Věci Obecní

Detail

Dokument

Praha 4

Hlavní město Praha

Dražby a exekuce

14. dubna 2026 — 236 EX 06501/13-630, dražební vyhláška MV - soubor obrazů

1Body jednání
1
Dražba souboru movitých věcí - soubor obrazů
Soudní exekutor **Mgr. Patrik Steiner** (Exekutorský úřad Praha - východ) nařizuje elektronickou dražbu souboru **3 obrazů** (obraz č. 4, č. 5 a č. 7) v rámci exekučního řízení proti povinnému **Miroslav Angelov Donchev**. Dražba se uskuteční dne **14. 4. 2026** od **14:00 hod.** na portálu **www.okdrazby.cz**. Výsledná cena draženého souboru movitých věcí byla určena na **117 000,00 Kč**. Nejnižší podání činí **39 000,00 Kč**. Dražební jistota není vyžadována.
1Dokumenty
Dražby a exekuce

14. dubna 2026 — 236 EX 06501/13-627, Dražební vyhláška MV - soubor obrazů

1Body jednání
1
Dražební vyhláška - soubor obrazů
Elektronická dražba souboru **tří obrazů** (položky č. 1, 3 a 8) v rámci exekuce vedené proti povinnému, kterým je **Miroslav Angelov Donchev**, bytem **Holátova 1068/3, Praha 5 - Košíře**. Dražba se koná dne **14. 4. 2026 v 10:00 hod.** na internetové adrese **www.okdrazby.cz**. Výsledná cena souboru věcí byla určena na **126 000,00 Kč**, přičemž nejnižší podání činí **42 000,00 Kč**. Vydražené věci si bude moci vydražitel převzít na adrese exekutorského úřadu **Michelská 1326/62, 140 00 Praha 4**.
Rozhodnutí: Soudní exekutor **nařizuje elektronickou dražbu** souboru movitých věcí.
1Dokumenty
Doprava

13. dubna 2026 — Zábor Kaplická, P4 - zásobování stavby pro revitalizaci objektu Pujmanové

1Body jednání
1
Zábor ulice Kaplická - zásobování stavby Pujmanové
Stanovení přechodné úpravy provozu v ulici **Kaplická**, Praha 4, na pozemku **parc. č. 1770/84 v k.ú. Podolí**. Zábor je určen pro zařízení staveniště a návoz materiálu v rámci revitalizace objektu v ulici **Pujmanové**. Omezení proběhne v termínu od **13.04.2026** do **11.10.2026**. Dle situačního výkresu se úprava dotýká prostoru u křižovatky s ulicí **Milevská**. Na místě bude umístěno přechodné dopravní značení (zákazy zastavení, výstražné značky).
Rozhodnutí: Odbor dopravy **stanovuje** přechodnou úpravu provozu na pozemních komunikacích.
2Dokumenty
1Obrázky
Doprava

13. dubna 2026 — Podání-Žádost o prodloužení záboru k.ú. Podolí

1Body jednání
1
Stanovení přechodné úpravy provozu v ulici Podolská
Odbor dopravy stanovil přechodnou úpravu provozu v ulici **Podolská č.p. 113/144** v **k.ú. Podolí**. Důvodem je umístění **kontejneru na stavební suť** do části vozovky. Opatření je platné v termínu od **13.04.2026** do **15.05.2026**. Žadatelem je společnost **Podolská 144 s.r.o.**
Rozhodnutí: Odbor dopravy **stanovuje** přechodnou úpravu provozu na pozemních komunikacích (umístění dopravního značení B28, E13, IP13c).
2Dokumenty
Veřejné vyhlášky

13. dubna 2026 — Veřejná vyhláška k nahlédnutí o vyměření místního poplatku za odpady rok 2025 - MMPr/043691/20269/OE

1Body jednání
1
Veřejná vyhláška o vyměření místního poplatku za odpady za rok 2025
Magistrát města **Přerov**, odbor ekonomiky, oznamuje zpřístupnění **hromadného předpisného seznamu č. 1/2026** (č.j. **MMPr/043690/2026/02/OE**) o vyměření místního poplatku za obecní systém odpadového hospodářství za rok **2025**. Seznam je k nahlédnutí v budově **Magistrátu města Přerova** na adrese **Bratrská 709/34, Přerov**, ve 2. patře, dveře č. 42, a to v termínu od **10. 4. 2026** do **11. 5. 2026**. Úřední hodiny pro nahlížení jsou stanoveny v pracovní dny. Za den doručení hromadného předpisného seznamu se považuje **11. 5. 2026**.
Rozhodnutí: Zpřístupnění hromadného předpisného seznamu č. 1/2026 o vyměření místního poplatku za obecní systém odpadového hospodářství za rok 2025.
1Dokumenty
2Obrázky
Doprava

13. dubna 2026 — Podání- Žádost o vydání povolení přechodné úpravy silničního provozu pro KÚK

1Body jednání
1
Přechodná úprava provozu - Komplexní údržba komunikací (KÚK) 2026
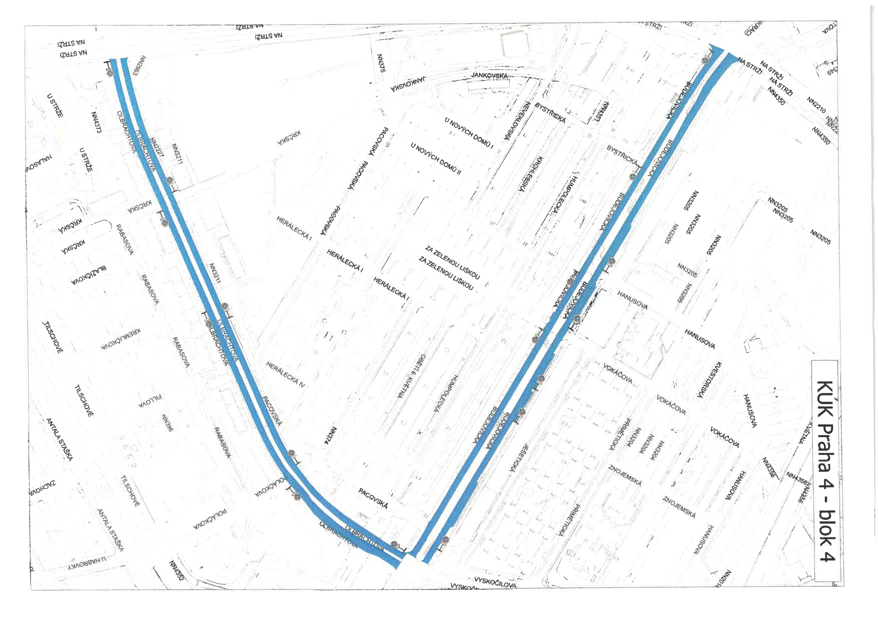
Oznámení o návrhu opatření obecné povahy pro stanovení přechodné úpravy provozu na pozemních komunikacích v **Praze 4** a **MČ Kunratice**. Změna spočívá v umístění dopravního značení **B28 (zákaz zastavení)** s dodatkovými tabulkami **E13**, **IZ 8a** a **IZ 8b** z důvodu **komplexní údržby komunikací (KÚK)**. Čištění a omezení parkování budou probíhat v období od **13. 4. 2026** do **29. 10. 2026** na místních komunikacích **II. a III. třídy**. Dotčené oblasti zahrnují katastrální území **Nusle**, **Vršovice**, **Podolí**, **Braník**, **Krč**, **Michle**, **Lhotka**, **Libuš**, **Kunratice** a **Spořilov**. Harmonogram čištění zahrnuje hlavní tahy i vedlejší ulice jako **Antala Staška**, **Jeremenkova**, **Budějovická**, **Vídeňská**, **Novodvorská**, **Modřanská**, **Vršovická**, **Moskevská**, **5. května**, **Na Strži**, **Štúrova**, **Zálesí**, **Branická** a mnoho dalších v rámci 45 definovaných bloků.
4Dokumenty
Ostatní

13. dubna 2026 — Výzva k odstranění vozidla z pozemní komunikace, zn: ŠKODA, RZ: 8UO6427

1Body jednání
1
Výzva k odstranění vozidla Škoda (RZ: 8U06427) z ulice Novodvorská
Správa služeb hlavního města Prahy vyzývá provozovatele vozidla značky **Škoda**, RZ: **8U06427**, VIN: **TMBPH16Y023417887**, které je odstaveno na pozemní komunikaci na adrese **Novodvorská 1081/92, Praha 4**. Vozidlo nesmí být provozováno z důvodu marného uplynutí lhůty pro provedení pravidelné technické prohlídky po dobu více než 6 měsíců. Provozovatel je povinen vozidlo odstranit do **2 měsíců** od doručení výzvy. V opačném případě bude vozidlo odstraněno vlastníkem komunikace na náklady provozovatele. Náklady na odtah činí **3 800 Kč** a parkovné na odtahovém parkovišti je **500 Kč za den**.
1Dokumenty
Doprava

13. dubna 2026 — Podání- Žádost o vydání povolení přechodné úpravy silničního provozu pro KÚK

1Body jednání
1
Stanovení přechodné úpravy provozu - komplexní údržba komunikací 2026
Odbor dopravy Úřadu městské části Praha 4 stanovuje **přechodnou úpravu provozu** na pozemních komunikacích v rámci **Městské části Praha 4** a **MČ Kunratice** z důvodu provádění **komplexní údržby komunikací (KÚK)** v roce 2026. Opatření spočívá v osazení přenosných dopravních značek **B 28 (Zákaz zastavení)** s dodatkovou tabulkou **E 13** s termínem platnosti. Tato úprava bude probíhat v termínu od **13.04.2026** do **29.10.2026** podle schváleného harmonogramu. Dotčeny jsou různé lokality včetně oblastí **Podolí**, **Pankrác**, **Nusle**, **Vršovice** a ulic **Budějovická** a **Olbrachtova**.
Rozhodnutí: Úřad městské části Praha 4 **stanovuje** přechodnou úpravu provozu a **rozhoduje** o dočasném zákazu stání vozidel na dotčených místních komunikacích z důvodu veřejného zájmu (údržba komunikací).
4Dokumenty
15Obrázky
Doprava

13. dubna 2026 — Hurbanova, Společenství pro dům Hurbanova 1181 - zařízení staveniště

1Body jednání
1
Stanovení přechodné úpravy provozu v ulici Hurbanova
Opatření obecné povahy týkající se stanovení přechodné úpravy provozu v ulici **Hurbanova**, v katastrálním území **Krč**. Jedná se o umístění svislého dopravního značení (B28 – zákaz zastavení s dodatkovými tabulkami) z důvodu záboru pro nakládku a vykládku stavebního materiálu. Akce souvisí se zateplením bytového domu na adrese **Hurbanova 1181/30**. Omezení je plánováno v termínu od **13. 04. 2026** do **16. 04. 2026**.
Rozhodnutí: Odbor dopravy Úřadu městské části Praha 4 **stanovuje** přechodnou úpravu provozu v ulici **Hurbanova** dle schválené situace.
2Dokumenty
1Obrázky
Doprava

11. dubna 2026 — Podání - Žádost o povolení záboru - U Michelského mlýna

1Body jednání
1
Přechodná úprava provozu v ulici U Michelského mlýna
Odbor dopravy ÚMČ Praha 4 stanovil přechodnou úpravu provozu v ulici **U Michelského mlýna** v katastrálním území **Michle**. Omezení spočívá v **uzavírce části komunikace** a osazení svislého dopravního značení z důvodu **montáže dvou stavebních jeřábů** pro stavbu bytového domu. Žadatelem je společnost **ČECH & SYN stavební společnost a.s.** Omezení proběhne v následujících termínech: **11. 04. 2026 – 12. 04. 2026**, **18. 04. 2026 – 19. 04. 2026** a **25. 04. 2026 – 26. 04. 2026**.
Rozhodnutí: Byla stanovena přechodná úprava provozu (uzavírka a přechodné dopravní značení) v ulici **U Michelského mlýna**.
2Dokumenty
Doprava

11. dubna 2026 — Na Vítězné pláni,Na Květnici,SILVERSHOT s.r.o.,TV tvorba,parkování techniky

1Body jednání
1
Stanovení přechodné úpravy provozu v ulicích Na Vítězné pláni a Na Květnici
Odbor dopravy stanovuje přechodnou úpravu provozu v ulicích **Na Vítězné pláni** a **Na Květnici** v **Praze 4**. Důvodem je audiovizuální tvorba (natáčení) a parkování techniky filmového štábu pro žadatele **SILVERSHOT s.r.o.** (IČ: **28375521**). Opatření spočívá v osazení přechodného dopravního značení **B28 (zákaz zastavení)** s dodatkovou tabulkou **„MIMO FILM“**. Omezení je platné dne **11.04.2026** v čase od **7:00 do 22:00 hod.**
Rozhodnutí: Odbor dopravy **stanovuje** přechodnou úpravu provozu na pozemních komunikacích v Praze 4 v ulicích **Na Vítězné pláni** a **Na Květnici** za účelem parkování techniky a natáčení.
2Dokumenty
Volná místa

10. dubna 2026 — OZNÁMENÍ - referent/referentka oddělení sociálně právní ochrany dětí v odboru sociálním

1Body jednání
1
Referent/referentka oddělení sociálně právní ochrany dětí
Městská část Praha 4 vypisuje výběrové řízení na pozici **referent/referentka oddělení sociálně právní ochrany dětí v odboru sociálním**. Jedná se o pracovní poměr na dobu určitou s místem výkonu práce v **Praze**. Nabízené platové podmínky odpovídají **platové třídě 11** dle nařízení vlády č. 341/2017 Sb., přičemž výše zaručeného platu činí **35 840 Kč**. Požadováno je vzdělání zaměřené na sociální práci, sociální politiku, právo či speciální pedagogiku. Mezi benefity patří 5 týdnů dovolené, stravenky v hodnotě **170 Kč** a **možnost profesního bydlení**. Přihlášky je nutné doručit nejpozději do **10. 04. 2026 do 13.00 h** na adresu **Antala Staška 2059/80b, 140 46 Praha 4** nebo do datové schránky **ergbrf7**.
1Dokumenty
Doprava

10. dubna 2026 — OOP-VÝZVA-ul. JALODVORSKÁ- TSK HMP, a.s.

1Body jednání
1
Návrh stanovení místní úpravy provozu - ulice Jalodvorská
Oznámení o návrhu opatření obecné povahy pro stanovení místní úpravy provozu v ulici **Jalodvorská**, **k.ú. Krč**, v místě křižovatky s ulicí **Lukešova** na pozemku **parc. č. 3298**. Úprava spočívá v zabezpečení stávajícího přechodu pro chodce instalací nového svislého dopravního značení (**A 7b**, **B 20a** s omezením rychlosti na **30 km/h**) a dopravního zařízení **Z 12**. V obou jízdních pruzích bude ve vzdálenosti **1 m** před přechodem umístěn **zpomalovací polštář** o rozměrech **6,5 x 200 x 180 cm**. Připomínky nebo námitky k návrhu lze uplatnit do **30 dnů** od jeho zveřejnění.
2Dokumenty
Doprava

10. dubna 2026 — Nad Šeberákem - žádost OOP nový přechod pro chodce

1Body jednání
1
Zřízení nového přechodu pro chodce v ulici Nad Šeberákem
Úřad městské části Praha 4 vydal opatření obecné povahy o stanovení místní úpravy provozu v ulici **Nad Šeberákem** v **Praze 4 - Kunraticích**. Předmětem je zřízení nového přechodu pro chodce (vodorovné značení **V7a** a svislé značení **IP6**) v rámci rekonstrukce chodníku. Úprava se dotýká lokality u křižovatky s ulicí **Úhlová** a pozemků parc. č. **1496/26** a **496/29** v k.ú. **Kunratice**.
Rozhodnutí: Úřad městské části Praha 4 **vydává** opatření obecné povahy, kterým se stanovuje místní úprava provozu spočívající ve zřízení nového přechodu pro chodce.
2Dokumenty
Doprava

10. dubna 2026 — Krále Václava IV žádost OOP vyhrazené parkování

1Body jednání
1
Stanovení místní úpravy provozu v ulici Krále Václava IV
Opatření obecné povahy stanovuje místní úpravu provozu na pozemní komunikaci v ulici **Krále Václava IV** v **Praze 4 - Kunraticích**. Úprava zahrnuje osazení svislého dopravního značení **B28** (zákaz zastavení) s dodatkovými tabulkami **E8a** a **E8c** v úseku od ulice **Fadějevova**. Cílem je zamezit nežádoucímu parkování na zelených plochách a odvodňovacích dlaždicích. Dále bude zřízeno vyhrazené stání pro zásobování pomocí značek **IP12** a **E13** s textem **2x MIMO ZÁSOBOVÁNÍ MAX 15 MINUT** a vodorovného značení **V10e**, což zajistí manipulační prostor pro přilehlé provozovny.
Rozhodnutí: Úřad městské části Prahy 4, odbor dopravy, **vydává opatření obecné povahy** stanovení místní úpravy na pozemních komunikacích v ulici **Krále Václava IV**.
2Dokumenty
Doprava

10. dubna 2026 — Menedíků žádost zábor demontáž jeřábu

1Body jednání
1
Stanovení přechodné úpravy provozu v ulici Mendíků
Odbor dopravy stanovil přechodnou úpravu provozu na pozemních komunikacích v Praze 4 v ulici **Mendíků**. Důvodem je **demontáž stavebního jeřábu** u projektu **Residence Mendíků**. Opatření si vyžádá osazení svislého dopravního značení, **vyparkování vozidel** (zákaz zastavení) a **snížení průjezdnosti** komunikace. Realizace proběhne v termínu od **10. 04. 2026** do **11. 04. 2026**.
Rozhodnutí: Odbor dopravy **stanovuje** přechodnou úpravu provozu na pozemních komunikacích v ulici **Mendíků** dle schválené situace.
2Dokumenty
Ostatní

9. dubna 2026 — Oznámení o přerušení dodávky elektřiny - ul. Na Zámecké

1Body jednání
1
Oznámení o přerušení dodávky elektřiny - ul. Na Zámecké
Z důvodu plánovaných prací na zařízení distribuční soustavy společnosti **PREdistribuce, a.s.** dojde k přerušení dodávky elektřiny v ulici **Na Zámecké** v městské části **Praha 4**. Omezení se týká objektů s čísly popisnými **597**, **1518** a **574**. Odstávka je naplánována na čtvrtek **9.4.2026** v čase od **8:30** do **16:00** hodin. Práce realizuje firma **Kormak Praha a.s.** pod vedením pana **Mariána Zuščíka**.
1Dokumenty
Záměry obce

9. dubna 2026 — Zveřejnění podstatné náležitosti nájemní smlouvy - NP č. 802 v domě Táborská 378/44, Praha 4

1Body jednání
1
Záměr změny nájemní smlouvy - NP č. 802, Táborská 378/44
Městská část Praha 4 zveřejňuje záměr změny nájemní smlouvy č. **SML/2021/0805/OOM** na pronájem nebytového prostoru **č. 802** v domě **č. p. 378**, ul. **Táborská 44**, katastrální území **Nusle**. Změna spočívá v souhlasu s postoupením nájemní smlouvy z dosavadního nájemce **Ing. Richarda Augustina** na nového nájemce **WORLD HOME s.r.o.** a v rozšíření předmětu podnikání o **realitní zprostředkování**, **správu a údržbu nemovitostí**, **poradenskou činnost** a další služby. Připomínky k tomuto záměru lze zasílat na Úřad městské části Praha 4 nejpozději do **27. 4. 2026**.
Rozhodnutí: Rada městské části Praha 4 usnesením č. **7R-196/2026** ze dne **25. 3. 2026** schválila záměr změny podstatné náležitosti nájemní smlouvy.
1Dokumenty
Doprava

9. dubna 2026 — OOP- ul. Jivenská- Adamovská-nové dopravní úpravy -TSK-2026

1Body jednání
1
Návrh dopravních úprav v ulicích Jivenská a Adamovská
Oznámení o návrhu opatření obecné povahy pro stanovení trvalé místní úpravy provozu v ulicích **Jivenská** a **Adamovská** v **k.ú. Michle**. Změny mají zajistit lepší dostupnost společné stezky pro chodce a cyklisty a zvýšit bezpečnost v daném úseku. Návrh zahrnuje: - Vyznačení a propojení vodorovného dopravního značení **V 12c** (žlutá čára) mezi modrou zónu a stávající značení. - Přesun svislého dopravního značení **C9a** a **C9b** (stezka pro chodce a cyklisty) na nové sloupky blíže k vozovce. - Montáž **2 kusů pružných šedých sloupků** (např. typ Portugal). Úpravy se dotýkají pozemků v **k.ú. Michle**, konkrétně parcel č. **3200/1**, **3200/4**, **1020/1**, **1020/2**, **1020/3**, **1064/12**, **727/5**, **1019**, **1032**, **1033**, **1064/7**, **2943/5** a **1065/10**. Připomínky nebo námitky k návrhu lze uplatnit do 30 dnů od jeho zveřejnění.
2Dokumenty
Stavební řízení

9. dubna 2026 — kolaudační rozhodnutí: změna stavby bytového domu č.p. 1495 v ul. Nuselská, Praha 4 - Nusle,

1Body jednání
1
Kolaudační rozhodnutí: změna stavby bytového domu č.p. 1495, Nuselská, Praha 4 - Nusle
Stavební úřad vydal kolaudační rozhodnutí pro stavbu **změna stavby bytového domu č.p. 1495** v ulici **Nuselská**, **Praha 4 - Nusle**. Stavba se nachází na pozemku **parc. č. 2315** v **k.ú. Nusle**. Stavební úpravy spočívaly v **zateplení uliční a dvorní části stavby**. Stavebníkem je **Společenství vlastníků domu Nuselská 1495/64**. Rozhodnutí bylo vydáno na základě závěrečné kontrolní prohlídky konané dne **9.4.2026**.
Rozhodnutí: Stavební úřad **povoluje užívání** stavby.
1Dokumenty