Věci Obecní

Detail

Dokument

Praha 12

Hlavní město Praha

Generála Šišky 2375, 14300 Praha 4
Web obce ↗
Doprava

30. března 2026 — Stanovení přechodné úpravy provozu na pozemních komunikacích Mirotická a NN3150, Praha 4 - Libuš

1Body jednání
1
Stanovení přechodné úpravy provozu v ulicích Mirotická, Zbudovská, Novodvorská a NN3150
Městská část Praha 12 stanovuje přechodnou úpravu provozu na pozemních komunikacích **Mirotická**, **NN3150**, **Zbudovská** a **Novodvorská** v katastrálních územích **Libuš** a **Lhotka**. Opatření je vydáno za účelem realizace stavebních prací společnosti **ELEKTROŠTIKA, s.r.o.** (IČO: **48041122**) spočívajících v umístění kabelového vedení pro stavbu **„Praha – Libuš, Mirotická kNN, kVN, DTS, chytrá/S-154239“**. Úprava zahrnuje umístění přechodného svislého dopravního značení (včetně značky **zákaz zastavení**) a částečnou uzavírku komunikací v termínu od **30.03.2026** do **01.06.2026**.
Rozhodnutí: Úřad městské části Praha 12 **vydává opatření obecné povahy**, kterým stanovuje přechodnou úpravu provozu na pozemních komunikacích **Mirotická**, **NN3150** a **Zbudovská**.
2Dokumenty
3Obrázky
Doprava

30. března 2026 — OOP - Blokové čištění komunikací- MČ Praha 12 - jaro

1Body jednání
1
Blokové čištění komunikací - jaro 2026 - MČ Praha 12
Oznámení o vydání opatření obecné povahy pro dočasný **zákaz zastavení** silničních vozidel z důvodu zajištění komplexní údržby a čištění pozemních komunikací (tzv. **blokové čištění**) v jarním období roku **2026**. Dočasný zákaz platí v uvedených dnech v čase **od 8:00 hod. do 15:00 hod.** Omezení se týká lokalit **Modřany**, **Komořany**, **Cholupice**, **Točná** a **Kamýk**. Dopravní značení (B28 „zákaz zastavení“ s dodatkovou tabulkou E13) bude osazeno nejméně 7 dní před dnem realizace. Vlastník komunikace je oprávněn odstranit (odtáhnout) vozidla ponechaná v rozporu s tímto zákazem.
Rozhodnutí: Úřad městské části Praha 12 **vydává opatření obecné povahy** pro dočasný zákaz zastavení silničních vozidel na vybraných pozemních komunikacích a stanovuje **přechodnou úpravu provozu** spočívající v instalaci svislých dopravních značek **B28** s dodatkovými tabulkami **E13** s vyznačeným datem a dobou platnosti **od 8:00 hod. do 15:00 hod.**
2Dokumenty
Doprava

27. března 2026 — OOP stanovení přechodné úpravy provozu na pozemní komunikaci Na okruhu, Praha 4 - Písnice

1Body jednání
1
Stanovení přechodné úpravy provozu v ulici Na okruhu, Praha 4 - Písnice
Odbor dopravy **Úřadu městské části Praha 12** vydává opatření obecné povahy o stanovení přechodné úpravy provozu na pozemní komunikaci **Na okruhu** v **k. ú. Písnice**. Úprava spočívá v umístění přechodného svislého dopravního značení (včetně značky **B28 – zákaz zastavení**) za účelem konání akce **„Vítání jara“**, kterou pořádá **Městská část Praha-Libuš**. Opatření je platné dne **27.03.2026** od **8:00 do 18:00 hod**. Dopravní značení **B28** musí být instalováno minimálně **7 dní** předem. Dokumentace zmiňuje blízkost objektu **č. p. 395/1**.
Rozhodnutí: Úřad městské části Praha 12 **stanovuje** přechodnou úpravu provozu na pozemní komunikaci **Na okruhu**, **k. ú. Písnice** v termínu **27.03.2026** za podmínek dodržení schváleného dopravního značení.
2Dokumenty
Doprava

27. března 2026 — OOP stanovení přechodné úpravy provozu na komunikaci NN3369

1Body jednání
1
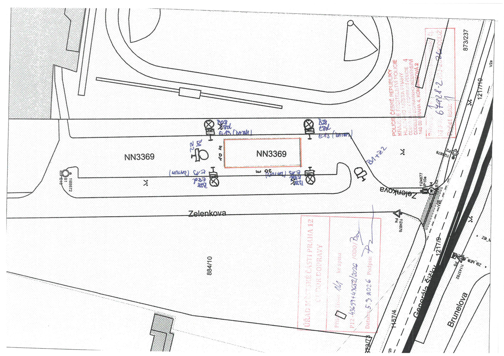
Stanovení přechodné úpravy provozu - ulice Zelenkova (NN3369)
Úřad městské části Praha 12 vydává opatření obecné povahy o stanovení **přechodné úpravy provozu** na pozemní komunikaci **NN3369** (parkoviště při ulici **Zelenkova**) v katastrálním území **Kamýk**. Úprava je stanovena z důvodu konání sportovně-zábavní akce **„Monster Truck Show“**. Součástí opatření je umístění svislého dopravního značení, včetně značek **„zákaz zastavení“ (B28)**, které musí být osazeny minimálně 7 dní před začátkem platnosti omezení.
Rozhodnutí: Vydáno **opatření obecné povahy** o stanovení přechodné úpravy provozu v termínu od **27.03.2026** do **01.04.2026**.
2Dokumenty
1Obrázky
Stavební řízení

26. března 2026 — Rozhodnutí o umístění stavby: Žádost o vydání rozhodnutí o umístění stavby - Klinika v zahradním městě

1Body jednání
1
Rozhodnutí o umístění stavby: Klinika v zahradním městě
Stavební úřad rozhodl o umístění stavby **„Klinika v zahradním městě“** v katastrálním území **Modřany**. Projekt je situován na nároží ulic **Dolnocholupická** a **Rozvodova**, konkrétně na pozemcích **parc. č. 2676**, **3958/16** a **3935/1**. Záměr zahrnuje výstavbu zdravotnického zařízení (kliniky) s **jedním podzemním a třemi nadzemními podlažími**. V klinice budou umístěny ordinace fyzioterapie, lékařské ambulance, zákrokový sál, lůžková část a ve 3. NP také **4 bytové jednotky**. Součástí stavby je **přístřešek pro automobily** s autovýtahem, retenční nádrž o objemu **8 m³** a přeložky inženýrských sítí (**CETIN**, **PREdistribuce**, **veřejné osvětlení**). Celková kapacita parkování je **12 stání**, z toho 10 v podzemní garáži a 2 na terénu. Adresa objektu je **Dolnocholupická 320/37**, Praha 12.
Rozhodnutí: Stavební úřad **vydává rozhodnutí o umístění stavby** s názvem „Klinika v zahradním městě“. Žádosti společnosti **EPC Praha Building s.r.o.** (přejmenované na **MRB Praha Building s.r.o.**) bylo vyhověno a byly stanoveny závazné podmínky pro projektovou přípravu a realizaci záměru.
2Dokumenty
Stavební řízení

26. března 2026 — Stavba č. 0088 TV Libuš etapa 0015 V Zákopech, k.ú. Písnice

1Body jednání
1
Stavba č. 0088 TV Libuš etapa 0015 V Zákopech, k.ú. Písnice
Odbor výstavby ÚMČ Praha 12 vyrozumívá o zahájení společného řízení pro záměr **„Stavba č. 0088 TV Libuš, etapa 0015 V Zákopech“**. Jedná se o rekonstrukci stávající vozovky slepého konce ulice **V Zákopech** v **k.ú. Písnice** od křižovatky s ulicí **Libušskou** směrem k navržené trase obchvatu. Součástí záměru je: - Rekonstrukce komunikace, - Návrh nového funkčního odvodnění, - Přeložky inženýrských sítí (plynovod, veřejné osvětlení, silnoproud a slaboproud), - Úprava zeleně a kácení dřevin. Záměr je situován na pozemcích **parc. č. 659/83, 660/1, 666/1, 668/2, 669/8, 669/9, 669/10, 670/1, 670/2, 670/3, 670/4, 670/5, 670/6, 670/7, 845/23, 845/24, 845/25, 845/98, 846/2, 846/12, 846/13, 846/14 a 848/1** v katastrálním území **Písnice**.
1Dokumenty
Dražby a exekuce

26. března 2026 — Dražební vyhláška - dražba věcí movitých, 191EXD 5/25-3

1Body jednání
1
Dražba osobního automobilu MERCEDES-BENZ 221
Soudní exekutor **Mgr. Jan Beneš** (Exekutorský úřad Praha – západ) nařizuje elektronickou dražbu movité věci na návrh vlastníka **Dana Krejčí**, bytem **Cholupická 548/3, 142 00 Praha 4 – Kamýk**. Předmětem dražby je motorové vozidlo **MERCEDES-BENZ 221, S 500 4 – MATIC**, reg. zn. **7SA 3422**, VIN: **WDD2210861A193058**, barva černá, první registrace **19.11.2007**. Nejnižší podání je stanoveno na **200 000 Kč**. Dražba proběhne prostřednictvím portálu **www.exdrazby.cz**. Prohlídka vozidla se koná dne **25.03.2026** od 11:00 do 12:00 hod. na adrese **Liborova 405/14, 169 00 Praha 6 - Břevnov**.
1Dokumenty
Doprava

26. března 2026 — OOP - Mezi Vodami - Česká voda - MEMSEP

1Body jednání
1
Stanovení přechodné úpravy provozu v ulici Mezi Vodami
Opatření obecné povahy stanovuje **přechodnou úpravu provozu** v ulici **Mezi Vodami** v **k. ú. Modřany**. Důvodem jsou výkopové práce pro realizaci projektu "**chytrá TS, VN, NN**" v souvislosti se stavbou "**Změna stavby objektu F v bývalém areálu fa Chirana**". Omezení a instalace přechodného dopravního značení proběhnou v termínu od **26. 03. 2026** do **16. 04. 2026**. Žadatelem je společnost **Česká voda - MEMSEP, a.s.** zastupující **PREdistribuce, a.s.** Dle přiložené dokumentace jsou dotčeny parcely **409/1**, **409/27**, **409/25**, **409/68**, **409/29**, **409/1a** a okolí objektu **Mezi Vodami 1938/2a** u křižovatky s ulicí **Modřanská**.
Rozhodnutí: Úřad městské části Praha 12 stanovuje přechodnou úpravu provozu na pozemní komunikaci Mezi Vodami v k. ú. Modřany v termínu od 26.03.2026 do 16.04.2026 za účelem výkopových prací.
2Dokumenty
1Obrázky
Stavební řízení

25. března 2026 — Vyrozumění o zahájení řízení - Park u ZŠ TGM č.p. 1375, Praha 4-Modřany při ulici U Modřanské školy

1Body jednání
1
Revitalizace parku u ZŠ TGM
Oznámení o zahájení řízení o povolení záměru **„Park u ZŠ TGM č. p. 1375“** v **Praze 4-Modřanech**, v těsné blízkosti **ulice U Modřanské školy**. Projekt zahrnuje revitalizaci prostoru před **ZŠ Tomáše G. Masaryka**, konkrétně úpravu parkové části, instalaci nového mobiliáře, výsadbu zeleně a rekonstrukci zpevněných ploch. Záměr se týká pozemků **parc. č. 697/1, 699/1, 699/3, 699/5, 699/6, 700/3, 702, 703/13, 703/14, 4043/1, 4044, 4054/1, 4054/22, 4054/23, 4054/24, 4054/25, 4054/27, 4076/6, 4076/10, 4076/11** v katastrálním území **Modřany**. Účastníci řízení mohou uplatnit své námitky do 15 dnů od doručení oznámení.
1Dokumenty
Stavební řízení

25. března 2026 — Oznámení o zahájení řízení - jednání: S-MHMP 938048/2025 Usnesení - delegace věci - ADMINISTRATIVNÍ centrum Budějovická - komunikace

1Body jednání
1
Oznámení zahájení stavebního řízení - Administrativní centrum Budějovická (komunikace)
Odbor výstavby MČ Praha 12 oznamuje zahájení stavebního řízení pro záměr **„Administrativní centrum Budějovická“ - komunikace**. Předmětem řízení jsou úpravy zpevněných ploch, konkrétně chodníků a cyklostezky v bezprostředním okolí centra. Stavba je umístěna v ulici **Budějovická** na pozemcích **parc. č. 310/116, 310/118, 310/119, 3273/1** v **k.ú. Michle**, v obci **Praha 4**. Stavebníkem je společnost **OPAL REAL spol. s r.o.**, kterou zastupuje **Ing. Vladimír Malý**. Úřad v souladu se zákonem upouští od ústního jednání.
1Dokumenty
Volná místa

25. března 2026 — Oznámení o opakovaném prodloužení VŘ 4/26 - právní referent/ka

1Body jednání
1
Výběrové řízení: právní referent/ka (pozice 4/26) - opakované prodloužení
**Městská část Praha 12** opakovaně prodlužuje termín pro podání přihlášek do výběrového řízení na pozici **právní referent/ka** (**pozice 4/26**) pro **odbor správního trestání**. Pracovní náplň zahrnuje agendu přestupků (zejména provoz na pozemních komunikacích) a vedení spisové dokumentace. Místem výkonu práce je **Praha**, pracoviště v nové radnici na adrese **Generála Šišky 2375/6, 143 00 Praha 4 – Modřany**. Nabízena je **11. platová třída**, pracovní poměr na dobu neurčitou a benefity jako stravenky, 5 dní volna k regeneraci či možnost pobytu na **chatě Modřanka – Desná v Jizerských horách**. Požadováno je **vysokoškolské vzdělání** (nejlépe v oboru právo či veřejná správa). Přihlášky musí být doručeny nejpozději do **25.03.2026** na adresu **Úřadu městské části Praha 12, Generála Šišky 2375/6, 143 00 Praha 4 - Modřany**.
4Dokumenty
Stavební řízení

24. března 2026 — JES změna_Farský, BD Komořany, K Nouzovu_an

1Body jednání
1
Změna jednotného environmentálního stanoviska – BD Komořany
Úřad městské části Praha 12 vydal změnu **souhlasného jednotného environmentálního stanoviska (JES)** k záměru **„BD Komořany“** (Z/2025/127682). Projekt zahrnuje novostavbu bytových domů na společném suterénu o 9 nadzemních podlažích na pozemcích v k.ú. **Komořany**. Předmětem stanoviska je zejména povolení kácení dřevin a uložení náhradní výsadby. **Dřeviny povolené k pokácení:** - **1 ks borovice lesní** na pozemku **parc. č. 270/11** - **1 ks trnovník akát** na pozemku **parc. č. 270/11** - **5 ks pajasanu žláznatého** na pozemcích **parc. č. 270/9** a **270/37** - **1 ks smrk omorika** na pozemku **parc. č. 270/25** **Náhradní výsadba:** Žadateli (**3E PROJEKT, a.s.**) byla uložena povinnost vysadit **5 ks dřevin** (2 ks jasanu, 1 ks borovice, 1 ks třešně a 1 ks ořechu) na pozemcích **parc. č. 270/9** a **270/10** v k.ú. **Komořany**. Výsadba musí být provedena nejpozději do kolaudace stavby. Součástí je i následná péče o dřeviny po dobu **5 let**. Dotčená lokalita se nachází v blízkosti ulic **K Nouzovu**, **Palmetová** a **Na Komeřsku**. Práce se mohou dotknout i veřejné zeleně na pozemcích **parc. č. 270/14** a **270/13**.
Rozhodnutí: Odbor životního prostředí **souhlasí** se změnou stanoviska a **povoluje kácení** 8 ks dřevin za stanovených podmínek. Zároveň **ukládá náhradní výsadbu** v počtu 5 ks dřevin na pozemcích **parc. č. 270/9** a **270/10** v k.ú. **Komořany** s pětiletou následnou péčí.
3Dokumenty
2Obrázky
Doprava

24. března 2026 — OOP - stanovení přechodné úpravy provozu na pozemních komunikacích

1Body jednání
1
Stanovení přechodné úpravy provozu v ulicích Ke kurtům, U bazénu a NN1527
Opatření obecné povahy o stanovení **přechodné úpravy provozu** na pozemních komunikacích **Ke kurtům**, **U bazénu** a **NN1527** v **k. ú. Písnice**. Úprava je stanovena z důvodu **záboru komunikací** pro účely **výstavby bytového domu** na pozemku **parc. č. 910/86** v **k. ú. Písnice**. Termín platnosti opatření je od **24. 3. 2026** do **20. 4. 2026**. Žadatelem je společnost **GARTAL Stavební s.r.o.**
Rozhodnutí: Úřad městské části Praha 12 **vydává** opatření obecné povahy o stanovení přechodné úpravy provozu na pozemních komunikacích.
2Dokumenty
Dražby a exekuce

24. března 2026 — Dražební vyhláška - dražba věcí nemovitých, 189 EX 2554/25-52

1Body jednání
1
Elektronická dražba nemovitých věcí - 189 EX 2554/25
Soudní exekutor **JUDr. et PhDr. Jiří Leskovjan, LL.M.** (Exekutorský úřad Praha 4) vyhlašuje první kolo elektronické dražby nemovitých věcí a jejich příslušenství ve věci povinné **Lenka Nechvátalová** (nar. **24.05.1966**, bytem **Jordana Jovkova 3260/19, Praha**). Dražba se koná dne **24.03.2026** od **10:00 hod.** na portálu **www.okdrazby.cz**. Výsledná cena dražených věcí byla určena na **5.600.000 Kč**, přičemž nejnižší podání (vyvolávací cena) je stanoveno na **3.733.333 Kč**. Dražební jistota činí **400.000 Kč**. Předmětem dražby je nemovitá věc včetně příslušenství, které tvoří: **garáž se skladem nářadí**, **zděná kotelna se skladem paliva**, **zastřešená pergola s krbem** a **přípojky IS**.
Rozhodnutí: Soudní exekutor **vydává dražební vyhlášku** o provedení elektronické dražby nemovité věci s termínem zahájení **24.03.2026**.
1Dokumenty
Dražby a exekuce

24. března 2026 — Usnesení o odročení dražbebního jednání, dražba nemovitosti, č. j. 189 EX 2554/25-57

1Body jednání
1
Usnesení o odročení dražebního jednání nemovitostí
Soudní exekutor **JUDr. et PhDr. Jiří Leskovjan, LL.M.** rozhodl o odročení dražebního jednání v exekuční věci proti povinné **Lenka Nechvátalová**. Předmětem dražby jsou nemovitosti včetně příslušenství, které tvoří **garáž se skladem nářadí** (východní roh pozemku), **zděná kotelna se skladem paliva** (severovýchodní strana domu), **zastřešená pergola s krbem** a **přípojky IS**. Důvodem odročení je podané dovolání proti usnesení o určení ceny nemovitostí.
Rozhodnutí: Dražební jednání se **odkládá** ze dne **24.03.2026** v 10:00 hod. na **neurčito**.
1Dokumenty
Ostatní

23. března 2026 — SSHMP - Výzva k odstranění vozidla z pozemní komunikace ID 23302

1Body jednání
1
Výzva k odstranění vozidla z pozemní komunikace - Porsche (RZ 1ADB225)
Správa služeb hl. m. Prahy vyzývá provozovatele vozidla značky **Porsche**, RZ **1ADB225**, VIN **WP1ZZZ9PZ6LA50549**, k jeho odstranění z pozemní komunikace v lokalitě **Praha-Libuš**, ulice **Obrataňská**. Vozidlo je odstaveno u **sloupu V.O. 434814**, poblíž křižovatky s ulicí **V Koutě**. Důvodem výzvy je skutečnost, že vozidlo má více než 6 měsíců neplatnou technickou prohlídku. Pokud nebude vozidlo odstraněno do **2 měsíců** od doručení této výzvy, bude odtaženo vlastníkem komunikace na náklady provozovatele. Předpokládané náklady činí **3 800 Kč** za odtah a **500 Kč** za každý den parkování na odtahovém parkovišti.
1Dokumenty
Stavební řízení

23. března 2026 — Vyrozumění o zahájení řízení - stanoviska: "odstranění staveb a zařízení v areálu bývalé výtopny" č.p. 3356/10, Praha 4- Modřany, při ulici Generála Šišky

1Body jednání
1
Odstranění staveb v areálu bývalé výtopny Modřany
Bylo zahájeno řízení o povolení odstranění souboru staveb v **areálu bývalé výtopny** (trafostanice, kotelny, administrativní budova, inženýrské sítě, opěrné stěny a další) na adrese **ul. Generála Šišky**, **č. p. 3356/10**, **Praha 4-Modřany**. Předmětné stavby se nacházejí na pozemcích **parc. č. 2864/17, 2870/1, 2870/3, 2870/4, 2870/6, 2870/11, 2873/2 a 4400/609** v katastrálním území **Modřany**. Stavebníkem je společnost **Nové Modřany, a.s.** Účastníci řízení mohou uplatnit své námitky do **15 dnů** od doručení oznámení.
1Dokumenty
Volná místa

23. března 2026 — Oznámení o vyhlášení VŘ 14/26 - sociální pracovník/ice

1Body jednání
1
Výběrové řízení 14/26 - sociální pracovník/ice
Městská část **Praha 12** vyhlašuje výběrové řízení na pozici **sociální pracovník/ce** pro odbor sociálních věcí. Náplní práce je sociální poradenství, krizová intervence, agenda sociálních pohřbů a rozhodování o zvláštním příjemci důchodu. Místem výkonu práce je **Praha**, konkrétně nová radnice na adrese **Generála Šišky 2375/6, 143 00 Praha 4 - Modřany**. Nabízí se 11. platová třída, pracovní poměr na dobu neurčitou a různé benefity včetně možnosti rekreačního pobytu na **chatě Modřanka – Desná v Jizerských horách**. Přihlášky je nutné doručit do **23.03.2026**.
1Dokumenty
Ostatní

20. března 2026 — SSHMP - Výzva k odstranění vozidla z pozemní komunikace ID 23476

1Body jednání
1
Výzva k odstranění vozidla BMW (5P83200) z ulice Levského
Správa služeb hlavního města Prahy vyzývá provozovatele vozidla značky **BMW**, RZ: **5P83200**, VIN: **WBAPX51020CU02071**, k jeho odstranění z pozemní komunikace na adrese **Levského 3204/17**, **Praha 12**. Důvodem je marné uplynutí lhůty pro provedení pravidelné technické prohlídky (více než 6 měsíců). Pokud nebude vozidlo odstraněno do **2 měsíců** od doručení této výzvy, bude odstraněno vlastníkem komunikace na náklady provozovatele. Náklady na odtah jsou stanoveny na **3800 Kč** a parkovné na **500 Kč** za každý i započatý den (do 180. dne).
1Dokumenty
Stavební řízení

20. března 2026 — Vyrozumění o zahájení řízení - stanoviska: Vrtaná studna na p.č. 623 v k.ú. Komořany

1Body jednání
1
Vrtaná studna na p.č. 623 v k.ú. Komořany
Oznámení o zahájení řízení o povolení stavby vodního díla: **vrtaná studna na p.č. 623 v k.ú. Komořany** při ulici **Keřová**. Žadateli jsou **Ing. Blanka Dohnálková** a **doc. Ing. CSc. Jiří Dohnálek**, zastoupení **Martinem Šrámkem**. Projekt zahrnuje novou vrtanou studnu o hloubce **60,0 m** a vrtném průměru **220 mm**, která bude zdrojem užitkové vody pro zálivku zahrady. Odbor životního prostředí již vydal povolení k odběru podzemních vod (č.j. P12 37609/2026 OŽP). Dotčené orgány a účastníci řízení mohou uplatnit svá stanoviska a námitky **do 15 dnů** od doručení tohoto vyrozumění.
1Dokumenty