběrové řízení: referent/referentka odboru výstavby, oddělení záměrů
Městská část **Praha 3** vyhlašuje výběrové řízení na obsazení pracovního místa **referent/referentka odboru výstavby, oddělení záměrů**. Místem výkonu práce je **Praha 3** na adrese **Havlíčkovo náměstí 700/9**. Pozice je zařazena do **11. platové třídy** s platem v rozmezí **29 990 Kč** až **42 050 Kč** a možností osobního příplatku od **4 000 Kč** do **17 000 Kč**. Náplní práce je výkon správní činnosti v rámci řízení o povolení záměru dle stavebního zákona, zejména posuzování dokumentace staveb a reklamních zařízení. Přihlášky je nutné doručit nejpozději do **24. 3. 2026**.
1Dokumenty
Veřejné vyhlášky

23. března 2026 — Brťka Ján, *1987, Brťková Monika, *1988

1Body jednání
1
Oznámení o možnosti převzít písemnost - Ján Brťka, Monika Brťková
Úřad městské části **Praha 3**, odbor občansko správní, oznamuje podle správního řádu možnost převzít písemnost č.j. **OODEO/185675/2026/TP/Pí**. Oznámení se týká osob **Ján Brťka** (nar. **22.03.1987**) a **Monika Brťková** (nar. **30.04.1988**), oba s adresou **Olšanská 2681/6**, **130 00 Praha 3 – Žižkov**. Písemnost je k vyzvednutí na adrese **Seifertova 51**, **Praha 3**.
1Dokumenty
Stavební řízení

23. března 2026 — 1604/Ž, Hartigova 144 - Rozhodnutí - společné povolení

1Body jednání
1
Nástavba a stavební úpravy objektu Hartigova 144, Praha 3
Stavební úřad vydal **společné povolení** pro nástavbu a stavební úpravy bytového domu **č. p. 1604** na pozemku **parc. č. 4023** v **k. ú. Žižkov**, na adrese **Hartigova 144, Praha 3**. Projekt zahrnuje: * **Jednopodlažní nástavbu** a půdní vestavbu, čímž vznikne **5 nových bytových jednotek**. * Prodloužení stávajícího schodiště a instalaci **nového výtahu** v zrcadle schodiště. * Dispoziční úpravy nebytové jednotky **č. 1604/105** v 7. NP. * Vybudování retenčních nádrží v nebytové jednotce **č. 1604/102** v 1. PP s odtokem do kanalizace v ulici **Viklefova**. Součástí rozhodnutí je také **povolení výjimky**, která umožňuje snížení počtu parkovacích stání ze 4 na 0. Důvodem je nemožnost vybudování garáží bez narušení nosných konstrukcí a památková ochrana objektu v ochranném pásmu památkové rezervace.
Rozhodnutí: Úřad městské části Praha 3 **vydal společné povolení** pro stavební záměr a **povolil výjimku** z pražských stavebních předpisů ohledně kapacit parkování.
1Dokumenty
Doprava

23. března 2026 — Rozh+Stan-výkopy-Malešická

1Body jednání
1
Přechodná úprava provozu v ulici Malešická
Odbor dopravy stanovuje přechodnou úpravu provozu v ulici **Malešická** v **Praze 3**, konkrétně v úseku mezi ulicemi **Šrámkové** a **Olgy Havlové**. Omezení je vyvoláno z důvodu **výkopových prací**, umístění **kontejnerů** a **zařízení staveniště** pro společnost **Opton s.r.o.** Realizace proběhne ve dvou etapách: **1. etapa** v termínu od **23.03.2026** do **09.04.2026** a **2. etapa** od **08.04.2026** do **22.04.2026**. Součástí úpravy je osazení přenosného dopravního značení dle schválené dokumentace.
Rozhodnutí: Úřad městské části Praha 3 **vydává** opatření obecné povahy, kterým **stanovuje přechodnou úpravu provozu** na pozemní komunikaci **Malešická, Praha 3** v období od **23.03.2026** do **22.04.2026**.
3Dokumenty
Záměry obce

23. března 2026 — VŘ 1137_Hartigova 1245-81_NP101

1Body jednání
1
VŘ 1137 - pronájem ateliéru Hartigova 1245/81
Městská část **Praha 3** vyhlásila výběrové řízení č. **1137** na pronájem prostoru nesloužícího k bydlení (**ateliér**) na adrese **Hartigova 1245/81, Praha 3**. Jedná se o nebytový prostor **NP č. 101** umístěný v **6. podlaží** o celkové ploše **25,60 m2**. Minimální nájemné je stanoveno na **1 850 Kč/m2/rok**. Prostory jsou určeny výhradně pro účely ateliéru (umělecká činnost, architekt, grafik). Termín prohlídky na místě je **17.03.2026** od 09:00 do 10:00. Nabídky musí být doručeny v zalepené obálce nejpozději do **23.03.2026 do 18:00 hod**.
1Dokumenty
Doprava

23. března 2026 — Rozhodnutí + opatření Žádost - filmování - náměstí Winstona Churchilla, Siwiecova

1Body jednání
1
Stanovení přechodné úpravy provozu - nám. Winstona Churchilla a Siwiecova
Odbor dopravy ÚMČ Praha 3 stanovuje přechodnou úpravu provozu spočívající v umístění dopravního značení z důvodu **filmování (audiovizuální tvorby)** společností **FILM MAKERS s.r.o.**. Opatření se týká následujících lokalit: * **nám. Winstona Churchilla proti obj. 1800/2, Praha 3**: v termínu od **23. 03. 2026 (07:00 h)** do **02. 04. 2026 (20:00 h)**. * **nám. Winstona Churchilla 1800/2, Praha 3**: v termínu od **30. 03. 2026 (00:00 h)** do **31. 03. 2026 (20:00 h)**. * **nám. Winstona Churchilla proti obj. 1938/4**: v termínu od **30. 03. 2026 (00:00 h)** do **31. 03. 2026 (20:00 h)**. * **Siwiecova proti obj. 1800/1, Praha 3**: v termínu od **29. 03. 2026 (06:00 h)** do **31. 03. 2026 (22:00 h)**. Instalace značek **B28** (zákaz zastavení) a **E13** bude provedena minimálně 7 dní předem.
Rozhodnutí: Úřad městské části Praha 3 **vydává** opatření obecné povahy - stanovení přechodné úpravy provozu na pozemních komunikacích.
2Dokumenty
1Obrázky
Doprava

23. března 2026 — Rozhodnutí + opatření Žádost o povolení vyhrazeného parkoviště pro vozidlo osoby ZTP

1Body jednání
1
Vyhrazené parkoviště pro vozidlo osoby ZTP v ulici V Horní Stromce
Rozhodnutí a opatření obecné povahy o povolení vyhrazeného parkovacího místa pro vozidlo osoby **ZTP** v ulici **V Horní Stromce** na **Praze 3**. Součástí dokumentace je koordinační výkres (situační plán) dopravního značení a parkovacích stání.
Rozhodnutí: Schválení povolení vyhrazeného parkoviště pro vozidlo osoby **ZTP**.
2Dokumenty
1Obrázky
Volná místa

20. března 2026 — VŘ 13 OOS - ref. OS

1Body jednání
1
Výběrové řízení: referent/ka oddělení správního odboru občansko správního
**Městská část Praha 3** vyhlašuje výběrové řízení na obsazení pracovního místa **referent/ka oddělení správního odboru občansko správního**. Místem výkonu práce je **Praha 3**. Nabízená platová třída je **10** s rozpětím **27 030 Kč** až **38 990 Kč** a možností osobního příplatku ve výši **4 000 Kč** až **17 000 Kč**. Hlavní náplní práce je projednávání přestupků a rozhodování o nich. Požadováno je **vysokoškolské nebo vyšší odborné vzdělání** (právní zaměření výhodou). Přihlášky je nutné podat nejpozději do **20. 3. 2026** na adresu **Havlíčkovo náměstí 700/9, Praha 3**, případně elektronicky.
1Dokumenty
Stavební řízení

20. března 2026 — Městská část Praha 3 - Jednotné environmentální stanovisko (§ 6 zákon č. 148/2023 Sb.) -P3

1Body jednání
1
Nové veřejné schodiště, veřejné osvětlení a plynová přípojka v ulici Jeronýmově
Jedná se o záměr zbudování nového veřejného schodiště v ulici **Jeronýmova** na **Praze 3 – Žižkov**, které propojí spodní část Žižkova s cyklostezkou pod vrchem **Vítkov**. Stavba zahrnuje železobetonové monolitické schodiště se žulovými stupni, instalaci **veřejného osvětlení**, vybudování **plynové přípojky**, kanalizační přípojky a přeložku telekomunikačních kabelů. Součástí projektu je také odvodnění pomocí nové uliční vpusti a drenáže. Záměr se dotýká pozemků parc. č. **4435/28**, **526** a **528** v k. ú. **Žižkov**. Realizace si vyžádá kácení drobné vegetace a následné sadovnické úpravy okolních svahů.
Rozhodnutí: Vydáno **souhlasné jednotné environmentální stanovisko** (JES). Záměr je z hlediska vlivů na všechny dotčené složky životního prostředí (odpady, ochrana vod, ochrana přírody) **přípustný**.
1Dokumenty
Stavební řízení

20. března 2026 — Ing.arch. Tomáš Stránský - Jednotné enviromentální stanovisko - anonymizace

1Body jednání
1
Adaptace RD Žižkov - Jednotné environmentální stanovisko
Odbor ochrany životního prostředí ÚMČ Praha 3 vydal souhlasné jednotné environmentální stanovisko (JES) k záměru **Adaptace RD Žižkov**. Předmětem jsou stavební úpravy a přístavba stávajícího rodinného domu v ulici **Za Žižkovskou vozovnou 1403/03** v **k.ú. Žižkov** na pozemcích **parc. č. 3755** a **3756**. Projekt zahrnuje změnu dispozic, využití půdy, energetickou optimalizaci a rekonstrukci vodovodní přípojky. Dešťové vody budou zachytávány do podzemní akumulační nádrže o objemu **8 m3** s bezpečnostním přepadem do vsakovacího objektu o objemu **9 m3**.
Rozhodnutí: Úřad vydal **souhlasné** jednotné environmentální stanovisko. Záměr je z hlediska vlivů na životní prostředí přípustný. Platnost stanoviska je stanovena na 5 let.
1Dokumenty
Záměry obce

20. března 2026 — Záměr pronájmu - stavba bez č.p., Kostnické nám. 1, Šimonova společnost s.r.o.

1Body jednání
1
Záměr pronájmu - stavba bez č.p., Kostnické nám. 1, Šimonova společnost s.r.o.
Městská část Praha 3 zveřejňuje záměr pronájmu nebytového prostoru – **stavby bez č.p./č.ev.** o výměře **124,73 m2**, která je součástí pozemku **parc. č. 630/3** v **k.ú. Žižkov** na adrese **Kostnické nám. 1**, Praha. Záměrem je pronájem pro **Šimonovu společnost s.r.o.** (IČO 14143046) na dobu určitou **5 let**. Navržené sezónní nájemné (v období od 1. března do 31. října) činí **26.000 Kč/měsíc** (odpovídá **2.501,40 Kč/m2/rok**). V mimosezónním období je navrženo snížení nájemného na polovinu, tedy **13.000 Kč/měsíc**. K záměru je možné se vyjádřit písemně do **07.04.2026**.
1Dokumenty