Věci Obecní

Detail

Dokument

Praha

Hlavní město Praha

Mariánské náměstí 2, 11000 Praha
Web obce ↗
Záměry obce

23. dubna 2026 — pronájem části komunikace parc. č. 1930/2, 3827 k.ú. Libeň dle přílohy

1Body jednání
1
Záměr pronájmu části komunikace Na Stráži, k.ú. Libeň
Hlavní město Praha oznamuje záměr pronajmout část komunikace **Na Stráži** na pozemcích **parc. č. 1930/2** a **3827** v **k.ú. Libeň**. Pronájem o výměře **76 m²** je určen pro společnost **IM-stav Praha s.r.o.** za účelem stavebního záboru pro **lešení**. Předpokládaný termín nájmu je od **18.05.2026** na dobu maximálně jednoho roku.
1Dokumenty
Informace dle §106

23. dubna 2026 — Bytový dům Ohradní

1Body jednání
1
Poskytnutí informace k záměru Bytový dům Ohradní
Magistrát hl. m. Prahy poskytl informace k záměru **Bytový dům Ohradní** společnosti **4M Capital Investments s.r.o.** na pozemcích **parc. č. 700/67, 700/81 a 700/86** v **k.ú. Michle**. Dokument shrnuje vydaná stanoviska k úpravám a záborům komunikace **Ohradní**. **Technická správa komunikací hl. m. Prahy, a.s.** dosud neuzavřela s investorem žádné nájemní smlouvy ani smlouvy o věcných břemenech. Realizace je plánována v termínu **01.10.2026 – 31.10.2028**.
Rozhodnutí: MHMP potvrzuje vydání souhlasných stanovisek a plné moci pro účely územního a stavebního řízení, avšak konstatuje, že dosud nedošlo k majetkoprávnímu vypořádání.
6Dokumenty
3Obrázky
Stavební řízení

23. dubna 2026 — Dopravní a energetický stavební úřad Č.J.: DESU/112/010676/26 - Informace podle §9b ZPVŽP: D11 - MÚK BERANKA, SO 120, 135, 136, 201 a 202

1Body jednání
1
D11 - MÚK BERANKA - Informace o zahájení navazujícího řízení
Dopravní a energetický stavební úřad informuje o zahájení navazujícího řízení o povolení záměru **D11 - MÚK BERANKA**. Předmětem jsou stavební objekty **SO 120 (Komunikace TSK)**, **SO 135 (Napojení cyklostezky na ul. Bořetickou)**, **SO 136 (Provizorní napojení na stávající cyklostezku do Klánovic)**, **SO 201 (Most MÚK)** a **SO 202 (Podjezd cyklostezky)**. Stavba se nachází v **k.ú. Horní Počernice** na řadě pozemků, např. **parc. č. 4084/16**, **4087/17**, **4101/54** a dalších. Žadatelem je **Ředitelství silnic a dálnic s. p.**
2Dokumenty
4Obrázky
Doprava

23. dubna 2026 — Vyšehradská 35

1Body jednání
1
Dočasný zákaz zastavení v ulici Vyšehradská
Magistrát hl. m. Prahy vydal opatření obecné povahy o dočasném zákazu zastavení silničních vozidel v ulici **Vyšehradská** v **Praze 2**. Omezení se týká prostoru před objektem **č. p. 428/35** a je zřízeno z důvodu zajištění místa pro zařízení staveniště v rámci akce **Rekonstrukce bytových jednotek**. Konkrétní termín platnosti zákazu bude uveden na dodatkových tabulkách dopravního značení **B 28**.
Rozhodnutí: Magistrát hl. m. Prahy vydává opatření obecné povahy – dočasný zákaz zastavení silničních vozidel na pozemní komunikaci Vyšehradská před objektem č. 35.
2Dokumenty
Záměry obce

23. dubna 2026 — pronájem části komunikace parc. č. 1766/1 k.ú. Kobylisy dle přílohy

1Body jednání
1
Pronájem části komunikace Trojská v k.ú. Kobylisy
Záměr pronajmout část komunikace **Trojská** na pozemku **parc. č. 1766/1** v **k.ú. Kobylisy** o výměře **40 m²**. Účelem pronájmu je stavební zábor pro **lešení**. Budoucím nájemcem je společnost **EUROPARTNERS GROUP s.r.o.** Termín pronájmu je od **01.06.2026** na dobu maximálně jednoho roku.
1Dokumenty
Rozpočet

23. dubna 2026 — Rozpočtové opatření - Usnesení Zastupitelstva č.33/10 - k návrhu na úpravu rozpočtu běžných výdajů odboru OCP MHMP v kapitole 02 - Městská infrastruktura na rok 2026 a poskytnutí účelové neinvestiční dotace MČ na realizaci Reuse dne, MČ Praha 8 na Libeňské reuse centrum a MČ Praha - Suchdol na reuse centr

1Body jednání
33/10
Úprava rozpočtu a poskytnutí dotací na Reuse dny a reuse centra
Zastupitelstvo schvaluje úpravu rozpočtu ve výši **1 922 400 Kč** pro odbor **OCP MHMP**. Finance jsou určeny na realizaci **Reuse dnů** v městských částech a na provoz **Libeňského reuse a komunitního centra** (**MČ Praha 8**) a reuse centra v **Suchdolské ulici** (**MČ Praha - Suchdol**). Dotaci ve výši **60,5 tis. Kč** na organizaci Reuse dne obdrží městské části: **Praha 2**, **Praha 3**, **Praha 5**, **Praha 6**, **Praha 7**, **Praha 8**, **Praha 10**, **Praha 11**, **Praha 12**, **Praha 13**, **Praha 14**, **Praha 16**, **Praha 18**, **Praha 19**, **Praha 20**, **Běchovice**, **Čakovice**, **Ďáblice**, **Dolní Chabry**, **Dolní Měcholupy**, **Kolovraty**, **Slivenec**, **Suchdol**, **Šeberov** a **Újezd**.
Rozhodnutí: Zastupitelstvo schvaluje úpravu rozpočtu vlastního hl. m. Prahy na rok 2026 a poskytnutí účelových neinvestičních dotací městským částem na realizaci Reuse dnů a provoz reuse center.
1Dokumenty
2Obrázky
Záměry obce

23. dubna 2026 — pronájem části komunikace parc. č. 3766/20 k.ú. Břevnov dle přílohy

1Body jednání
1
Záměr pronájmu části komunikace Brunclíkova, k.ú. Břevnov
Záměr hlavního města Prahy pronajmout část komunikace **Brunclíkova** na pozemku **parc. č. 3766/20** v **k.ú. Břevnov** (Praha 6). Pronájem je určen pro společnost **Imperial Tea Service s.r.o.** se sídlem **Brunclíkova 1875/17** za účelem zřízení **restaurační předzahrádky s pódiem** o výměře **19,2 m²**. Termín nájmu je stanoven od **25. 5. 2026** do **14. 9. 2026**.
1Dokumenty
Ostatní

23. dubna 2026 — Výzva k odstranění vozidla z komunikace Československého exilu, Citroën, RZ 2AZ3272, JIŘÍ KLEMENT

1Body jednání
1
Výzva k odstranění vozidla Citroën (RZ 2AZ3272) z ulice Československého exilu
Správa služeb hl. m. Prahy vyzývá provozovatele vozidla **Citroën** (RZ **2AZ3272**) k jeho odstranění z komunikace **Československého exilu** v **Praze 12** (u sloupu veřejného osvětlení **429353**). Důvodem je propadlá technická prohlídka trvající déle než 6 měsíců. Pokud nebude vozidlo odstraněno do **2 měsíců** od doručení výzvy, bude odtaženo na náklady provozovatele.
1Dokumenty
Záměry obce

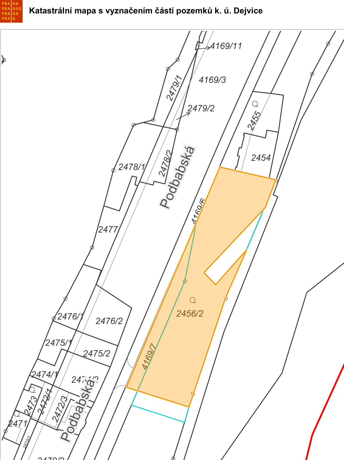
23. dubna 2026 — Záměr pronájmu částí pozemků v katastrálním území Dejvice

1Body jednání
1
Záměr pronájmu částí pozemků v k. ú. Dejvice
Hlavní město Praha oznamuje záměr pronajmout **část pozemku parc. č. 2456/2** o výměře **980 m2** a **část pozemku parc. č. 4169/7** o výměře **180 m2**, oba v **k. ú. Dejvice**. Pronájem je plánován pro společnost **WeCars, s.r.o.** za účelem zřízení výdejního místa pro půjčovnu autostanů a přívěsů. Nájemné činí **250 Kč/m2/rok** na dobu neurčitou s výpovědní lhůtou 6 měsíců.
2Dokumenty
1Obrázky
Záměry obce

23. dubna 2026 — Záměr - krátkodobý pronájem části pozemku parc. č. 1083/104 k.ú. Troja

1Body jednání
1
Záměr pronájmu části pozemku v k.ú. Troja
Hlavní město Praha oznamuje záměr krátkodobě pronajmout část pozemku **parc. č. 1083/104** v **k.ú. Troja** o výměře **20 m2**. Pozemek má být pronajat fyzické osobě podnikající **Dac Tuan Anh Pham** za účelem zřízení předzahrádky před restaurací **Sushi Šutka**.
2Dokumenty
Nové

23. dubna 2026 — Rozpočtové opatření - Usnesení Zastupitelstva č.33/6 - k návrhu úplatného nabytí areálu zámku Veleslavín, z vlastnictví České republiky, příslušnost hospodařit s majetkem státu Úřad pro zastupování státu ve věcech majetkových, se sídlem Rašínovo nábřeží 390/42, 128 00 Praha 2, IČO: 69797111, do vlastnict

1Dokumenty
Ostatní

23. dubna 2026 — Výzva k odstranění vozidla z komunikace Rotavská, BMW, RZ 6AX0762, Walter Kodesch, JAROSLAV ŠTĚPÁNEK

1Body jednání
1
Výzva k odstranění vozidla BMW (6AX0762) z ulice Rotavská
Správa služeb hl. m. Prahy vyzývá provozovatele vozidla **BMW**, RZ **6AX0762**, k jeho odstranění z komunikace v ulici **Rotavská 1647/3**, **Praha 13**. Důvodem je propadlá technická prohlídka po dobu delší než 6 měsíců. Pokud nebude vozidlo odstraněno do **2 měsíců** od doručení výzvy, bude odtaženo na náklady provozovatele.
Rozhodnutí: Provozovatel je povinen odstranit vozidlo do 2 měsíců, jinak bude odtaženo na jeho náklady.
1Dokumenty
Záměry obce

23. dubna 2026 — pronájem části komunikace parc. č. 4286 k.ú. Vinohrady dle přílohy

1Body jednání
1
Záměr pronájmu části komunikace v ulici Lucemburská
Hlavní město Praha oznamuje záměr pronajmout část komunikace v ulici **Lucemburská** na pozemku **parc. č. 4286** v **k.ú. Vinohrady** (**Praha 3**). Pronájem je určen pro umístění **restaurační předzahrádky bez pódia** o výměře **10,5 m²**. Budoucím nájemcem je společnost **ARCHIFUN s.r.o.** a nájem je plánován ve třech etapách během roku **2026**.
1Dokumenty
Záměry obce

23. dubna 2026 — pronájem části komunikace parc. č. 1944 k.ú. Podolí dle přílohy

1Body jednání
1
Pronájem části komunikace Na Klaudiánce, k.ú. Podolí
Záměr pronajmout část komunikace **Na Klaudiánce** na pozemku **parc. č. 1944** v **k.ú. Podolí** (Praha 4). Účelem je umístění **restaurační předzahrádky bez podia** o výměře **2 m²**. Budoucím nájemcem je společnost **TASTY MORNING s.r.o.** v období od **11.05.2026 do 30.09.2026**.
1Dokumenty
Záměry obce

23. dubna 2026 — pronájem části komunikace parc. č. 211 k.ú. Žižkov dle přílohy

1Body jednání
1
Pronájem části komunikace Husinecká, k.ú. Žižkov
Záměr pronajmout část komunikace **Husinecká** na pozemku **parc. č. 211** v **k.ú. Žižkov** o výměře **318 m²**. Účelem nájmu je **výkop pro optické sítě**. Budoucím nájemcem je společnost **BOHEMIATEL, s.r.o.** Termín nájmu je stanoven od **21.06.2026** na dobu maximálně jednoho roku.
1Dokumenty
Záměry obce

23. dubna 2026 — pronájem části komunikace parc. č. 445, 446 k.ú. Motol dle přílohy

1Body jednání
1
Záměr pronájmu části komunikace v k.ú. Motol
Hlavní město Praha oznamuje záměr pronajmout část komunikace v ulicích **Podhorská** a **Na Homolce** na pozemcích **parc. č. 445** a **446** v **k.ú. Motol**. Účelem je stavební zábor pro lešení o výměře **27,4 m²**. Budoucím nájemcem je **Dr.Iur. Lucie Gertner, LL.M.** se sídlem **Sušická 848/31, Dejvice**. Pronájem je plánován na období od **01.06.2026** na dobu maximálně jednoho roku.
1Dokumenty
Záměry obce

23. dubna 2026 — pronájem části komunikace parc. č. 3103/1 k.ú. Nusle dle přílohy

1Body jednání
1
Pronájem části komunikace Na Pankráci, k.ú. Nusle
Záměr pronajmout část komunikace **Na Pankráci** na pozemku **parc. č. 3103/1** v **k.ú. Nusle** (**Praha 4**). Pronájem je určen pro **restaurační předzahrádku bez pódia** o výměře **6 m²**. Budoucím nájemcem je společnost **Italian coffee house s. r. o.** v období od **11.05.2026** do **20.09.2026**.
1Dokumenty
Záměry obce

23. dubna 2026 — pronájem části komunikace parc. č. 4275/10 k.ú. Vinohrady dle přílohy

1Body jednání
1
Pronájem části komunikace na náměstí Jiřího z Poděbrad
Záměr pronajmout část komunikace na **náměstí Jiřího z Poděbrad** na pozemku **parc. č. 4275/10** v **k.ú. Vinohrady**. Pronájem o výměře **15 m²** je určen pro **restaurační předzahrádku bez podia** pro budoucího nájemce **Jet Project s.r.o.** v období od **18.05.2026 do 15.11.2026**.
1Dokumenty
Záměry obce

23. dubna 2026 — pronájem části komunikace parc. č. 3103/1 k.ú. Nusle dle přílohy

1Body jednání
1
Záměr pronájmu části komunikace Na Pankráci
Hlavní město Praha oznamuje záměr pronajmout část komunikace **Na Pankráci** na pozemku **parc. č. 3103/1** v **k.ú. Nusle**. Pronájem je určen pro umístění **reklamního infopoutače** o výměře **1 m²** pro budoucího nájemce **Vlaštovka s.r.o.** v období od **01.07.2026** do **31.12.2026**.
1Dokumenty
Stavební řízení

23. dubna 2026 — Dopravní a energetický stavební úřad Č.J.: DESU/112/008474/26 - Veřejná vyhláška - Vyrozumění o zahájení řízení - stanoviska: "D11 - MÚK BERANKA", SO 120, 135, 136, 201 a 202

1Body jednání
1
D11 - MÚK BERANKA - zahájení řízení o povolení záměru
Dopravní a energetický stavební úřad oznamuje zahájení řízení o povolení záměru **D11 - MÚK BERANKA**. Projekt zahrnuje výstavbu komunikace **II/611 (TSK)**, napojení cyklostezky na ulici **Bořetickou** a do **Klánovic**, nový most přes dálnici **D11** a podjezd pro cyklisty. Stavba je plánována na pozemcích parc. č. **4084/16**, **4087/17**, **4101/54**, **4101/78**, **4101/96**, **4101/142**, **4101/143**, **4101/144**, **4101/145**, **4101/146**, **4101/147**, **4101/148**, **4101/149**, **4101/150**, **4101/151**, **4101/152**, **4105/1**, **4105/2**, **4105/9**, **4105/26**, **4105/27**, **4105/28**, **4105/29**, **4105/30**, **4105/31**, **4105/37**, **4105/38**, **4105/39**, **4105/48**, **4105/49**, **4105/50**, **4105/51**, **4105/52**, **4106/3**, **4106/73**, **4106/76**, **4106/77**, **4536/1**, **4536/36**, **4536/37**, **4536/38**, **4536/39** v k.ú. **Horní Počernice**. Účastníci řízení mohou uplatnit své námitky do **15 dnů** od doručení oznámení.
1Dokumenty