Věci Obecní

Detail

Dokument

Praha 4

Hlavní město Praha

Dražby a exekuce

10. března 2026 — Dražební vyhláška nemovitostí, povinný: GoldenSreen s.r.o., WESTER INVEST SEVER s.r.o.

1Body jednání
1
Dražební vyhláška nemovitostí - GoldenScreen s.r.o.
Soudní exekutor **Mgr. Petr Pelikán** vyhlašuje elektronickou dražbu nemovitostí povinných **GoldenScreen s.r.o.** (sídlem **Na Pankráci 310/60, Praha**) a **VESTER INVEST SEVER s.r.o.** (sídlem **Na Pankráci 310/60, Praha**). Předmětem dražby jsou pozemky **parc. č. 303/1, 303/35, 303/36, 306/6, 303/39 a 305/15** včetně příslušenství (inženýrské sítě, porosty). Výsledná cena dražených věcí je **88 700 000 Kč**, nejnižší podání je stanoveno na **59 133 327 Kč**. Dražební jistota činí **5 000 000 Kč**. Dražba se koná na portálu **www.exdrazby.cz** dne **10. 3. 2026** od **13:00 hod**.
1Dokumenty
Doprava

10. března 2026 — Pikrtova,VERTIKAL PLUS s.r.o.,PROZNAK Praha, s.r.o.,zařízení staveniště,autojeřáb

1Body jednání
1
Dočasné dopravní omezení v ulici Pikrtova, Praha 4
Odbor dopravy stanovuje přechodnou úpravu provozu v ulici **Pikrtova** v **Praze 4**. Důvodem je umístění zařízení staveniště a autojeřábu za účelem výměny poškozených skel na přilehlé budově (**ENTERPRISE Praha**). Opatření zahrnuje instalaci přechodného dopravního značení, zúžení vozovky a krátkodobé omezení parkování v místě prací. Žadatelem je **VERTIKAL PLUS s.r.o.** se sídlem **Rybkova 23, Brno**, zastoupený společností **PROZNAK Praha, s.r.o.** se sídlem **Pikovická 244/17, Praha 4**. Práce budou probíhat ve dnech **10. 03. 2026** a **11. 03. 2026** v čase od **7:00 do 16:00 hod.** Součástí opatření jsou dotčené pozemky v okolí ulice **Pikrtova**, konkrétně parcely **parc. č. 3142/3, 2831/2, 2831/1, 2824, 1699, 1312, 2804/35, 2825, 2820, 2821, 1340, 2826, 1313, 2816, 2817, 2804/38, 2804/1, 2804/51, 2827, 1314, 2814, 2828, 1315, 2812, 2813, 2830, 3142/5, 1724, 2809, 2838/9, 2808/2, 2808/1, 2838/22, 2838/78, 3132/1, 1316, 2810, 2815, 3180/1, 2804/4, 2822, 2804/8, 3142/19**.
Rozhodnutí: Odbor dopravy **stanovuje** přechodnou úpravu provozu na pozemních komunikacích v **ulici Pikrtova**. Opatření obecné povahy nabývá účinnosti pátým dnem po dni vyvěšení veřejné vyhlášky.
2Dokumenty
Ostatní

10. března 2026 — Oznámení o přerušení dodávky elektřiny - ul. Dvouramenná, Nad Cihelnou, Za Pekařkou

1Body jednání
1
Oznámení o přerušení dodávky elektřiny - Dvouramenná, Nad Cihelnou, Za Pekařkou
Společnost **PREdistribuce, a.s.** oznamuje plánované přerušení dodávky elektřiny dne **10. 03. 2026** v čase od **08:00 do 13:00 hod.** z důvodu prací na distribuční soustavě. Omezení se týká odběrných míst na adresách: **Dvouramenná 450/9, 207/7, 213/5, 211/3**, **Nad cihelnou 211/37, 213/35, 333/33, 493/31** a **Za Pekařkou 493/2**. Práce provádí společnost **FOR ENERGY s.r.o.** (odpovědná osoba **Pavel Foubík**).
1Dokumenty
Stavební řízení

10. března 2026 — vyrozumění o zahájení řízení - stanoviska: odstranění stavby rodinného domu č.p. 985

1Body jednání
1
Odstranění stavby rodinného domu č.p. 985, ul. Psohlavců, k.ú. Braník
Oznámení o zahájení řízení o povolení odstranění stavby **rodinného domu č.p. 985** v ulici **Psohlavců 66**, **Praha 4-Braník**. Stavba se nachází na pozemku **parc. č. 2410/2** v **k.ú. Braník** na nároží ulic **Psohlavců** a **Poberova**. Součástí záměru je rovněž odstranění zpevněných ploch na pozemku **parc. č. 2410/1** v **k.ú. Braník**. Žádost o odstranění stavby podal **Vojtěch Grünner** prostřednictvím zástupce **Petra Purketa**. Účastníci řízení mohou uplatnit své námitky do **15 dnů** od doručení vyrozumění.
1Dokumenty
Stavební řízení

10. března 2026 — vyrozumění o zahájení řízení - stanoviska: Revitalizace Roztylského náměstí sever

1Body jednání
1
Vyrozumění o zahájení řízení: Revitalizace Roztylského náměstí sever
Oznámení o zahájení řízení o změně povolení záměru **„Revitalizace Roztylského náměstí sever“** na **Roztylském náměstí** v **Praze 4**. Stavebníkem je **Městská část Praha 4**. Navrhovaná změna spočívá v prodloužení doby trvání dočasných staveb zařízení staveniště až do **27. 2. 2028**. Záměr se týká pozemků **parc. č. 5721/5, 5721/87, 5721/88, 5721/89, 5721/116** v **k.ú. Záběhlice**. Účastníci řízení a dotčené orgány mohou uplatnit svá vyjádření a námitky do **15 dnů** od doručení vyrozumění.
1Dokumenty
Doprava

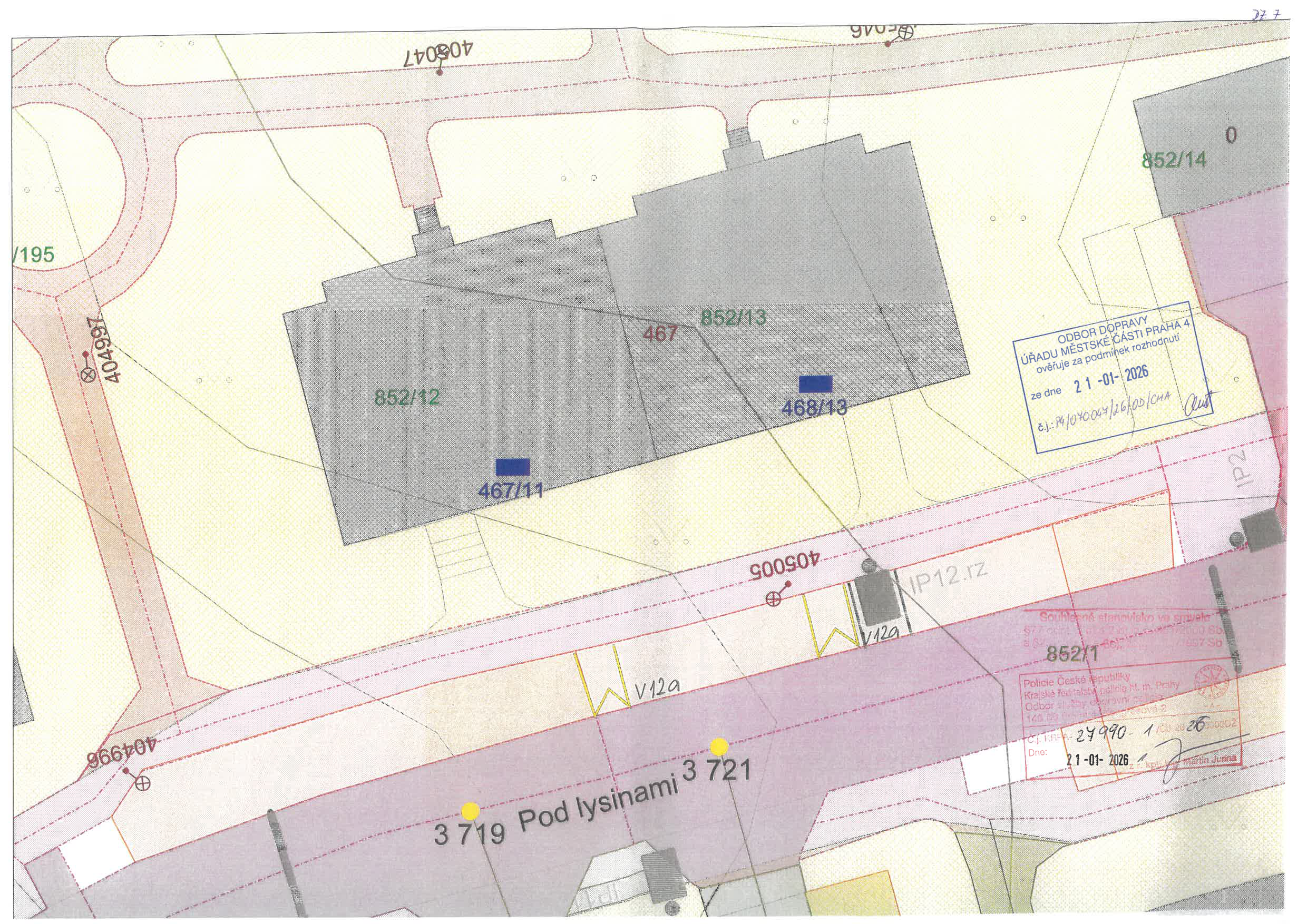
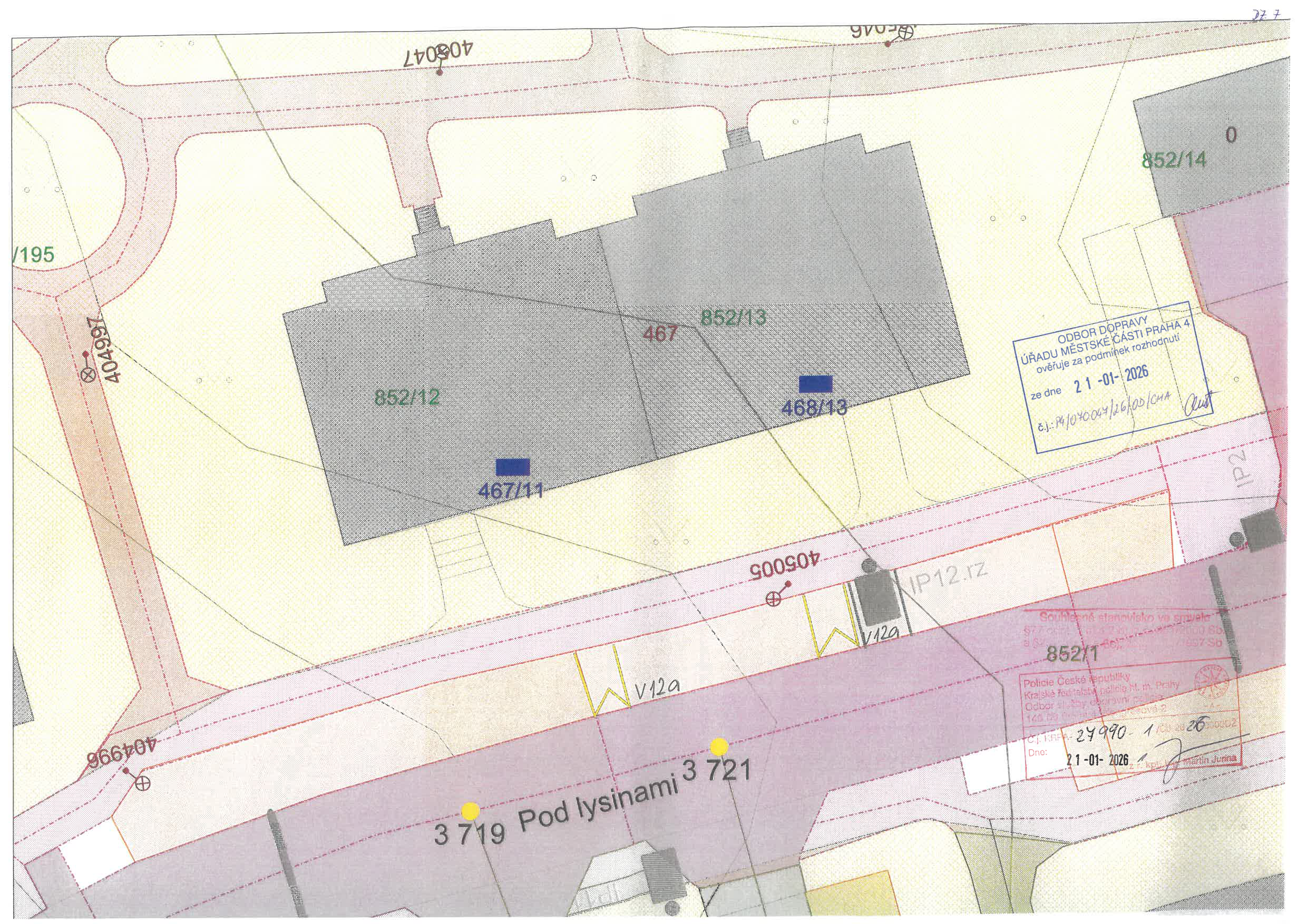
10. března 2026 — DZ.7 - Podání-Žádost o stanovení přechodné nebo místní úpravy k.ú. Hodkovičky 467/11

1Body jednání
1
Stanovení místní úpravy provozu v ulici Pod Lysinami
Odbor dopravy Úřadu městské části Praha 4 stanovil **trvalou místní úpravu provozu** na místní komunikaci v ulici **Pod Lysinami** v katastrálním území **Hodkovičky**. Úprava spočívá v instalaci vodorovného dopravního značení **V12a** (zákaz zastavení a stání), které bude umístěno před vjezdem k objektu č. p. **467/11** (konkrétně garáž **č. p. 467/201**). Toto opatření má zajistit plynulý vjezd a výjezd z garáže.
Rozhodnutí: Úřad městské části Praha 4 **vydal opatření obecné povahy**, kterým podle zákona o silničním provozu **stanovil místní úpravu provozu** spočívající v umístění dopravního značení **V12a** před vjezdem u objektu **Pod Lysinami 467/11**.
2Dokumenty
1Obrázky
Doprava

10. března 2026 — DZ.4 - Podání - žádost o stanovení místní úpravy P4, Pod Lysinami 469

1Body jednání
1
Stanovení místní úpravy provozu v ulici Pod Lysinami
Úřad městské části Praha 4 vydal opatření obecné povahy o stanovení trvalé místní úpravy provozu na místní komunikaci v ulici **Pod Lysinami 469/15** v katastrálním území **Hodkovičky**. Úprava spočívá v umístění vodorovného dopravního značení **V12a** (zákaz zastavení a stání) před vjezdem do **garáže č. p. 469/201**. Realizace bude provedena bezodkladně po nabytí účinnosti opatření.
Rozhodnutí: Úřad městské části Prahy 4, odbor dopravy, **vydává opatření obecné povahy** a **stanovuje místní úpravu provozu** spočívající v umístění dopravního značení **VDZ V12a** před vjezdem na pozemní komunikaci **Pod Lysinami 469/15**.
2Dokumenty
1Obrázky
Doprava

10. března 2026 — Výzva a Stanovení místní úpravy provozu - ul. Mezivrší, k.ú. Braník

1Body jednání
1
Návrh stanovení místní úpravy provozu v ul. Mezivrší (zřízení přechodu)
Oznámení o návrhu opatření obecné povahy týkající se stanovení místní úpravy provozu v ulici **Mezivrší**, v katastrálním území **Braník**. Návrh řeší zřízení **dočasného přechodu pro chodce** (vodorovné značení V 7a, svislé IP6 a hmatové prvky pro nevidomé) v místě křižovatky s ulicí **Nad vinohradem**, na pozemku **parc. č. 2869/2**. Tento dočasný přechod má zajistit bezpečnější spojení k přilehlé **ZŠ Mezivrší** do doby celkové rekonstrukce komunikace. Návrh rovněž obsahuje zrušení stávajícího vodorovného značení stop čáry a piktogramů chodce. Dotčené osoby mohou k návrhu podávat připomínky nebo námitky ve lhůtě 30 dnů od zveřejnění.
2Dokumenty
1Obrázky
Ostatní

9. března 2026 — Oznámení o možnosti vyzvednout odstraněné vozidlo zn. Ford, RZ: 8AD3314, povinný: Zbyněk Mikulič

1Body jednání
1
Oznámení o možnosti vyzvednout odstraněné vozidlo zn. Ford, RZ: 8AD3314
Správa služeb hl. m. Prahy oznamuje provozovateli, kterým je **Zbyněk Mikulič**, možnost vyzvednutí vozidla značky **Ford**, RZ: **8AD3314**, VIN: **WF0NXXGCDN3E07645**. Vozidlo bylo dne **09. 03. 2026** odstraněno z veřejné komunikace v lokalitě **Praha 4, v ulici Družstevní ochoz 1308/5** a je nyní odstaveno na **odtahovém parkovišti SSHMP ulice V Lužích – Písnice**. Provozovatel je vyzván k vyzvednutí vozidla a úhradě nákladů: - **3 800 Kč** za odtah vozidla. - **500 Kč** za každý započatý den střežení (do 180. dne). - **50 Kč** za každý další započatý den. Pokud nebude vozidlo vyzvednuto do **3 měsíců** od doručení oznámení, bude podán návrh na jeho prodej ve **veřejné dražbě**.
1Dokumenty
Doprava

9. března 2026 — Maroldova,RE IN s.r.o.,SVJ domu č.p. 1147,Lucie Hauzerová,lešení,st. výtah,ohrada

1Body jednání
1
Stanovení přechodné úpravy provozu - ulice Maroldova, Praha 4
Odbor dopravy stanovuje přechodnou úpravu provozu v **ulici Maroldova** v **Praze 4** z důvodu umístění **zařízení staveniště**, **lešení** a **stavebního výtahu**. Stavební práce budou probíhat u objektu **č.p. 1147/6**. Žadatelem je společnost **RE IN s.r.o.** se sídlem **Náměstí obětí nacismu 646, Mladá Vožice**. Zábor komunikace (parkovací místa a část chodníku) je naplánován na termín od **09.03.2026** do **09.06.2026**. Součástí opatření je osazení dopravního značení **B 28**, **E 13**, **E 8d**, **E 8c**, **C 4a**, **Z 4b** a **A 15**.
Rozhodnutí: Odbor dopravy **stanoví** přechodnou úpravu provozu na pozemních komunikacích v **ulici Maroldova**, Praha 4, v termínu od **09.03.2026** do **09.06.2026** dle schválené situace.
2Dokumenty
Doprava

9. března 2026 — Na Jezerce,TSK hl. m. Prahy, a.s.,CH Vodní stavby, a.s.,oprava ul. vpusti a odvodnění

1Body jednání
1
Přechodná úprava provozu - Na Jezerce, Soudní
Odbor dopravy **Praha 4** stanovuje přechodnou úpravu provozu v ulicích **Na Jezerce** a **Soudní** z důvodu opravy uliční vpusti a odvodnění. Stavební práce budou probíhat v termínu od **09.03.2026** do **12.04.2026**. Opatření zahrnuje **zúžení vozovky**, **posun autobusové zastávky** MHD, realizaci **náhradního přechodu pro chodce** a osazení svislého dopravního značení. Dotčené pozemky dle situace zahrnují parcely **767/5, 767/8, 768/7, 768/10, 768/21, 740/18, 741/19, 741/20, 1032/3, 1033/5, 1033/7, 1033/17, 1047/4** v blízkosti ulic **U Libušiných lázní**, **V zálomu**, **K ochozu** a **Družstevní ochoz**.
Rozhodnutí: Odbor dopravy **stanoví** přechodnou úpravu provozu na pozemních komunikacích v ulicích **Na Jezerce** a **Soudní** v termínu **09.03.2026 – 12.04.2026**.
2Dokumenty
Doprava

9. března 2026 — DZ.5 - Podání - žádost o stanovení místní úpravy P4, Pod Lysinami 471/19

1Body jednání
1
Stanovení místní úpravy provozu v ulici Pod Lysinami
Úřad městské části Praha 4 stanovuje trvalou místní úpravu provozu na místní komunikaci v ulici **Pod Lysinami** u objektu č.p. **471/19** (garáž č. p. **471/203**) v katastrálním území **Hodkovičky**. Úprava spočívá v umístění vodorovného dopravního značení **V12a** (žlutá klikatá čára), které vyznačuje zákaz zastavení a stání před vjezdem do garáže za účelem zajištění bezpečnosti a plynulosti provozu.
Rozhodnutí: Úřad městské části Praha 4 **vydává opatření obecné povahy**, kterým **stanovuje místní úpravu provozu** na předmětné komunikaci spočívající v instalaci dopravního značení **V12a**.
2Dokumenty
1Obrázky
Doprava

9. března 2026 — DZ.3 -Podání - žádost o stanovení místní úpravy P4, Pod Lysinami 470

1Body jednání
1
Stanovení místní úpravy provozu v ulici Pod Lysinami
Úřad městské části Praha 4 vydal opatření obecné povahy o stanovení místní úpravy provozu na místní komunikaci v ulici **Pod Lysinami 470/17** (garáž **č. p. 470/202**) v katastrálním území **Hodkovičky**. Úprava spočívá v umístění vodorovného dopravního značení **VDZ V12a** (žlutá čára zakazující zastavení a stání) před vjezdem do garáže. Změna je realizována na základě žádosti **Stavebního bytového družstva Praha 5** za účelem zajištění volného výjezdu.
Rozhodnutí: Silniční správní úřad Prahy 4 **vydal** opatření obecné povahy pro stanovení místní úpravy v navrženém rozsahu. Realizace dopravního značení bude provedena bezodkladně po nabytí účinnosti opatření.
2Dokumenty
1Obrázky
Stavební řízení

9. března 2026 — rozhodnutí - prodloužení platnosti rozhodnutí: Výstavba trasy I. D metra v Praze, provozní úsek Pank

1Body jednání
1
Prodloužení platnosti povolení pro výstavbu metra I. D (Pankrác - Nové Dvory)
Dopravní a energetický stavební úřad rozhodl o prodloužení platnosti stavebního povolení pro strategickou stavbu **Výstavba trasy I. D metra v Praze, provozní úsek Pankrác - Nové Dvory**. Prodloužení se týká objektů zařízení staveniště **NAK1, NAK2, NAK3, NAK5, NAK7, NEK1, ND1, ND2, ND3, ND4 a REZ**. Stavba se dotýká rozsáhlého území v katastrálních územích **Písnice**, **Krč**, **Lhotka** a **Kunratice**. K prodloužení dochází z důvodu, že dosud nebyl vybrán zhotovitel stavby. Povolení se prodlužuje o **2 roky**.
Rozhodnutí: Stavební úřad **prodlužuje o 2 roky** ode dne nabytí právní moci tohoto rozhodnutí platnost stavebního povolení č.j. **MHMP 1750386/2023** ze dne **11.9.2023** na stavbu **Výstavba trasy I. D metra v Praze, provozní úsek Pankrác - Nové Dvory**.
1Dokumenty
Doprava

9. března 2026 — DZ.6 - Podání-Žádost o stanovení přechodné nebo místní úpravy k.ú. Hodkovičky

1Body jednání
1
Stanovení místní úpravy provozu v ulici Pod Lysinami, Praha 4 - Hodkovičky
Opatření obecné povahy o stanovení místní úpravy provozu na místní komunikaci v ulici **Pod Lysinami 468/13** v katastrálním území **Hodkovičky**. Úprava spočívá v umístění vodorovného dopravního značení **VDZ V12a** (zákaz zastavení a stání) před vjezdem do garáže (identifikované jako **468/202**). Žadatelem je **Hana Borovková**. Realizace bude provedena trvale po nabytí účinnosti opatření.
Rozhodnutí: Úřad městské části Prahy 4, odbor dopravy, **vydává opatření obecné povahy** – stanovení místní úpravy provozu na místní komunikaci spočívající v umístění dopravního značení **VDZ V12a** před vjezdem v ulici **Pod Lysinami 468/13**.
2Dokumenty
1Obrázky
Veřejné vyhlášky

9. března 2026 — Veřejná vyhláška - upozornění na nedoplatek - Mondri Petr

1Body jednání
1
Veřejná vyhláška - upozornění na nedoplatek - Petr Mondri
Úřad městské části Praha 6 oznamuje uložení písemnosti pro adresáta **Petr Mondri** (nar. 19.04.1995), bytem **Antala Staška 2059/80b, 140 00 Praha 4**. Písemnost č.j. **MCP6 0137150/2026** ze dne **04.03.2026** je uložena na Úřadu městské části Praha 6, **Čs. armády 601/23**. Pokud nebude vyzvednuta do 15 dnů od vyvěšení, považuje se za doručenou.
1Dokumenty
Veřejné vyhlášky

9. března 2026 — Oznámení o možnosti převzít písemnost - nedoplatek - Mondri Petr

1Body jednání
1
Oznámení o možnosti převzít písemnost - Petr Mondri
Veřejná vyhláška o uložení písemnosti (č. j. **MCP6 0137150/2026**) určené do vlastních rukou pro adresáta **Petr Mondri**, narozeného **19.04.1995**, s adresou **Antala Staška 2059/80b, 140 00 Praha 4**. Písemnost se týká místních příjmů (nedoplatku) a je uložena k vyzvednutí na **Úřadu městské části Praha 6**, ekonomický odbor, **Čs. armády 601/23, Praha 6**, č. dveří 510. Patnáctým dnem po vyvěšení se písemnost považuje za doručenou.
1Dokumenty
Doprava

7. března 2026 — Podání- Žádost o povolení zvl. užívání místní komunikace k.ú. Záběhlice

1Body jednání
1
Stanovení přechodné úpravy provozu - Farmářské trhy Roztylské náměstí
Odbor dopravy **Prahy 4** stanovuje přechodnou úpravu provozu na pozemních komunikacích v lokalitě **Roztylské náměstí**, **k.ú. Záběhlice**, za účelem konání **Farmářských trhů**. Úprava zahrnuje umístění dopravního značení (**B 1**, **B 28** s dodatkovými tabulkami) v termínu od **07. 03. 2026** do **19. 12. 2026**, a to **pouze v soboty**. Žadatelem je spolek **POD PLATANY z.s.** se sídlem **Na lysině 1063/7**, **Praha 4 - Podolí**.
Rozhodnutí: Odbor dopravy **stanoví** přechodnou úpravu provozu na pozemních komunikacích v **Praze 4**, **Roztylské náměstí** v termínu **07. 03. 2026 - 19. 12. 2026 (pouze soboty)**.
1Dokumenty
Záměry obce

6. března 2026 — ZP P 1- zveřejnění - pozemku parc. č. 3105/15, k.ú. Michle

1Body jednání
1
Záměr prodeje pozemku parc. č. 3105/15 v k.ú. Michle
Městská část **Praha 4** zveřejňuje záměr prodeje pozemku **parc. č. 3105/15** o výměře **20 m2** (zastavěná plocha a nádvoří) v **k. ú. Michle**. Pozemek je zastavěn stavbou garáže jiného vlastníka. Minimální nabídková cena je stanovena na **66 600 Kč**. Zájemci musí složit kauci ve výši **9 990 Kč** na účet **6015-2000832359/0800** (VS 310515). Nabídky v zalepených obálkách s označením „Neotevírat – prodej pozemku parc. č. 3105/15 v k. ú. Michle“ se podávají na adresu **Antala Staška 2059/80b, 140 46, Praha 4**. Uzávěrka pro podání nabídek je **6. 3. 2026 ve 12:00 hod**.
1Dokumenty
Stavební řízení

6. března 2026 — Usnesení o přerušení odvolacího řízení - PARKOVACÍ DŮM BUDĚJOVICKÁ

1Body jednání
1
Přerušení odvolacího řízení - Parkovací dům Budějovická
Ministerstvo pro místní rozvoj rozhodlo o **přerušení odvolacího řízení** ve věci územního rozhodnutí o umístění stavby **„Parkovací dům Budějovická“** (dříve též „Parkovací pavilon Budějovická“). Předmětem záměru jsou pozemky **parc. č. 1588/1, 1588/9, 1588/34, 1588/37, 1588/39, 1588/40, 3217/1 a 3241** v katastrálním území **Krč**. Řízení se přerušuje z důvodu nutnosti doplnění stanovisek a vyjádření správců technických sítí ze strany žadatele, kterým je **Budějovická investiční fond s proměnným základním kapitálem, a.s.** Termín pro doplnění je stanoven do **30.06.2026**.
Rozhodnutí: Odvolací řízení se **přerušuje** do doby splnění výzvy k doplnění podkladů, nejpozději do **30.06.2026**.
1Dokumenty